Przetarg - ul. Kochanowskiego

Gorlice , Jana Kochanowskiego

Działka

81 607 zł

Treść ogłoszenia

Burmistrz Miasta Gorlice

ogłasza

przetargi ustne nieograniczone, na sprzedaż niezabudowanych nieruchomości gruntowych, stanowiących własność Miasta Gorlice, położonych przy ul. Kochanowskiego w Gorlicach



1. Czwarty przetarg ustny nieograniczony na sprzedaż niezabudowanej nieruchomości oznaczonej działką 3102 o pow. 0,1033 ha, obj. KW NS1G/00081269/6 Sądu Rejonowego w Gorlicach.

Nieruchomość położona jest w strefie pośredniej miasta. W przeważającej części jest to teren płaski porośnięty trawą a od strony ul. Kochanowskiego pojedynczymi krzakami i drzewami. Nieruchomość znajduje się w zasięgu sieci energetycznej, wodociągowej, kanalizacyjnej i gazowej. Posiada dostęp do drogi publicznej ul. Kochanowskiego, wydzielonym na ten cel terenem pod drogę wewnętrzną, oznaczonym działką nr 3110. Na chwilę obecną droga nie jest urządzona.

Zgodnie z planem zagospodarowania przestrzennego nieruchomość przeznaczona jest pod tereny zabudowy mieszkaniowej w obszarach szczególnego zagrożenia powodzią dla realizacji budynków mieszkalnych jednorodzinnych wolnostojących- symbol z planu MN/zz.


Nieruchomość będąca przedmiotem przetargu wolna jest od obciążeń i zobowiązań.


Cena wywoławcza nieruchomości wynosi: 81 607,00 zł netto (słownie: osiemdziesiąt jeden tysięcy sześćset siedem złotych 00/100) plus podatek VAT w wysokości 18 769,61 zł (słownie: osiemnaście tysięcy siedemset sześćdziesiąt dziewięć złotych 61/100), obliczony według stawki 23 %, co łącznie daje kwotę brutto 100 376,61 zł (słownie: sto tysięcy trzysta siedemdziesiąt sześć złotych 61/100).



O wysokości postąpienia decydują uczestnicy przetargu z tym, że postąpienie nie może wynosić mniej niż 1% ceny wywoławczej brutto, z zaokrągleniem w górę do pełnych dziesiątek złotych.



Wadium wynosi 13 100,00 zł (słownie: trzynaście tysięcy sto złotych 00/100) i należy je wnieść w środkach pieniężnych przelewem na rachunek Urzędu Miejskiego w Gorlicach Nr 59 2030 0045 1110 0000 0160 8370 w Banku BNP Paribas S.A. O/Gorlice, najpóźniej 08.10.2025 r. W tytule wpłaty należy podać dane uczestnika przetargu oraz numer działki ewidencyjnej, której dotyczy wadium. Za datę wniesienia wadium uznaje się dzień wpływu należności na rachunek Urzędu.



Terminy poprzednich przetargów:

I przetarg odbył się 25.06.2024 r.

II przetarg odbył się 22.10.2024 r.

III przetarg odbył się 15.04.2025 r.




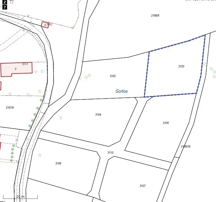
2. Czwarty przetarg ustny nieograniczony na sprzedaż niezabudowanej nieruchomości oznaczonej działką 3103 o pow. 0,1035 ha, obj. KW NS1G/00081269/6 Sądu Rejonowego w Gorlicach.

Nieruchomość położona jest w strefie pośredniej miasta. W przeważającej części jest to teren płaski porośnięty trawą natomiast od strony rzeki Sękówka porośnięty krzakami i pojedynczymi drzewami. Nieruchomość znajduje się w zasięgu sieci energetycznej, wodociągowej, kanalizacyjnej i gazowej. Posiada dostęp do drogi publicznej ul. Kochanowskiego, wydzielonym na ten cel terenem pod drogę wewnętrzną, oznaczonym działką nr 3110. Na chwilę obecną droga nie jest urządzona.

Zgodnie z planem zagospodarowania przestrzennego nieruchomość przeznaczona jest pod tereny zabudowy mieszkaniowej w obszarach szczególnego zagrożenia powodzią dla realizacji budynków mieszkalnych jednorodzinnych wolnostojących - symbol z planu MN/zz.



Nieruchomość będąca przedmiotem przetargu wolna jest od obciążeń i zobowiązań.


Cena wywoławcza nieruchomości wynosi 81 765,00 zł netto (słownie: osiemdziesiąt jeden tysięcy siedemset sześćdziesiąt pięć złotych 00/100) plus podatek VAT w wysokości 18 805,95 zł (słownie: osiemnaście tysięcy osiemset pięć złotych 95/100) obliczony według stawki 23 %, co łącznie daje kwotę brutto 100 570,95 zł (słownie: sto tysięcy pięćset siedemdziesiąt złotych 95/100).



O wysokości postąpienia decydują uczestnicy przetargu z tym, że postąpienie nie może wynosić mniej niż 1% ceny wywoławczej brutto, z zaokrągleniem w górę do pełnych dziesiątek złotych.



Wadium wynosi 13 200,00 zł (słownie: trzynaście tysięcy dwieście złotych 00/100) i należy je wnieść w środkach pieniężnych przelewem na rachunek Urzędu Miejskiego w Gorlicach Nr 59 2030 0045 1110 0000 0160 8370 w Banku BNP Paribas S.A. O/Gorlice, najpóźniej 08.10.2025 r. W tytule wpłaty należy podać dane uczestnika przetargu oraz numer działki ewidencyjnej, której dotyczy wadium. Za datę wniesienia wadium uznaje się dzień wpływu należności na rachunek Urzędu.



Terminy poprzednich przetargów:

I przetarg odbył się 25.06.2024 r.

II przetarg odbył się 22.10.2024 r.

III przetarg odbył się 15.04.2025 r.




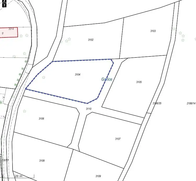
3. Czwarty przetarg ustny nieograniczony na sprzedaż niezabudowanej nieruchomości oznaczonej działką 3104 o pow. 0,1182 ha, obj. KW NS1G/00081269/6 Sądu Rejonowego w Gorlicach.

Nieruchomość położona jest w strefie pośredniej miasta. W przeważającej części jest to teren płaski porośnięty trawą natomiast od strony ul. Kochanowskiego jest niewielka skarpa porośnięta krzakami i pojedynczymi drzewami. Nieruchomość znajduje się w zasięgu sieci energetycznej, wodociągowej, kanalizacyjnej i gazowej. Posiada dostęp do drogi publicznej ul. Kochanowskiego, wydzielonym na ten cel terenem pod drogę wewnętrzną, oznaczonym działką nr 3110. Na chwilę obecną droga nie jest urządzona.

Zgodnie z planem zagospodarowania przestrzennego nieruchomość przeznaczona jest pod tereny zabudowy mieszkaniowej w obszarach szczególnego zagrożenia powodzią dla realizacji budynków mieszkalnych jednorodzinnych wolnostojących - symbol z planu MN/zz.



Nieruchomość będąca przedmiotem przetargu wolna jest od obciążeń i zobowiązań.


Cena wywoławcza nieruchomości wynosi 93 378,00 zł netto (słownie: dziewięćdziesiąt trzy tysiące trzysta siedemdziesiąt osiem złotych 00/100) plus podatek VAT w wysokości 21 476,94 zł (słownie: dwadzieścia jeden tysięcy czterysta siedemdziesiąt sześć złotych 94/100) obliczony według stawki 23 %, co łącznie daje kwotę brutto 114 854,94 zł (słownie: sto czternaście tysięcy osiemset pięćdziesiąt cztery złote 94/100).

O wysokości postąpienia decydują uczestnicy przetargu z tym, że postąpienie nie może wynosić mniej niż 1% ceny wywoławczej brutto, z zaokrągleniem w górę do pełnych dziesiątek złotych.



Wadium wynosi 15 000,00 zł /słownie: piętnaście tysięcy złotych 00/100/ i należy je wnieść w środkach pieniężnych przelewem na rachunek Urzędu Miejskiego w Gorlicach Nr 59 2030 0045 1110 0000 0160 8370 w Banku BNP Paribas S.A. O/Gorlice, najpóźniej 08.10.2025 r. W tytule wpłaty należy podać dane uczestnika przetargu oraz numer działki ewidencyjnej, której dotyczy wadium. Za datę wniesienia wadium uznaje się dzień wpływu należności na rachunek Urzędu.



Terminy poprzednich przetargów:

I przetarg odbył się 25.06.2024 r.

II przetarg odbył się 22.10.2024 r.

III przetarg odbył się 15.04.2025 r.




4. Czwarty przetarg ustny nieograniczony na sprzedaż niezabudowanej nieruchomości oznaczonej działką 3105 o pow. 0,1169 ha, obj. KW NS1G/00081269/6 Sądu Rejonowego w Gorlicach.

Nieruchomość położona jest w strefie pośredniej miasta. Jest to teren płaski porośnięty trawą natomiast od strony rzeki Sękówka porośnięty krzakami i pojedynczymi drzewami. Nieruchomość znajduje się w zasięgu sieci energetycznej, wodociągowej, kanalizacyjnej i gazowej. Posiada dostęp do drogi publicznej ul. Kochanowskiego, wydzielonym na ten cel terenem pod drogę wewnętrzną, oznaczonym działką nr 3110 . Na chwilę obecną droga nie jest urządzona.

Zgodnie z planem zagospodarowania przestrzennego nieruchomość przeznaczona jest pod tereny zabudowy mieszkaniowej w obszarach szczególnego zagrożenia powodzią dla realizacji budynków mieszkalnych jednorodzinnych wolnostojących- symbol z planu MN/zz.



Nieruchomość będąca przedmiotem przetargu wolna jest od obciążeń i zobowiązań.


Cena wywoławcza nieruchomości wynosi 92 351,00 zł netto (słownie: dziewięćdziesiąt dwa tysiące trzysta pięćdziesiąt jeden złotych 00/100) plus podatek VAT w wysokości 21 240,73 zł (słownie: dwadzieścia jeden tysięcy dwieście czterdzieści złotych 73/100) obliczony według stawki 23 %, co łącznie daje kwotę brutto 113 591,73 zł (słownie: sto trzynaście tysięcy pięćset dziewięćdziesiąt jeden złotych 73/100).



O wysokości postąpienia decydują uczestnicy przetargu z tym, że postąpienie nie może wynosić mniej niż 1% ceny wywoławczej brutto, z zaokrągleniem w górę do pełnych dziesiątek złotych.



Wadium wynosi 14 900,00 zł /słownie: czternaście tysięcy dziewięćset złotych 00/100/ i należy je wnieść w środkach pieniężnych przelewem na rachunek Urzędu Miejskiego w Gorlicach Nr 59 2030 0045 1110 0000 0160 8370 w Banku BNP Paribas S.A. O/Gorlice, najpóźniej 08.10.2025 r. W tytule wpłaty należy podać dane uczestnika przetargu oraz numer działki ewidencyjnej, której dotyczy wadium. Za datę wniesienia wadium uznaje się dzień wpływu należności na rachunek Urzędu.

Terminy poprzednich przetargów:

I przetarg odbył się 25.06.2024 r.

II przetarg odbył się 22.10.2024 r.

III przetarg odbył się 15.04.2025 r.



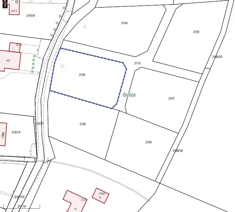
5. Czwarty przetarg ustny nieograniczony na sprzedaż niezabudowanej nieruchomości oznaczonej działką 3106 o pow. 0,1052 ha, obj. KW NS1G/00081269/6 Sądu Rejonowego w Gorlicach.

Nieruchomość położona jest w strefie pośredniej miasta. W przeważającej części jest to teren płaski porośnięty trawą natomiast od strony ul. Kochanowskiego jest niewielka skarpa porośnięta krzakami i pojedynczymi drzewami. Nieruchomość znajduje się w zasięgu sieci energetycznej, wodociągowej, kanalizacyjnej i gazowej. Posiada dostęp do drogi publicznej ul. Kochanowskiego, wydzielonym na ten cel terenem pod drogę wewnętrzną, oznaczonym działką nr 3110 . Na chwilę obecną droga nie jest urządzona.

Zgodnie z planem zagospodarowania przestrzennego nieruchomość przeznaczona jest pod tereny zabudowy mieszkaniowej w obszarach szczególnego zagrożenia powodzią dla realizacji budynków mieszkalnych jednorodzinnych wolnostojących- symbol z planu MN/zz.



Nieruchomość będąca przedmiotem przetargu wolna jest od obciążeń i zobowiązań.


Cena wywoławcza nieruchomości wynosi 83 108,00 zł netto (słownie: osiemdziesiąt trzy tysiące sto osiem złotych 00/100) plus podatek VAT w wysokości 19 114,84 zł (słownie: dziewiętnaście tysięcy sto czternaście złotych 84/100) obliczony według stawki 23 %, co łącznie daje kwotę brutto 102 222,84 zł (słownie: sto dwa tysiące dwieście dwadzieścia dwa złote 84/100).



O wysokości postąpienia decydują uczestnicy przetargu z tym, że postąpienie nie może wynosić mniej niż 1% ceny wywoławczej brutto, z zaokrągleniem w górę do pełnych dziesiątek złotych.



Wadium wynosi 13 400,00 zł (słownie: trzynaście tysięcy czterysta złotych 00/100) i należy je wnieść w środkach pieniężnych przelewem na rachunek Urzędu Miejskiego w Gorlicach Nr 59 2030 0045 1110 0000 0160 8370 w Banku BNP Paribas S.A. O/Gorlice, najpóźniej 09.10.2025 r. W tytule wpłaty należy podać dane uczestnika przetargu oraz numer działki ewidencyjnej, której dotyczy wadium. Za datę wniesienia wadium uznaje się dzień wpływu należności na rachunek Urzędu.



Terminy poprzednich przetargów:

I przetarg odbył się 26.06.2024 r.

II przetarg odbył się 23.10.2024 r.

III przetarg odbył się 16.04.2025 r.



6. Czwarty przetarg ustny nieograniczony na sprzedaż niezabudowanej nieruchomości oznaczonej działką 3107 o pow. 0,1062 ha, obj. KW NS1G/00081269/6 Sądu Rejonowego w Gorlicach.

Nieruchomość położona jest w strefie pośredniej miasta. Jest to teren płaski porośnięty trawą natomiast od strony rzeki Sękówka porośnięty krzakami i pojedynczymi drzewami. Nieruchomość znajduje się w zasięgu sieci energetycznej, wodociągowej, kanalizacyjnej i gazowej. Posiada dostęp do drogi publicznej ul. Kochanowskiego, wydzielonym na ten cel terenem pod drogę wewnętrzną, oznaczonym działką nr 3110. Na chwilę obecną droga nie jest urządzona.

Zgodnie z planem zagospodarowania przestrzennego nieruchomość przeznaczona jest pod tereny zabudowy mieszkaniowej w obszarach szczególnego zagrożenia powodzią dla realizacji budynków mieszkalnych jednorodzinnych wolnostojących- symbol z planu MN/zz.

Nieruchomość będąca przedmiotem przetargu wolna jest od obciążeń i zobowiązań.


Cena wywoławcza nieruchomości wynosi 83 898,00 zł netto (słownie: osiemdziesiąt trzy tysiące osiemset dziewięćdziesiąt osiem złotych 00/100) plus podatek VAT w wysokości 19 296,54 zł (słownie: dziewiętnaście tysięcy dwieście dziewięćdziesiąt sześć złotych 54/100) obliczony według stawki 23 %, co łącznie daje kwotę brutto 103 194,54 zł (słownie: sto trzy tysiące sto dziewięćdziesiąt cztery złote 54/100).



O wysokości postąpienia decydują uczestnicy przetargu z tym, że postąpienie nie może wynosić mniej niż 1% ceny wywoławczej brutto, z zaokrągleniem w górę do pełnych dziesiątek złotych.



Wadium wynosi 13 500,00 zł (słownie: trzynaście tysięcy pięćset złotych 00/100) i należy je wnieść w środkach pieniężnych przelewem na rachunek Urzędu Miejskiego w Gorlicach Nr 59 2030 0045 1110 0000 0160 8370 w Banku BNP Paribas S.A. O/Gorlice, najpóźniej 09.10.2025 r. W tytule wpłaty należy podać dane uczestnika przetargu oraz numer działki ewidencyjnej, której dotyczy wadium. Za datę wniesienia wadium uznaje się dzień wpływu należności na rachunek Urzędu.



Terminy poprzednich przetargów:

I przetarg odbył się 26.06.2024 r.

II przetarg odbył się 23.10.2024 r.

III przetarg odbył się 16.04.2025 r.



7. Czwarty przetarg ustny nieograniczony na sprzedaż niezabudowanej nieruchomości oznaczonej działką 3108 o pow. 0,1071 ha, obj. KW NS1G/00081269/6 Sądu Rejonowego w Gorlicach.

Nieruchomość położona jest w strefie pośredniej miasta. Jest to teren płaski porośnięty trawą natomiast od strony ul. Kochanowskiego jest niewielka skarpa porośnięta krzakami i pojedynczymi drzewami. Nieruchomość znajduje się w zasięgu sieci energetycznej, wodociągowej, kanalizacyjnej i gazowej. Posiada dostęp do drogi publicznej ul. Kochanowskiego, wydzielonym na ten cel terenem pod drogę wewnętrzną, oznaczonym działką nr 3110. Na chwilę obecną droga nie jest urządzona.

Zgodnie z planem zagospodarowania przestrzennego nieruchomość przeznaczona jest pod tereny zabudowy mieszkaniowej w obszarach szczególnego zagrożenia powodzią dla realizacji budynków mieszkalnych jednorodzinnych wolnostojących- symbol z planu MN/zz.



Nieruchomość będąca przedmiotem przetargu wolna jest od obciążeń i zobowiązań.


Cena wywoławcza nieruchomości wynosi 84 609 zł netto (słownie: osiemdziesiąt cztery tysiące sześćset dziewięć złotych 00/100) plus podatek VAT w wysokości 19 460,07 zł (słownie: dziewiętnaście tysięcy czterysta sześćdziesiąt złotych 07/100) obliczony według stawki 23 %, co łącznie daje kwotę brutto 104 069,07 zł (słownie: sto cztery tysiące sześćdziesiąt dziewięć złotych 07/100).



O wysokości postąpienia decydują uczestnicy przetargu z tym, że postąpienie nie może wynosić mniej niż 1% ceny wywoławczej brutto, z zaokrągleniem w górę do pełnych dziesiątek złotych.



Wadium wynosi 13 600,00 zł /słownie: trzynaście tysięcy sześćset złotych 00/100/ i należy je wnieść w środkach pieniężnych przelewem na rachunek Urzędu Miejskiego w Gorlicach Nr 59 2030 0045 1110 0000 0160 8370 w Banku BNP Paribas S.A. O/Gorlice, najpóźniej 09.10.2025 r. W tytule wpłaty należy podać dane uczestnika przetargu oraz numer działki ewidencyjnej, której dotyczy wadium. Za datę wniesienia wadium uznaje się dzień wpływu należności na rachunek Urzędu.



Terminy poprzednich przetargów:

I przetarg odbył się 26.06.2024 r.

II przetarg odbył się 23.10.2024 r.

III przetarg odbył się 16.04.2025 r.



8. Czwarty przetarg ustny nieograniczony na sprzedaż niezabudowanej nieruchomości oznaczonej działką 3109 o pow. 0,1025 ha, obj. KW NS1G/00081269/6 Sądu Rejonowego w Gorlicach.

Nieruchomość położona jest w strefie pośredniej miasta. W przeważającej części jest to teren płaski porośnięty trawą natomiast od strony rzeki Sękówka porośnięta krzakami i pojedynczymi drzewami. Nieruchomość znajduje się w zasięgu sieci energetycznej, wodociągowej, kanalizacyjnej i gazowej. Posiada dostęp do drogi publicznej ul. Kochanowskiego, wydzielonym na ten cel terenem pod drogę wewnętrzną, oznaczonym działką nr 3110. Na chwilę obecną droga nie jest urządzona.

Zgodnie z planem zagospodarowania przestrzennego nieruchomość przeznaczona jest pod tereny zabudowy mieszkaniowej w obszarach szczególnego zagrożenia powodzią dla realizacji budynków mieszkalnych jednorodzinnych wolnostojących- symbol z planu MN/zz.



Nieruchomość będąca przedmiotem przetargu wolna jest od obciążeń i zobowiązań.


Cena wywoławcza nieruchomości wynosi 80 975,00 zł netto (słownie: osiemdziesiąt tysięcy dziewięćset siedemdziesiąt pięć złotych 00/100) plus podatek VAT w wysokości 18 624,25 zł (słownie: osiemnaście tysięcy sześćset dwadzieścia cztery złote 25/100) obliczony według stawki 23 %, co łącznie daje kwotę brutto 99 599,25 zł (słownie: dziewięćdziesiąt dziewięć tysięcy pięćset dziewięćdziesiąt dziewięć złotych 25/100/.



O wysokości postąpienia decydują uczestnicy przetargu z tym, że postąpienie nie może wynosić mniej niż 1% ceny wywoławczej brutto, z zaokrągleniem w górę do pełnych dziesiątek złotych.



Wadium wynosi 13 000,00 zł (słownie: trzynaście tysięcy złotych 00/100) i należy je wnieść w środkach pieniężnych przelewem na rachunek Urzędu Miejskiego w Gorlicach Nr 59 2030 0045 1110 0000 0160 8370 w Banku BNP Paribas S.A. O/Gorlice, najpóźniej 09.10.2025 r. W tytule wpłaty należy podać dane uczestnika przetargu oraz numer działki ewidencyjnej, której dotyczy wadium. Za datę wniesienia wadium uznaje się dzień wpływu należności na rachunek Urzędu.



Terminy poprzednich przetargów:

I przetarg odbył się 26.06.2024 r.

II przetarg odbył się 23.10.2024 r.

III przetarg odbył się 16.04.2025 r.



Przetargi na sprzedaż nieruchomości wymienionych w pkt 1 - 4 odbędą się w budynku Urzędu Miejskiego Gorlice Rynek 2 sala 207 A II piętro w dniu 13.10.2025 r.

pkt 1 - godzina 10:00

pkt 2 - godzina 11:00

pkt 3 - godzina 12:00

pkt 4 - godzina 13:00


Przetargi na sprzedaż nieruchomości wymienionych w pkt 5 - 8 odbędą się w budynku Urzędu Miejskiego Gorlice Rynek 2 sala 207 A II piętro w dniu 14.10.2025 r.

pkt 5 - godzina 10:00

pkt 6 - godzina 11:00

pkt 7 - godzina 12:00

pkt 8 - godzina 13:00



Warunkiem udziału w przetargach jest wpłacenie przez uczestnika w wyznaczonym terminie wadium oraz przedłożenie Komisji Przetargowej przed otwarciem przetargu:

- kopii dokumentu potwierdzającego dokonanie wpłaty wadium - w przypadku chęci udziału w przetargu na więcej niż jedną nieruchomość wadium należy wpłacić odrębnie dla każdej nieruchomości we wskazanej w ogłoszeniu wysokości,

- oświadczenia, że oferent zapoznał się z warunkami przetargu i przyjmuje te warunki bez zastrzeżeń, oraz że zapoznał się ze stanem faktycznym i prawnym nabywanej nieruchomości oraz stanem zagospodarowania terenu, i nie zgłasza do nich zastrzeżeń,

- jeżeli oferent na dzień przetargu prowadzi działalność gospodarczą – okazanie do wglądu aktualnego potwierdzenia aktywnego wpisu do Centralnej Ewidencji Działalności Gospodarczej lub aktualny odpis lub wydruk z KRS,

- okazanie dowodu tożsamości,

- w przypadku przystąpienia do przetargu osób fizycznych pozostających w związku małżeńskim, posiadających ustawową wspólność małżeńską do udziału w przetargu wymagana jest obecność obojga małżonków. W przypadku uczestnictwa w przetargu jednego małżonka należy złożyć do akt pisemne oświadczenie współmałżonka, iż wyraża on zgodę na nabycie nieruchomości będącej przedmiotem przetargu po cenie wylicytowanej przez współmałżonka przystępującego do przetargu,

- jeżeli uczestnik jest reprezentowany przez pełnomocnika, konieczne jest przedłożenie oryginału notarialnego pełnomocnictwa upoważniającego do działania na każdym etapie postępowania przetargowego.



Dodatkowe informacje:

W przypadku zaistnienia uzasadnionych powodów Burmistrz Miasta Gorlice zastrzega sobie prawo odwołania przetargu.



Przed przystąpieniem do przetargu oferent winien zapoznać się z aktualnym stanem zagospodarowania oraz uzbrojeniem terenu.



Zapewnienie warunków dostawy mediów oraz określenie technicznych warunków podłączenia nieruchomości do sieci uzbrojenia określą właściwe służby na wniosek nabywcy. Koszty podłączenia do sieci uzbrojenia pokrywa nabywca.



Wadium wpłacone przez oferenta, który zostanie ustalony, jako nabywca nieruchomości, zaliczone będzie na poczet ceny sprzedaży. Pozostałym uczestnikom przetargu wadium zostanie zwrócone niezwłocznie, w ciągu 3 dni roboczych od zamknięcia, odwołania, unieważnienia lub zakończenia wynikiem negatywnym przetargu, na konto wskazane przez uczestnika przetargu.



Cena nabycia w/w nieruchomości płatna jest jednorazowo przed zawarciem umowy notarialnej. W dniu podpisania umowy notarialnej środki finansowe winny znajdować się na rachunku bankowym Miasta Gorlice. O terminie zawarcia umowy notarialnej nabywca zostanie zawiadomiony do 21 dni od dnia rozstrzygnięcia przetargu. Koszty notarialne i sądowe ponosi nabywca.



Jeżeli oferent ustalony, jako nabywca nieruchomości nie przystąpi bez usprawiedliwienia do zawarcia umowy w miejscu i w terminie podanym w zawiadomieniu Burmistrz Miasta Gorlice może odstąpić od zawarcia umowy, a wpłacone wadium nie podlega zwrotowi.



Przy nabywaniu nieruchomości przez osobę będącą cudzoziemcem w rozumieniu ustawy z dnia 24 marca 1920 r. o nabywaniu nieruchomości przez cudzoziemców (t.j. Dz. U. z 2017 r. poz. 2278) nabywca winien do aktu notarialnego przedłożyć stosowne zezwolenie wynikające z przepisów tej ustawy. W przypadku nie uzyskania zezwolenia przed zawarciem umowy notarialnej wpłacone wadium przepada na rzecz Miasta Gorlice.



Miasto Gorlice nie ponosi odpowiedzialności w razie ujawnienia się okoliczności leżących po stronie oferenta, uniemożliwiających zawarcie umowy przenoszącej własność. W razie zaistnienia wskazanych okoliczności organizator przetargu może odstąpić od zawarcia umowy, a wpłacone wadium nie podlega zwrotowi.



Ogłoszenie o przetargach wywiesza się w siedzibie Urzędu Miejskiego w Gorlicach oraz publikuje na stronie internetowej Urzędu Miejskiego w Gorlicach www.gorlice.pl, w dzienniku www.monitorurzedowy.pl oraz na portalach nieruchomości i w Biuletynie Informacji Publicznej Urzędu Miejskiego w Gorlicach. Ponadto informacje dotyczące przetargów można uzyskać w Wydziale Nieruchomości i Gospodarki Przestrzennej Urzędu Miejskiego Gorlice Plac Kościelny 2, segment B (parter), pok. 12 B, tel. (18) 35-51-261. Szczegółowe informacja na temat planu zagospodarowania przestrzennego nieruchomości będących przedmiotem przetargów można uzyskać w Wydziale Nieruchomości i Gospodarki Przestrzennej Urzędu Miejskiego Gorlice Plac Kościelny 2, segment B (parter), pok. 11 B, tel. (18) 35-51-259.





Gorlice, dnia 11.09.2025 r.



Z up. BURMISTRZA

Sebastian Puchajda

Zastępca Burmistrza







WYCIĄG Z OGŁOSZENIA O PRZETARGACH



Burmistrz Miasta Gorlice

ogłasza

czwarte przetargi ustne nieograniczone, na sprzedaż niezabudowanych nieruchomości gruntowych, stanowiących własność Miasta Gorlice, położonych przy ul. Kochanowskiego w Gorlicach.



1. Nieruchomość oznaczona działką 3102 o pow. 0,1033 ha, obj. KW NS1G/00081269/6.

Cena wywoławcza nieruchomości wynosi: 81 607,00 zł netto plus podatek VAT w wysokości 18 769,61 zł, obliczony według stawki 23 %, co łącznie daje kwotę brutto 100 376,61 zł.

Wadium: 13 100,00 zł.

Termin i miejsce przetargu: 13.10.2025 r. o godzinie 10:00 w siedzibie Urzędu Miejskiego Gorlice Rynek 2 sala 207A II piętro (wpłata wadium w terminie do 08.10.2025 r.).



2. Nieruchomość oznaczona działką 3103 o pow. 0,1035 ha, obj. KW NS1G/00081269/6.

Cena wywoławcza nieruchomości wynosi 81 765,00 zł netto plus podatek VAT w wysokości 18 805,95 zł, obliczony według stawki 23 %, co łącznie daje kwotę brutto 100 570,95 zł .

Wadium: 13 200,00 zł.

Termin i miejsce przetargu: 13.10.2025 r. o godzinie 11:00 w siedzibie Urzędu Miejskiego Gorlice Rynek 2 sala 207A II piętro (wpłata wadium w terminie do 08.10.2025 r.).



3. Nieruchomość oznaczona działką 3104 o pow. 0,1182 ha, obj. KW NS1G/00081269/6.

Cena wywoławcza nieruchomości wynosi 93 378,00 zł netto plus podatek VAT w wysokości 21 476,94 zł, obliczony według stawki 23 %, co łącznie daje kwotę brutto 114 854,94 zł.

Wadium: 15 000,00 zł.

Termin i miejsce przetargu: 13.10.2025 r. o godzinie 12:00 w siedzibie Urzędu Miejskiego Gorlice Rynek 2 sala 207A II piętro (wpłata wadium w terminie do 08.10.2025 r.).



4. Nieruchomość oznaczona działką 3105 o pow. 0,1169 ha, obj. KW NS1G/00081269/6.

Cena wywoławcza nieruchomości wynosi 92 351,00 zł netto plus podatek VAT w wysokości 21 240,73 zł, obliczony według stawki 23 %, co łącznie daje kwotę brutto 113 591,73 zł.

Wadium: 14 900,00 zł.

Termin i miejsce przetargu: 13.10.2025 r. o godzinie 13:00 w siedzibie Urzędu Miejskiego Gorlice Rynek 2 sala 207A II piętro (wpłata wadium w terminie do 08.10.2025 r.).



5. Nieruchomość oznaczona działką 3106 o pow. 0,1052 ha, obj. KW NS1G/00081269/6.

Cena wywoławcza nieruchomości wynosi 83 108,00 zł netto plus podatek VAT w wysokości 19 114,84 zł, obliczony według stawki 23 %, co łącznie daje kwotę brutto 102 222,84 zł .

Wadium: 13 400,00 zł.

Termin i miejsce przetargu: 14.10.2025 r. o godzinie 10:00 w siedzibie Urzędu Miejskiego Gorlice Rynek 2 sala 207A II piętro (wpłata wadium w terminie do 09.10.2025 r.).



6. Nieruchomość oznaczona działką 3107 o pow. 0,1062 ha, obj. KW NS1G/00081269/6.

Cena wywoławcza nieruchomości wynosi 83 898,00 zł netto plus podatek VAT w wysokości 19 296,54 zł, obliczony według stawki 23 %, co łącznie daje kwotę brutto 103 194,54 zł.

Wadium: 13 500,00 zł.

Termin i miejsce przetargu: 14.10.2025 r. o godzinie 11:00 w siedzibie Urzędu Miejskiego Gorlice Rynek 2 sala 207A II piętro (wpłata wadium w terminie do 09.10.2025 r.).



7. Nieruchomość oznaczona działką 3108 o pow. 0,1071 ha, obj. KW NS1G/00081269/6.

Cena wywoławcza nieruchomości wynosi 84 609,00 zł netto plus podatek VAT w wysokości 19 460,07 zł obliczony według stawki 23 %, co łącznie daje kwotę brutto 104 069,07 zł.

Wadium: 13 600,00 zł.

Termin i miejsce przetargu: 14.10.2025 r. o godzinie 12:00 w siedzibie Urzędu Miejskiego Gorlice Rynek 2 sala 207A II piętro (wpłata wadium w terminie do 09.10.2025 r.).



8. Nieruchomość oznaczona działką 3109 o pow. 0,1025 ha, obj. KW NS1G/00081269/6.

Cena wywoławcza nieruchomości wynosi 80 975,00 zł netto plus podatek VAT w wysokości 18 624,25 zł, obliczony według stawki 23 %, co łącznie daje kwotę brutto 99 599,25 zł .

Wadium: 13 000,00 zł.

Termin i miejsce przetargu: 14.10.2025 r. o godzinie 13:00 w siedzibie Urzędu Miejskiego Gorlice Rynek 2 sala 207A II piętro (wpłata wadium w terminie do 9.10.2025 r.).



Pełną treść ogłoszenia o przetargach wywiesza się w siedzibie Urzędu Miejskiego w Gorlicach oraz publikuje na stronie internetowej Urzędu (www.gorlice.pl), w dzienniku www.monitorurzedowy.pl oraz na portalach nieruchomości i w Biuletynie Informacji Publicznej Miasta Gorlice.

Szczegółowe informacje o przetargu można uzyskać telefonicznie pod numerem: (18) 35-51-261 lub osobiście w Wydziale Nieruchomości i Gospodarki Przestrzennej Urzędu Miejskiego w Gorlicach Plac Kościelny 2, segment B parter, pok. 12 B.



Gorlice, dnia 11.09.2025 r.



Z up. BURMISTRZA

Sebastian Puchajda

Zastępca Burmistrza



Kontakt:
Urząd Miasta Gorlice
tel: 18 35 51 261
[Email protected]


Ogłoszenie wysłane z programu dla biur nieruchomości ASARI CRM (asaricrm.com)



Lokalizacja
Gorlice
małopolskie
Informacje
Numer oferty: 42940/3186/OGS
Kontakt
AMK Portal Sp. z o.o.
Urząd Miasta Gorlice
18 35 51 261

Podobne oferty

 Gorlice   Zakole

Przetarg - ul. Zakole

Gorlice, Zakole

Burmistrz Miasta Gorlice ogłasza III przetarg ustny nieograniczony na sprzedaż niezabudowanej nieruchomości gruntowej, stanowiącej własność Miasta Gorlice, położonej przy ul....

m2
1 007 160 zł
 Gorlice   Jana Kochanowskiego

Działka

Gorlice, Jana Kochanowskiego

Burmistrz Miasta Gorlice ogłasza przetargi ustne nieograniczone, na sprzedaż niezabudowanych nieruchomości gruntowych, stanowiących własność Miasta Gorlice, położonych przy ul. Kochanowskiego...

m2
107 701 zł
 Gorlice

Działka produkcyjno -usługowa Gorlice

Gorlice

OFERTA DLA INWESTORÓW!! 65 ARÓW działki pod działalność produkcyjną, składowanie oraz magazynowanie przy ul. Młyńskiej, zjazd z drogi krajowej Biecka...

6593 m2
1 617 000 zł
245 zł/m2