➡️Woda➡️Prąd➡️Gaz➡️Las➡️Budowlano-Rolna

Wysoka

Działka
1960 m2

260 000 zł

Treść ogłoszenia


|Urokliwa działka budowlano-rolna 20 arów | Wysoka, gm. Wadowice|
Cena: 239 000 zł
Powierzchnia: 1960mkw
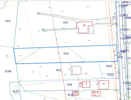
Numer działki: 35/4
Miejscowość: Wysoka, gmina Wadowice, powiat wadowicki
Lokalizacja
Na sprzedaż pięknie położona działka w miejscowości Wysoka, w gminie Wadowice - spokojna, zielona okolica z wygodnym dostępem do wszystkich mediów i bardzo dobrym dojazdem do centrum Wadowic, Kalwarii Zebrzydowskiej czy Andrychowa.
Parametry działki
• Powierzchnia: 1960mkw
• Długość: ok. 115 m
• Szerokość: ok. 18,30 m
• Teren: w części płaski, w drugiej delikatnie nachylony (lekki skos)
• Kształt: prostokątny - idealny pod zabudowę jednorodzinną
Media
Wszystkie media znajdują się na działce:
• prąd
• woda
• gaz
• telekomunikacja 

Przeznaczenie terenu (MPZP)
Zgodnie z miejscowym planem zagospodarowania przestrzennego:
• część budowlana: ok. 12 arów
• część rolna: ok. 8 arów
Działka idealna pod budowę domu jednorodzinnego z dużym ogrodem lub inwestycję.
Atuty nieruchomości
• cicha i spokojna okolica
• bliskość natury - piękne widoki i świeże powietrze
• pełne uzbrojenie w media
• regularny kształt i wygodny dojazd oraz wjazd
• dobra komunikacja z Wadowicami i okolicznymi miejscowościami

Nie zwlekaj — skontaktuj się, aby umówić prezentację i zobaczyć działkę na żywo!

Lokalizacja
Wysoka
małopolskie
Informacje
Powierzchnia: 1960 m2
Numer oferty: 175819
Ogrodzenie
brak
Kontakt
Pozysk Nieruchomości
Adam Brzeziński
791276207