Działka

Puck

Działka

230 000 zł

Treść ogłoszenia

BURMISTRZ MIASTA PUCK

ogłasza III przetarg ustny nieograniczony

na sprzedaż nieruchomości położonej w Pucku



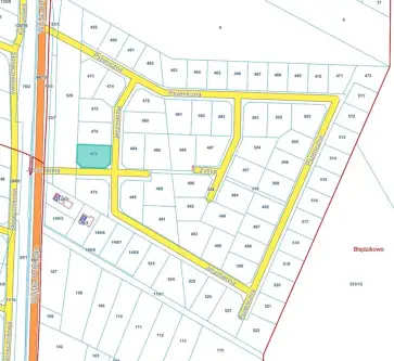
Przedmiotem przetargu jest sprzedaż prawa własności niezabudowanej nieruchomości położonej przy ul. Jęczmiennej w Pucku, składającej się z działki oznaczonej w ewidencji gruntów nr 477 o powierzchni 806 m² (obr.5), użytek: RIIIa.

Dla wyżej wymienionej nieruchomości prowadzona jest przez Sąd Rejonowy w Wejherowie IV Wydział Ksiąg Wieczystych księga wieczysta nr GD2W/00066026/2. Działy III i IV tej księgi są wolne od wpisów dla w/w działki.

Pierwszy przetarg na sprzedaż w/w nieruchomości odbył się dnia 11. 02. 2025 r.

Drugi przetarg na sprzedaż w/w nieruchomości odbył się dnia 16. 06. 2025 r.

Opis nieruchomości: Nieruchomość jest niezabudowana, nieuzbrojona, nieogrodzona, płaska, wolna od zakrzewień i zadrzewień. Dojazd do nieruchomości z drogi asfaltowej ul. Wojska Polskiego, poprzez nieurządzone i nieutwardzone drogi (ul. Pszeniczna, ul. Jęczmienna, ul. Żytnia), których właścicielem jest Gmina Miasta Puck. W drodze dojazdowej (ul. Wojska Polskiego) znajduje się sieć elektroenergetyczna, sieci wodociągowa, sieć kanalizacyjna oraz sieć gazowa. Warunki przyłączeń (w tym odległości i koszty) do poszczególnych sieci infrastruktury należy indywidualnie uzgodnić z właściwym gestorem sieci własnym staraniem i na własny koszt. Warunków geotechnicznych nieruchomości nie badano.



Zgodnie z obowiązującym Miejscowym Planem Zagospodarowania Przestrzennego nieruchomość zlokalizowana jest na obszarze oznaczonym w MPZP (uchwała LXXVIII/4/2023 z 21. 12. 2023 r.): karta terenu nr 2 MNW – teren zabudowy mieszkaniowej jednorodzinnej wolnostojącej.



Cena wywoławcza ww. nieruchomości wynosi: 230.000 zł netto (słownie: dwieście trzydzieści tysięcy złotych 00/100). Cena wywoławcza nieruchomości jest podana w kwocie netto. Ewentualny nabywca zobowiązany jest do zapłaty podatku VAT w przypadku, gdy taki obowiązek wynika z obowiązujących przepisów prawa.



Miejsce przetargu:

Przetarg odbędzie się dnia 09. 10. 2025 r. w Urzędzie Miasta Puck przy ul. 1-go Maja 13 (pok. nr 115, I piętro) o godzinie 13:30.



Inne informacje:

Warunkiem przystąpienia do przetargu jest wniesienie wadium. Wadium w formie gotówkowej, w polskich złotych, w wysokości 46.000 zł należy wpłacić na konto Urzędu Miasta Puck nr 22 1160 2202 0000 0001 6285 3611 Bank Millennium, w nieprzekraczalnym terminie 03. 10. 2025 r. Terminem wniesienia wadium określa się datę, do której środki finansowe muszą wpłynąć na podany wyżej rachunek bankowy Urzędu Miasta Puck. W tytule wpłaty wadium poza wskazaniem nieruchomości będącej przedmiotem niniejszego przetargu, wpłacający powinien wskazać imię i nazwisko osoby fizycznej (osób fizycznych) lub nazwę osoby prawnej będącej uczestnikiem przetargu.

1. W przetargu mogą brać udział osoby, jeżeli wpłacą wadium w terminie i wysokości podanych w ogłoszeniu. Wpłacenie wadium oznacza, że wpłacający zapoznał się ze stanem prawnym i faktycznym przedmiotu przetargu, w tym ze stanem technicznym i funkcjonalnym, i nie wnosi z tego tytułu oraz z tytułu ewentualnych wad ukrytych przedmiotu przetargu żadnych zastrzeżeń oraz uwag, a także, że zapoznał się z uwarunkowaniami zapisanymi w MPZP oraz warunkami przetargu.

2. Dowód wniesienia wadium przez uczestnika przetargu podlega przedłożeniu komisji przetargowej przed otwarciem przetargu.

3. Warunkiem przystąpienia do przetargu jest przedłożenie komisji przetargowej dokumentów takich jak: pełnomocnictwo do reprezentacji (jeżeli uczestnik przetargu nie działa osobiście), ważny dowód osobisty bądź inny ważny dokument potwierdzający tożsamość oraz w przypadku osób prawnych lub osób fizycznych prowadzących działalność gospodarczą dodatkowo: wydruk z KRS, zaświadczenie o wpisie do ewidencji działalności gospodarczej (dla każdego ze wspólników), a także kopii umowy spółki cywilnej w przypadku wspólników spółki cywilnej.

4. O wysokości postąpienia decydują uczestnicy przetargu z tym, że postąpienie nie może wynosić mniej niż 1% ceny wywoławczej z zaokrągleniem w górę do pełnych dziesiątek złotych.

5. Przetarg jest ważny bez względu na liczbę uczestników, jeżeli chociażby jeden uczestnik przetargu zaoferuje co najmniej jedno postąpienie powyżej ceny wywoławczej.

6. Wpłacone wadium, przez uczestnika, który przetarg wygrał, zalicza się na poczet ceny uzyskanej w przetargu, w dniu zapłaty pełnej ceny należności. Pozostałą część ceny nabycia nieruchomości należy wpłacić nie później niż dwa dni przed dniem zawarcia umowy sprzedaży. Terminem wpłaty pozostałej części ceny nabycia nieruchomości określa się datę, do której środki finansowe muszą wpłynąć na wskazany w protokole przetargowym rachunek bankowy.

7. Osoby, które wpłaciły wadium a nie wygrały przetargu otrzymują zwrot wadium, na wskazany przez siebie rachunek bankowy.

8. Burmistrz Miasta Puck zawiadomi osobę ustaloną jako nabywca nieruchomości o miejscu i terminie zawarcia umowy sprzedaży, najpóźniej w ciągu 21 dni od dnia rozstrzygnięcia przetargu. Jeżeli osoba ustalona jako nabywca nieruchomości, nie przystąpi bez usprawiedliwienia do zawarcia umowy sprzedaży w miejscu i w terminie podanych przez Burmistrza Miasta Puck w zawiadomieniu, organizator przetargu może odstąpić od zawarcia umowy, a wpłacone wadium nie podlega zwrotowi. Kancelaria notarialna powinna znajdować się w Pucku.

9. Wszelkie koszty, w tym notarialne i sądowe, związane z zawarciem umowy sprzedaży w formie aktu notarialnego, wyżej opisanej nieruchomości, pokrywa nabywca.

10. Nieruchomość sprzedawana jest na podstawie danych katastralnych zawartych w ewidencji gruntów, a wznowienie i okazanie granic sprzedawanej nieruchomości możliwe jest na koszt i staraniem nabywcy nieruchomości.

11. Cudzoziemiec w rozumieniu przepisów ustawy z dnia 24 marca 1920 r. o nabywaniu nieruchomości przez cudzoziemców (t. j. Dz. U. z 2017 r. poz. 2278) winien w przypadkach przewidzianych niniejszą ustawą, przedstawić komisji przetargowej przed rozpoczęciem przetargu stosowną promesę. Ponadto cudzoziemiec zobowiązany w/w ustawą do uzyskania zezwolenia na nabycie nieruchomości, winien je przedstawić przed podpisaniem umowy przenoszącej własność nieruchomości, pod rygorem utraty wadium.

12. Osoby przystępujące do przetargu zobowiązane są przed otwarciem przetargu do złożenia oświadczeń: o zapoznaniu się z warunkami przetargu; o potwierdzeniu aktualności i ważności złożonych dokumentów; o zapoznaniu się z uwarunkowaniami zapisanymi w MPZP; o zapoznaniu się z pełną treścią ogłoszenia o przetargu oraz ze stanem faktycznym i prawnym przedmiotu przetargu, w tym jego stanem technicznym i funkcjonalnym, i że nie wnoszą z tytułu tego stanu żadnych zastrzeżeń i uwag; o wyrażeniu zgody na przetwarzanie danych osobowych; o otrzymaniu klauzuli informacyjnej dotyczącej przetwarzania danych osobowych; o spełnianiu warunków wynikających z ustawy o nabywaniu nieruchomości przez cudzoziemców.

13. Burmistrz Miasta Puck jest upoważniony do żądania od uczestnika przetargu bądź jego przedstawiciela, danych obejmujących: imię (imiona) i nazwisko, numer PESEL, adres zamieszkania oraz adres do doręczeń, w tym adres elektroniczny. W przypadku osoby nieposiadającej obywatelstwa polskiego zamiast numeru PESEL, Burmistrz Miasta Puck może żądać numeru paszportu lub innego dokumentu tożsamości.

14. W okresie obowiązywania stanu zagrożenia epidemicznego albo stanu epidemii przetarg może być przeprowadzony przy użyciu środków komunikacji elektronicznej o czym Burmistrz Miasta Puck poinformuje zamieszczając informację w Biuletynie Informacji Publicznej (Dz. U. z 2020 r., poz. 1698).

15. W przypadku uzasadnionym Burmistrz Miasta Puck może odstąpić od przetargu, o czym poinformuje publicznie i w tym przypadku wadium podlega zwrotowi na wskazany rachunek bankowy.



Link do mapy: https://mpuck.e-mapa.net/?identifyParcel=221103_1.0005.477

Link do BIP urzędu: https://bip.miastopuck.pl/dokumenty/9451



Ogłoszenie zostało zamieszczone również na stronach internetowych: bip.miastopuck.pl i www.miastopuck.pl . Bliższych informacji o wyżej wymienionej nieruchomości i przetargu można uzyskać w Urzędzie Miasta Puck, ul. 1-go Maja 13 (pok. 101), pod numerem tel. (058) 673-05-22/23/24/21 lub pocztą elektroniczną [Email protected] .



Z up. Burmistrza Miasta

Piotr Ciskowski

Z-ca Burmistrza



Kontakt:
Urząd Miasta Puck
tel: 58 673 05 22
[Email protected]


Ogłoszenie wysłane z programu dla biur nieruchomości ASARI CRM (asaricrm.com)



Lokalizacja
Puck
pomorskie
Informacje
Numer oferty: 42883/3186/OGS
Kontakt
AMK Portal Sp. z o.o.
Urząd Miasta Puck
58 673 05 22

Podobne oferty

 Puck   Nowa

Działka

Puck, Nowa

BURMISTRZ MIASTA PUCK OGŁASZA I PRZETARG USTNY NIEOGRANICZONY na sprzedaż nieruchomości położonej w Pucku Przedmiotem przetargu jest sprzedaż prawa własności...

m2
590 000 zł
 Puck

Działka

Puck

BURMISTRZ MIASTA PUCK ogłasza I przetarg ustny nieograniczony na sprzedaż nieruchomości położonej w Pucku Przedmiotem przetargu jest sprzedaż prawa własności...

m2
210 000 zł
 Puck

Działka

Puck

BURMISTRZ MIASTA PUCK ogłasza I przetarg ustny nieograniczony na sprzedaż nieruchomości położonej w Pucku Przedmiotem przetargu jest sprzedaż prawa własności...

m2
210 000 zł