Przetarg - obręb Rozpłucie Pierwsze

Rozpłucie pierwsze

Działka

76 000 zł

Treść ogłoszenia

O G Ł O S Z E N I E



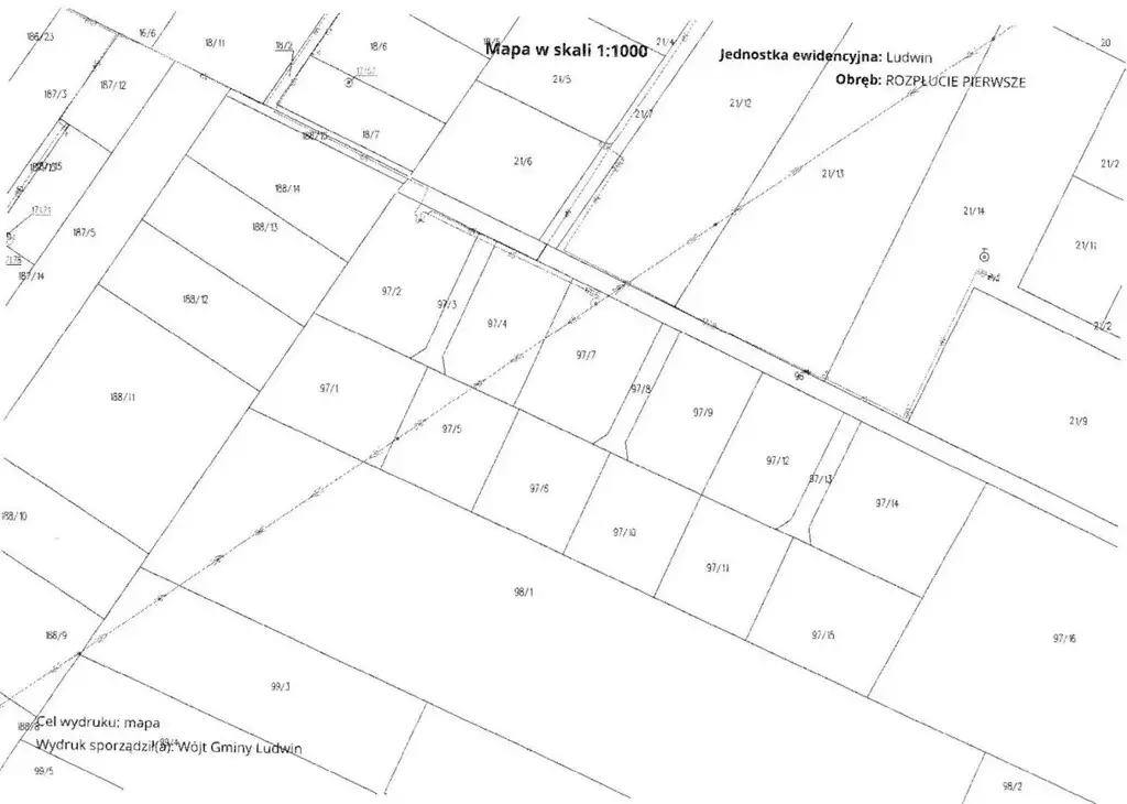
Wójt Gminy Ludwin ogłasza IV przetarg ustny nieograniczony na sprzedaż nieruchomości stanowiących własność Gminy Ludwin, oznaczonych w ewidencji gruntów i budynków obręb, Rozpłucie Pierwsze, gmina Ludwin nr działek:



1.) 97/1 o pow. 0,1009 ha.

Cena wywoławcza w/w działki została ustalona na kwotę 76 000,00 zł.

(słownie: siedemdziesiąt sześć tysięcy złotych 00/100.

Do wylicytowanej kwoty zostanie doliczony podatek VAT w wysokości + 23%.



2.) 97/2 o pow. 0,0989 ha.

Cena wywoławcza w/w działki została ustalona na kwotę 83 000,00 zł.

(słownie: osiemdziesiąt trzy tysiące złotych 00/100).

Do wylicytowanej kwoty zostanie doliczony podatek VAT w wysokości + 23%.



3.) 97/4 o pow. 0,0790 ha.

Cena wywoławcza w/w działki została ustalona na kwotę 59 000,00 zł.

(słownie: pięćdziesiąt dziewięć tysięcy złotych 00/100).

Do wylicytowanej kwoty zostanie doliczony podatek VAT w wysokości + 23%.



4.) 97/5 o pow. 0,0751 ha.

Cena wywoławcza w/w działki została ustalona na kwotę 57 000,00 zł.

(słownie: pięćdziesiąt siedem tysięcy złotych 00/100).

Do wylicytowanej kwoty zostanie doliczony podatek VAT w wysokości + 23%.



5.) 97/7 o pow. 0,0907 ha.

Cena wywoławcza w/w działki została ustalona na kwotę 68 000,00 zł.

(słownie: sześćdziesiąt osiem tysięcy złotych 00/100).

Do wylicytowanej kwoty zostanie doliczony podatek VAT w wysokości + 23%.



6.) 97/10 o pow. 0,0751 ha.

Cena wywoławcza w/w działki została ustalona na kwotę 68 000,00 zł.

(słownie: sześćdziesiąt osiem tysięcy złotych 00/100). Do wylicytowanej kwoty zostanie doliczony VAT w wysokości + 23%.



7.) 97/11 o pow. 0,0751 ha.

Cena wywoławcza w/w działki została ustalona na kwotę 68 000,00 zł.

(słownie: sześćdziesiąt osiem tysięcy złotych tysiące złotych 00/100).

Do wylicytowanej kwoty zostanie doliczony podatek VAT w wysokości + 23%.

Księga Wieczysta nr LU1I/00136077/0. Nieruchomości te są wolne od obciążeń.

Przetarg odbędzie się w dniu 15 maja 2025 r. w siedzibie Urzędu Gminy – sala nr 10.

1) na działkę nr 97/1 o godz. 9:00

2) na działkę nr 97/2 o godz. 9:30

3) na działkę nr 97/4 o godz. 10:00

4) na działkę nr 97/5 o godz. 10:30

5) na działkę nr 97/7 o godz. 12:00

6) na działkę nr 97/10 o godz. 12:30

7) na działkę nr 97/11 o godz. 13:00.

Wadium w gotówce w wysokości 10 % ceny wywoławczej netto z adnotacją o numerze działki należy uiścić do dnia 09 maja 2025 r. na rzecz Gminy Ludwin, na konto BS Cyców o/Ludwin nr 52 8191 1055 2001 0000 0042 0006. Wadium może być wniesione również w obligacjach Skarbu Państwa. Za dzień wniesienia wadium uważa się datę wpływu środków pieniężnych na konto Gminy Ludwin.

Ogłoszenie zostało umieszczone na tablicy ogłoszeń Urzędu Gminy, tablicy ogłoszeń sołtysa obręb Rozpłucie Pierwsze, zamieszczone na stronie internetowej Urzędu Gminy i w Biuletynie Informacji Publicznej.

Szczegółowe informację można uzyskać pod nr tel. 81 75 70 018 lub w pokoju nr 11.

Osobą upoważnioną do kontaktu jest pracownik Urzędu Gminy Krystyna Florek.



Kontakt:
Urząd Gminy Ludwin
tel: 81 75 70 018
[Email protected]


Ogłoszenie wysłane z programu dla biur nieruchomości ASARI CRM (asaricrm.com)



Lokalizacja
Rozpłucie pierwsze
lubelskie
Informacje
Numer oferty: 41715/3186/OGS
Kontakt
AMK Portal Sp. z o.o.
Urząd Gminy Ludwin
81 75 70 018

Podobne oferty

 Rozpłucie pierwsze

Przetarg

Rozpłucie pierwsze

O G Ł O S Z E N I E ‘’Wójt Gminy Ludwin ogłasza przetarg ustny nieograniczony na sprzedaż nieruchomości...

m2
106 000 zł
 Rozpłucie pierwsze

Przetarg

Rozpłucie pierwsze

O G Ł O S Z E N I E Wójt Gminy Ludwin ogłasza II przetarg ustny nieograniczony na sprzedaż...

m2
106 000 zł
 Rozpłucie pierwsze

Przetarg - obręb Rozpłucie Pierwsze

Rozpłucie pierwsze

O G Ł O S Z E N I E Wójt Gminy Ludwin ogłasza III przetarg ustny nieograniczony na sprzedaż...

m2
80 000 zł