Działka w Kowalewie z potencjałem na staw

Kowalewo , Wiśniowa

Działka
1593 m2

405 000 zł

Treść ogłoszenia

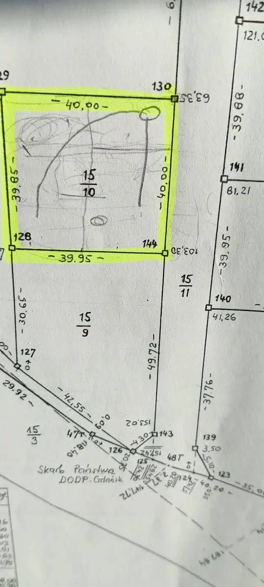
Działka pod zabudowę jednorodzinną z funkcją usługową o numerze ewidencyjnym15/10, w Kowalewie k. Szemudu, w powiecie wejherowskim, w gminie Szemud, o powierzchni 1593 m², o wymiarach 40m x 40m.
Obowiązuje Miejscowy Plan Zagospodarowania Przestrzennego: 13.28.MU1 -zabudowa mieszkaniowo-usługowa:
a) Nieprzekraczalne linie zabudowy - zgodnie z rysunkiem planu.
b) Typ zabudowy  historycznie występującej.
c) Wysokość zabudowy - max. 10,0 m.
d) Dachy strome dwuspadowe o połaciach symetrycznych, o kącie nachylenia 45°, przy zastosowaniu ścianki kolankowej o wysokości od 0,9 do 1,2 m lub ściany do wysokości 1,8m dopuszcza się kąt nachylenia połaci 22°, dopuszcza się inne z zastrzeżeniem lit. b.
e) Ustawienie budynków w stosunku do ulicy (dla budynków mieszkalnych lub usługowych usytuowanych od strony ulicy): główna kalenica równoległa do ulicy, dopuszcza się inne z zastrzeżeniem lit. b.
f) Wielkość pokrycia działki zabudową - max. 40% powierzchni działki.
g) Powierzchnia biologicznie czynna - min. 30% powierzchni działki.
h) Dopuszcza się lokalizację obiektów i sieci infrastruktury technicznej.
Nieruchomość w kształcie praktycznie kwadratu.
Możliwość aranżacji stawu.
MEDIA:
-prąd biegnie przy działce
-wodociąg w ulicy Gdyńskiej, ok. 50 m od działki
-studnia wykopana na działce
Działka druga od asfaltowej ulicy. Jest możliwość odbudowy stawku z wodą. Dojazd bezpośrednio na teren.
Idealna na inwestycje przemysłową, budowę domu z pracownią, warsztatem.
Nieruchomość znajduje się 24km od morza, 900m od jeziora. Szybki dojazd S7 w kierunku działki.
Odległość do Szemudu 7 km, do Chwaszczyna 12 km.
Zapraszam na prezentację.
Pośrednik odpowiedzialny za realizację umowy upr. zaw. Nr 16346. OFERUJEMY POMOC W UDZIELANIU KREDYTÓW. PORÓWNAJ OFERTĘ 26 BANKÓW. ZADZWOŃ ! ! !
Lokalizacja
Kowalewo
pomorskie
Informacje
Powierzchnia: 1593 m2
Numer oferty: EC755816
Ogrodzenie
brak
Kontakt
Biuro Nieruchomości Gruszka
Mariusz Gruszka
698454484

Podobne oferty

 Kowalewo

Działka rolna ponad 2 ha Kowalewo kSzemudu

Kowalewo

Na sprzedaż działka rolna o powierzchni ponad 2 ha (możliwość dokupienia działki 1600 m2 łąki przy lesie) położona w Kowalewie,...

20361 m2
509 025 zł
25 zł/m2
 Kowalewo

Działka uzbrojona gotowa do zabudowy w Kowalewie

Kowalewo

Na sprzedaż działka budowlana o powierzchni 1156 m2 w Kowalewie przy ulicy Daktylowej. Działka ogrodzona z trzech stron, bezpośrednio na...

m2
159 000 zł
 Kowalewo

Działka budowlana gotowa do zabudowy Kowalewo

Kowalewo

Na sprzedaż działka budowlana o powierzchni 1 156 m2 w Kowalewie przy ulicy Daktylowej. Doskonała lokalizacja dla osób uciekających od...

m2
170 000 zł