Działka

Biskupiec , Kombatantów

Działka

120 000 zł

Treść ogłoszenia

Wyciąg z ogłoszenia Burmistrza Biskupca (siedziba: 11-300 Biskupiec, ul. Aleja Niepodległości 2) o kolejnych przetargach ustnych nieograniczonych na zbycie niezabudowanych nieruchomości gruntowych, stanowiących własność Gminy Biskupiec.


1. Oznaczenie nieruchomości wg księgi wieczystej i katastru nieruchomości, powierzchnia nieruchomości.

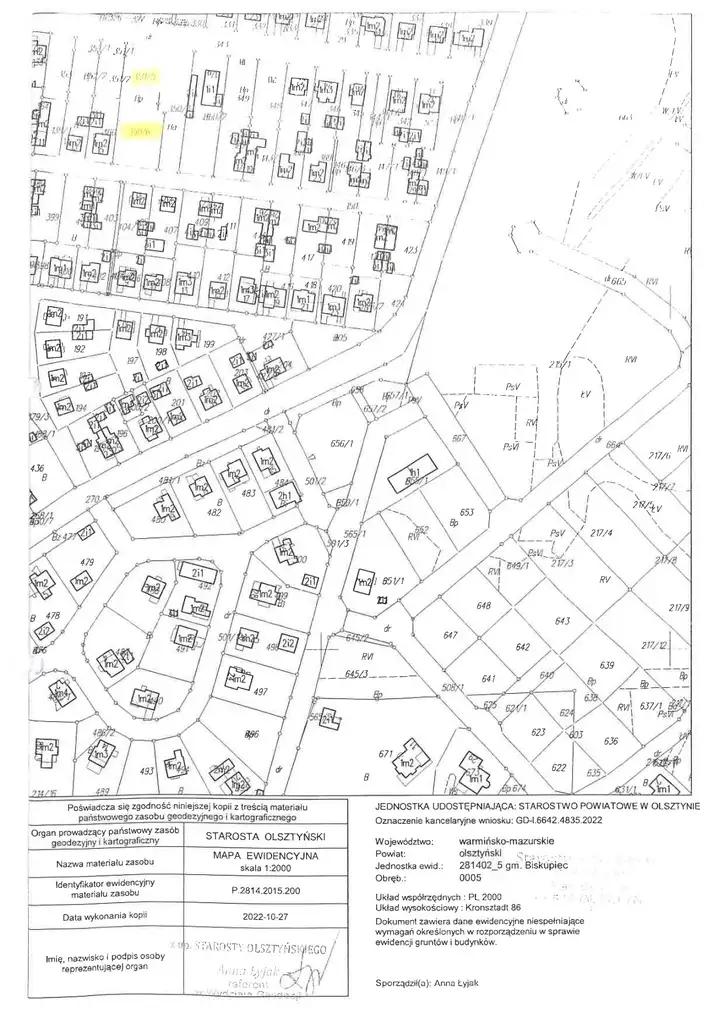
Nieruchomości, dla których prowadzona jest księga wieczysta nr OL1B/00012379/4, położone w Biskupcu (obręb miasto Biskupiec 5) przy ulicach:

1. Kombatantów, oznaczona numerem działki 350/5 o powierzchni 0,1183 ha,

2. Szczerbiec, oznaczona numerem działki 350/6 o powierzchni 0,1012 ha.


2. Forma zbycia.

Sprzedaż.


3. Przeznaczenie.

W miejscowym planie zagospodarowania przestrzennego tereny zabudowy mieszkaniowej jednorodzinnej z usługami nieuciążliwymi wbudowanymi w budynki mieszkalne, oznaczone symbolem MNU-1.


3. Cena wywoławcza.

1. 120 000,00 zł.

2. 110 000,00 zł.

Ceny zawierają podatek VAT w wysokości 23%.


4. Termin i miejsce przetargów.

5 czerwca 2025 roku, godz. 11:00, siedziba Urzędu Miejskiego w Biskupcu; adres: ul.Aleja Niepodległości 2, 11-300 Biskupiec, pokój nr 16 (I piętro, sala konferencyjna)


5. Wysokość wadium.

1. 24 000,00 zł.

2. 22 000,00 zł.


6. Miejsce wywieszenia i publikacji ogłoszenia o przetargu.

Tablica ogłoszeń w siedzibie Urzędu Miejskiego w Biskupcu, strona internetowa Urzędu www.biskupiec.pl, Biuletyn Informacji Publicznej www.bip.biskupiec.pl oraz serwis www.monitorurzedowy.pl


7. Dane teleadresowe, pod którymi można uzyskać szczegółowe informacje dotyczące przetargu.

Referat Gospodarki Gruntami Komunalnymi Urzędu: tel.89 715 01 44



Pełny tekst ogłoszenia o przetargach

Burmistrz Biskupca

ogłasza

kolejne przetargi ustne nieograniczone

na sprzedaż niezabudowanych nieruchomości gruntowych, stanowiących własność Gminy Biskupiec, dla których Sąd Rejonowy w Biskupcu prowadzi księgę wieczystą nr OL1B/00012379/4, położonych w Biskupcu (obręb miasto Biskupiec 5), przy ulicach:



1) Kombatantów, oznaczonej jako działka nr 350/5 o powierzchni 0,1183 ha (użytek: Bp);

Cena wywoławcza 120 000,00 zł

Wadium 24 000,00 zł



2) Szczerbiec, oznaczonej jako działka nr 350/6 o powierzchni 0,1012 ha (użytek: Bp, porośnięta w części frontowej kilkoma drzewami);

Cena wywoławcza 110 000,00 zł

Wadium 22 000,00 zł



Cena wywoławcza nieruchomości zawiera podatek VAT w wysokości 23%. Cena nieruchomości, uzyskana w przetargu, podlega zapłacie przed zawarciem umowy notarialnej (przenoszącej własność nieruchomości). Osoba ustalona na nabywcę nieruchomości ponosi ponadto koszty notarialne i sądowe. Ewentualne wznowienie granic nieruchomości na zlecenie i koszt nabywcy.



Nieruchomości nie są przedmiotem obciążeń i zobowiązań na rzecz osób trzecich. Zagospodarowanie nieruchomości – zgodnie z planem zagospodarowania przestrzennego.



W miejscowym planie zagospodarowania przestrzennego miasta Biskupiec, zatwierdzonym Uchwałą Nr XXX/211/05 Rady Miejskiej w Biskupcu z dnia 15 czerwca 2005 roku (Dz.Urz. Woj.Warmińsko-Mazurskiego Nr 104 z dnia 11.08.2005r., poz.1404) nieruchomości znajdują się w terenie oznaczonym na rysunku planu symbolem MNU-1 i przeznaczonym na tereny zabudowy mieszkaniowej jednorodzinnej - z usługami nieuciążliwymi wbudowanymi w budynki mieszkalne. Obszar objęty strefą „B” ochrony konserwatorskiej – ochrony układów przestrzennych, podstrefa „B1”. W dniu 30.03.2023 r. Rada Miejska w Biskupcu podjęła uchwałę (Nr LXIII/368/2023) w sprawie przystąpienia do sporządzenia zmian miejscowego planu zagospodarowania przestrzennego miasta Biskupiec między innymi terenu, na którym znajdują się przedmiotowe nieruchomości. Przedmiotem opracowania jest ustalenie zasad zagospodarowania i zabudowy terenu zgodnie z art.15 ustawy z dnia 27 marca 2003 r. o planowaniu i zagospodarowaniu przestrzennym. Szczegółowe informacje dotyczące zapisów planu zagospodarowania przestrzennego oraz obiektów znajdujących się w gminnej ewidencji zabytków można uzyskać w Referacie Budownictwa i spraw lokalowych Urzędu, pod numerami telefonów: 897150115 i 897150138.



Sprzedaż nieruchomości następuje według danych zawartych w ewidencji gruntów i budynków oraz w aktualnym stanie zagospodarowania (w przypadku braku urządzonego zjazdu z drogi gminnej, uzyskanie stosownego zezwolenia na lokalizację zjazdu i budowa zjazdu leży w gestii nabywcy). W przypadku ewentualnego wznowienia granic, wykonanego na koszt i staraniem nabywcy, sprzedający nie bierze odpowiedzialności za ewentualnie wynikłe różnice. Publiczne dane z zasobu geodezyjnego i kartograficznego, obejmującego powiat olsztyński (Geoportal Powiatu Olsztyńskiego), dostępne są pod adresem internetowym: https://powiatolsztynski.geoportal2.pl . Wg tych danych, przez działkę nr 350/5 przebiegają sieci: wodociągowa, kanalizacji sanitarnej i deszczowej oraz telefoniczna, natomiast przez działkę nr 350/6 przebiegają sieci: telefoniczna, kanalizacji sanitarnej i deszczowej oraz elektroenergetyczna (przez działkę wzdłuż granicy z ul.Szczerbiec przebiega linia energetyczna, na działce znajduje się słup energetyczny - oświetleniowy).



Nabywca jest zobowiązany do udostępnienia nieruchomości osobom i jednostkom zobowiązanym do wykonania czynności związanych z eksploatacją sieci nadziemnych i podziemnych oraz urządzeń występujących na gruncie. W przypadku, gdy przebiegające sieci nadziemne i podziemne lub urządzenia występujące na terenie nieruchomości (ujawnione i nie ujawnione na mapie), kolidują z realizacją zamierzonej inwestycji, nabywca będzie zobowiązany do ich przełożenia własnym kosztem i staraniem, w uzgodnieniu z jednostkami branżowymi i właścicielem sieci. Ponadto, nabywca przejmuje obowiązek usunięcia z nieruchomości ewentualnych użytkowników bezumownych.



Przebiegające przez nieruchomości sieci: kanalizacji sanitarnej i deszczowej (przez działki nr: 350/5 i 350/6) oraz wodociągowa (przez działkę nr 350/5), stanowią własność Gminy Biskupiec. Nabywca jest zobowiązany, przy zawieraniu umowy notarialnej, do obciążenia nabywanej nieruchomości nieodpłatną służebnością przesyłu, na czas nieoznaczony, na rzecz Gminy Biskupiec i każdoczesnego przyszłego właściciela tych sieci, polegającą na prawie swobodnego dostępu do nich, celem wykonania czynności konserwacyjnych, eksploatacyjnych i naprawczych.



Dla przedmiotowych nieruchomości nie przeprowadzono badań geotechnicznych podłoża gruntowego. Sprzedający nie ponosi odpowiedzialności za złożone warunki geotechniczne gruntu.



Sprzedający dysponuje natomiast opinią geotechniczną podłoża gruntowego, opracowaną w 2012 roku, dla terenu obejmującego działkę nr 350/1 (po podziałach działki nr: 350/3, 350/5 i 350/6), z którą można się zapoznać w Referacie Gospodarki Gruntami Komunalnymi Urzędu – pok.32).



Przetargi odbędą się w dniu 5 czerwca 2025 roku o godz. 11:00 w Urzędzie Miejskim w Biskupcu przy ul. Aleja Niepodległości 2 (sala konferencyjna, I piętro, pok. 16).



W przetargach mogą brać udział osoby, które w terminie do dnia 30 maja 2025 roku, wpłacą na rachunek bankowy Urzędu Miejskiego w Biskupcu Nr 45 1020 3541 0000 5902 0260 8230 PKO Bank Polski S.A. wymagane wadium (w pieniądzu) – w odniesieniu do każdej nieruchomości oddzielnie. Wadium powinno być wniesione z takim wyprzedzeniem, aby środki pieniężne znalazły się na rachunku bankowym Urzędu Miejskiego w Biskupcu najpóźniej w dniu 30 maja 2025 roku – pod rygorem uznania, że warunek wpłaty wadium nie został spełniony.



Uczestnicy przetargu są zobowiązani przedstawić, na żądanie komisji przetargowej:

- aktualny dokument potwierdzający tożsamość,

- aktualny odpis z właściwego rejestru, jeżeli uczestnikiem jest osoba prawna,

- oryginał potwierdzenia wniesienia wadium.

Pełnomocnicy uczestników przetargu winni okazać komisji przetargowej stosowne pełnomocnictwo, z podpisem mocodawcy poświadczonym notarialnie.



O wysokości postąpienia decydują uczestnicy przetargu, z tym, że postąpienie nie może wynosić mniej niż 1% ceny wywoławczej z zaokrągleniem w górę do pełnych dziesiątek złotych. Jeżeli żaden z uczestników przetargu nie zaoferuje postąpienia ponad cenę wywoławczą, wówczas przetarg zakończy się wynikiem negatywnym.



Uczestnikowi przetargu, który przetarg wygra, wpłacone wadium zostanie zaliczone na poczet ceny nabycia nieruchomości. Uczestnikom przetargu, którzy go nie wygrają, wadium zostanie zwrócone niezwłocznie po zamknięciu lub odwołaniu przetargu, jednak nie później niż przed upływem 3 dni od dnia, odpowiednio: odwołania przetargu, zamknięcia przetargu, unieważnienia lub zakończenia przetargu wynikiem negatywnym.



Nabywca nieruchomości zostanie zawiadomiony o terminie i miejscu zawarcia umowy sprzedaży w ciągu 21 dni od dnia rozstrzygnięcia przetargu. Jeżeli osoba ustalona jako nabywca nieruchomości nie przystąpi bez usprawiedliwienia do zawarcia umowy w miejscu i terminie podanym w zawiadomieniu, organizator przetargu może odstąpić od zawarcia umowy, a wpłacone wadium nie podlega zwrotowi.



Zastrzega się prawo odwołania przetargu z uzasadnionej przyczyny.



Przetargi przeprowadzone zostaną w oparciu o przepisy rozporządzenia Rady Ministrów z dnia 14 września 2004r. w sprawie sposobu i trybu przeprowadzania przetargów oraz rokowań na zbycie nieruchomości (j.t. Dz.U. z 2021 r., poz. 2213). Terminy przeprowadzenia poprzednich przetargów: 23.01.2024 r., 23.05.2024 r., 15.10.2024 r. i 13.02.2025 r. Dodatkowe informacje w sprawie procedury przetargowej można uzyskać w Referacie Gospodarki Gruntami Komunalnymi Urzędu (pok.32, tel. 897150144).



Kontakt:
Urząd Miasta Biskupiec
tel: 89 715 01 44
[Email protected]


Ogłoszenie wysłane z programu dla biur nieruchomości ASARI CRM (asaricrm.com)



Lokalizacja
Biskupiec
warmińsko-mazurskie
Informacje
Numer oferty: 41690/3186/OGS
Kontakt
AMK Portal Sp. z o.o.
Urząd Miasta Biskupiec
89 715 01 44

Podobne oferty

 Biskupiec

Działka

Biskupiec

Wyciąg z ogłoszenia Burmistrza Biskupca (siedziba: 11-300 Biskupiec, ul. Aleja Niepodległości 2) o drugim ustnym nieograniczonym na zbycie niezabudowanej nieruchomości...

m2
900 000 zł
 Biskupiec

Działka

Biskupiec

Wyciąg z ogłoszenia Burmistrza Biskupca (siedziba: 11-300 Biskupiec, ul. Aleja Niepodległości 2) o kolejnych przetargach ustnych nieograniczonych na sprzedaż niezabudowanych...

m2
250 000 zł
 Biskupiec   Skauta

Działka

Biskupiec, Skauta

Wyciąg z ogłoszenia Burmistrza Biskupca (siedziba: 11-300 Biskupiec, ul. Aleja Niepodległości 2) o drugim przetargu ustnym nieograniczonym na zbycie niezabudowanej...

m2
200 000 zł