Przetarg

Rozpłucie pierwsze

Działka

200 000 zł

Treść ogłoszenia

O G Ł O S Z E N I E


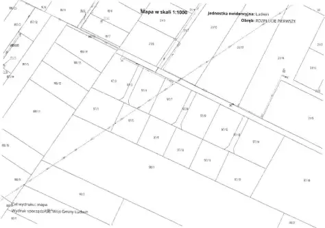
Wójt Gminy Ludwin ogłasza II przetarg ustny nieograniczony na sprzedaż zabudowanej nieruchomości stanowiącej własność Gminy Ludwin, oznaczonej w ewidencji gruntów i budynków obręb, Rozpłucie Pierwsze, gmina Ludwin nr działki 89/3 o pow. 0,10 ha.

Cena wywoławcza w/w działki została ustalona na kwotę 200 000,00 zł. (słownie: dwieście tysięcy złotych 00/100. Na działce tej jest zlokalizowany budynek typu pensjonat o pow. zabudowy 273 m². Księga Wieczysta nr LU1I/00135978/9.

Nieruchomość jest wolne od obciążeń. Przetarg odbędzie się w dniu 18 października 2024 r. o godz. 10:00 w siedzibie Urzędu Gminy – sala nr 10.

Wadium w gotówce w wysokości 10 % ceny wywoławczej należy uiścić do dnia 14 października 2024 r. na rzecz Gminy Ludwin, na konto BS Cyców o/Ludwin nr 52 8191 1055 2001 0000 0042 0006. Wadium może być wniesione również w obligacjach Skarbu Państwa.

Za dzień wniesienia wadium uważa się datę wpływu środków pieniężnych na konto Gminy Ludwin.

Ogłoszenie zostało umieszczone na tablicy ogłoszeń Urzędu Gminy, tablicy ogłoszeń sołtysa obręb Rozpłucie Pierwsze, zamieszczone na stronie internetowej Urzędu Gminy i w Biuletynie Informacji Publicznej.

Szczegółowe informację można uzyskać pod nr tel. 81 75 70 018 lub w pokoju nr 11.

Osobą upoważnioną do kontaktu jest pracownik Urzędu Gminy Krystyna Florek.



Kontakt:
Urząd Gminy Ludwin
tel: 81 75 70 018
[Email protected]


Ogłoszenie wysłane z programu dla biur nieruchomości ASARI CRM (asaricrm.com)



Lokalizacja
Rozpłucie pierwsze
lubelskie
Informacje
Numer oferty: 40141/3186/OGS
Kontakt
AMK Portal Sp. z o.o.
Urząd Gminy Ludwin
81 75 70 018

Podobne oferty

 Rozpłucie pierwsze

Przetarg

Rozpłucie pierwsze

OGŁOSZENIE Wójt Gminy Ludwin ogłasza IV przetarg ustny nieograniczony na sprzedaż nieruchomości stanowiących własność Gminy Ludwin, oznaczonych w ewidencji gruntów...

m2
106 000 zł
 Rozpłucie pierwsze

Przetarg - obręb Rozpłucie Pierwsze

Rozpłucie pierwsze

O G Ł O S Z E N I E Wójt Gminy Ludwin ogłasza IV przetarg ustny nieograniczony na sprzedaż...

m2
76 000 zł
 Rozpłucie pierwsze

Przetarg - obręb Rozpłucie Pierwsze

Rozpłucie pierwsze

O G Ł O S Z E N I E Wójt Gminy Ludwin ogłasza V przetarg ustny nieograniczony na sprzedaż...

m2
59 000 zł