Działka zabudowana

Suwałki , Tadeusza Kościuszki

Działka

790 000 zł

Treść ogłoszenia

Prezydent Miasta Suwałk

ogłasza przetarg ustny nieograniczony

na łączną sprzedaż nieruchomości zabudowanej położonej przy ul. Tadeusza Kościuszki 13

oraz nieruchomości niezabudowanej położonej przy ul. 24 Sierpnia



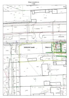
1. Nieruchomość oznaczona działką nr geod. 11429/4 o powierzchni 0,0717 ha, zabudowana wolnostojącym budynkiem mieszkalnym jednorodzinnym, podpiwniczonym z poddaszem nieużytkowym o powierzchni zabudowy 118 m² oraz nieużytkowanym murowanym budynkiem gospodarczym o powierzchni zabudowy 51 m², położona przy ul. Tadeusza Kościuszki 13 w Suwałkach, wchodząca w skład nieruchomości oznaczonej księgą wieczystą nr SU1S/00037193/0 jest własnością Miasta Suwałki. Na działce zlokalizowane są przyłącza wodociągowe, przyłącze kanalizacji sanitarnej, przyłącze telekomunikacyjne oraz sieci elektroenergetyczne średniego i wysokiego napięcia. Nabywca zobowiązany będzie do nieodpłatnego znoszenia tych przyłączy i sieci oraz nieodpłatnego udostępniania wejścia na grunt w przypadku ich awarii bądź konserwacji. Ponadto nabywca będzie zobowiązany do ustanowienia nieodpłatnej służebności przesyłu na czas nieoznaczony na rzecz właściciela przyłącza wodociągowego - Przedsiębiorstwa Wodociągów i Kanalizacji w Suwałkach Spółka z o.o. zgodnie z art. 3051Kodeksu cywilnego, polegającej na znoszeniu istnienia posadowionych na nieruchomości urządzeń przesyłowych w postaci przyłącza wodociągowego oraz na prawie do korzystania z nieruchomości obciążonej w zakresie niezbędnym do dokonywania konserwacji, remontów przyłącza wodociągowego wraz z prawem wejścia i wjazdu na teren odpowiednim sprzętem przez pracowników PWiK w Suwałkach Sp. z o.o. oraz na całej długości i szerokości 2 m od osi przyłącza na działce o nr geod. 11429/4 zabrania się posadowienia budowli w tym lekkich konstrukcji, pylonów reklamowych, wiat śmietnikowych oraz nasadzeń krzewów i drzew. W przypadku kolidowania ww. przyłącza z nową inwestycją, nabywca dokona jego przełożenia na wniosek i koszt własny za zgodą właściciela przyłącza. Zgodnie z miejscowym planem zagospodarowania przestrzennego terenu ograniczonego ulicami Tadeusza Kościuszki, 24 Sierpnia i rzeką Czarną Hańczą w Suwałkach zatwierdzonym Uchwałą Nr LVI/738/2023 Rady Miejskiej w Suwałkach z dnia 26.04.2023 roku, działka nr 11429/4 objęta jest konturem 2MW - teren śródmiejskiej zabudowy mieszkaniowej pierzejowej o cechach zabudowy kamienicowej. Działka objęta jest strefą ochrony konserwatorskiej.

2. Nieruchomość oznaczona działką nr geod. 11428/16 o powierzchni 0,0829 ha, niezabudowana, położona przy ul. 24 Sierpnia w Suwałkach, wchodząca w skład nieruchomości oznaczonej księgą wieczystą nr SU1S/00037197/8 jest własnością Miasta Suwałki. Na działce zlokalizowane jest przyłącze wodociągowe. Nabywca zobowiązany będzie do nieodpłatnego znoszenia tego przyłącza oraz nieodpłatnego udostępniania wejścia na grunt w przypadku jego awarii bądź konserwacji. Ponadto nabywca będzie zobowiązany do ustanowienia nieodpłatnej służebności przesyłu na czas nieoznaczony na rzecz właściciela przyłącza wodociągowego - Przedsiębiorstwa Wodociągów i Kanalizacji w Suwałkach Spółka z o.o. zgodnie z art. 3051 Kodeksu cywilnego, polegającej na znoszeniu istnienia posadowionych na nieruchomości urządzeń przesyłowych w postaci przyłącza wodociągowego oraz na prawie do korzystania z nieruchomości obciążonej w zakresie niezbędnym do dokonywania konserwacji, remontów przyłącza wodociągowego wraz z prawem wejścia i wjazdu na teren odpowiednim sprzętem przez pracowników PWiK w Suwałkach Sp. z o.o. oraz na całej długości i szerokości 2 m od osi przyłącza na działce o nr geod. 11428/16 zabrania się posadowienia budowli w tym lekkich konstrukcji, pylonów reklamowych, wiat śmietnikowych oraz nasadzeń krzewów i drzew. W przypadku kolidowania ww. przyłącza z nową inwestycją, nabywca dokona jego przełożenia na wniosek i koszt własny za zgodą właściciela przyłącza. Zgodnie z miejscowym planem zagospodarowania przestrzennego terenu ograniczonego ulicami Tadeusza Kościuszki, 24 Sierpnia i rzeką Czarną Hańczą w Suwałkach zatwierdzonym Uchwałą Nr LVI/738/2023 Rady Miejskiej w Suwałkach z dnia 26.04.2023 roku, działka nr 11428/16 objęta jest konturem 1MWU - teren śródmiejskiej zabudowy mieszkaniowej pierzejowej o cechach zabudowy kamienicowej, z dopuszczeniem usług. Działka objęta jest strefą ochrony konserwatorskiej.

Nieruchomości przeznaczone są do łącznej sprzedaży w drodze przetargu ustnego nieograniczonego.

Udział procentowy w cenie zabudowanej działki nr 11429/4 wynosi 37,35 % i zgodnie z ustawą z dnia 11 marca 2004 r. o podatku od towarów i usług (t.j. Dz. U. z 2024 r. poz. 361 ze zm.) podlega zwolnieniu od podatku VAT, natomiast pozostały udział procentowy w cenie niezabudowanej działki nr 11428/16 w wysokości 62,65 % zgodnie z ustawą z dnia 11 marca 2004 r. o podatku od towarów i usług podlega opodatkowaniu podatkiem VAT.



Cena wywoławcza: 790 000 zł brutto (słownie: siedemset dziewięćdziesiąt tysięcy złotych).

Wadium: 80 000 zł (słownie: osiemdziesiąt tysięcy złotych).

Przetarg przeprowadzony zostanie na podstawie przepisów ustawy z dnia 21 sierpnia 1997 r. o gospodarce nieruchomościami oraz rozporządzenia Rady Ministrów z dnia 14 września 2004 roku w sprawie sposobu i trybu przeprowadzania przetargów oraz rokowań na zbycie nieruchomości.

Przetarg odbędzie się w dniu 09 maja 2025 roku o godz. 09:00 w siedzibie Urzędu Miejskiego w Suwałkach przy ul. Mickiewicza 1 w sali nr 146.


Warunkiem wzięcia udziału w przetargu jest:

- wpłacenie wadium w podanej wyżej wysokości na rachunek Urzędu Miejskiego w Suwałkach nr 76 1240 5211 1111 0000 4929 8215 Bank Pekao S.A. Oddział w Suwałkach do dnia 06 maja 2025 roku. W tym dniu kwota wadium musi być uznana na rachunku Urzędu. Komisja przetargowa przed otwarciem przetargu stwierdzi wniesienie wadium przez uczestników przetargu;

- złożenie, przed otwarciem przetargu, pisemnego oświadczenia o zapoznaniu się z treścią ogłoszenia o przetargu oraz przedmiotem przetargu;

- w przypadku uczestnictwa w przetargu osoby prawnej – przedłożenie aktualnego wypisu z rejestru, właściwych pełnomocnictw sporządzonych notarialnie, dowodów tożsamości osób reprezentujących podmiot;

- w przypadku uczestnictwa w przetargu osoby fizycznej – osobiste stawiennictwo w dniu przetargu z dowodem tożsamości lub reprezentowanie przez pełnomocnika na podstawie pełnomocnictwa sporządzonego notarialnie;

- w przypadku uczestnictwa w przetargu jednego ze współmałżonków – przedłożenie pisemnej zgody drugiego małżonka na nabycie nieruchomości z podpisem notarialnie poświadczonym. Osoby pozostające w związku małżeńskim, a zamierzające nabyć nieruchomość z majątku odrębnego zobowiązane są złożyć stosowne oświadczenie. Osoby nie pozostające w związku małżeńskim zobowiązane są złożyć komisji przetargowej przed przystąpieniem do przetargu pisemne oświadczenie, iż nie pozostają w związku małżeńskim.

W przypadku uchylenia się nabywcy od zawarcia umowy sprzedaży wadium nie podlega zwrotowi.

Koszty sporządzenia umowy notarialnej ponosi nabywca.

Szczegółowych informacji dotyczących przetargu udziela Wydział Geodezji i Gospodarki Nieruchomościami Urzędu Miejskiego w Suwałkach przy ul. Mickiewicza 1, pokój nr 141; telefon (87) 562-81-41.





Klauzula informacyjna RODO

Zgodnie z art. 13 ust. 1 i 2 rozporządzenia Parlamentu Europejskiego i Rady (UE) 2016/679 z dnia 27 kwietnia 2016 r. w sprawie ochrony osób fizycznych w związku z przetwarzaniem danych osobowych i w sprawie swobodnego przepływu takich danych oraz uchylenia dyrektywy 95/46/WE (ogólne rozporządzenie o ochronie danych) (Dz. Urz. UE L 119 z 04.05.2016, str. 1), dalej „RODO”, informuję, że:

a) Administratorem Pani/Pana danych osobowych jest: Urząd Miejski w Suwałkach, z siedzibą przy ul. Mickiewicza 1, 16-400 Suwałki, 087 – 562 80 00 reprezentowany przez Prezydenta Miasta Suwałk.

b) Inspektorem ochrony danych osobowych w Urzędzie Miejskim w Suwałkach jest Pan Rafał Luto, [Email protected].

c) Pani/Pana dane osobowe przetwarzane będą w celu przeprowadzenia procedury przetargowej związanej ze sprzedażą nieruchomości zgodnie z przepisami ustawy z dnia 21 sierpnia 1997 r. o gospodarce nieruchomościami.

d) Dane nie będą udostępniane podmiotom innym niż uprawnione na podstawie przepisów prawa oraz podmiotom, którym dane zostały powierzone do przetwarzania.

e) Pani/Pana dane osobowe mogą być przekazywane wyłącznie organom władzy publicznej oraz podmiotom wykonującym zadania publiczne lub działającym na zlecenie organów władzy publicznej, w zakresie i w celach, które wynikają z przepisów powszechnie obowiązującego prawa oraz innym podmiotom, które na podstawie stosownych umów podpisanych z administratorem przetwarzają dane osobowe.

f) Dane osobowe będą przechowywane przez okres niezbędny do realizacji zadania, do którego dane zostały zebrane, a następnie przez czas oraz w zakresie wymaganym przez przepisy prawa (ustawa z dnia 14 lipca 1983 r. o narodowym zasobie archiwalnym i archiwach, Dz. U. z 2020 r. poz. 164 t.j.; Rozporządzenie Prezesa Rady Ministrów z dnia 18 stycznia 2011 r. w sprawie instrukcji kancelaryjnej, jednolitych rzeczowych wykazów akt oraz instrukcji w sprawie organizacji i zakresu działania archiwów zakładowych, Dz. U. z 2011 r., Nr 14, poz. 67).

g) Osoba, której dane dotyczą ma prawo dostępu do treści swoich danych, ich sprostowania, ograniczenia przetwarzania. Nie przysługuje prawo do usunięcia, do przenoszenia oraz sprzeciwu wobec przetwarzania danych.

h) Osoba, której dane osobowe są przetwarzane ma prawo wnieść skargę do Prezesa Urzędu Ochrony Danych Osobowych w związku z przetwarzaniem danych.

i) Podanie danych wynika z przepisów ustawy i jest obowiązkowe. Ich niepodanie uniemożliwi udział w postępowaniu przetargowym. Podanie danych w celach kontaktowych jest dobrowolne, służy usprawnieniu komunikacji.

j) Dane nie będą podlegały zautomatyzowanemu podejmowaniu decyzji, w tym profilowaniu.



Kontakt:
Urząd Miasta Suwałki
tel: (87) 562-81-41
[Email protected]


Ogłoszenie wysłane z programu dla biur nieruchomości ASARI CRM (asaricrm.com)



Lokalizacja
Suwałki
podlaskie
Informacje
Numer oferty: 41383/3186/OGS
Kontakt
AMK Portal Sp. z o.o.
Urząd Miasta Suwałki
(87) 562-81-41

Podobne oferty

 Suwałki   Wigierska

Działka

Suwałki, Wigierska

Prezydent Miasta Suwałk ogłasza przetarg ustny nieograniczony na sprzedaż nieruchomości niezabudowanej, stanowiącej własność Miasta Suwałk oznaczonej działkami nr: 11269/14, 11269/15,...

m2
375 000 zł
 Suwałki   Utrata

Działka

Suwałki, Utrata

Prezydent Miasta Suwałk ogłasza piaty przetarg ustny nieograniczony na sprzedaż nieruchomości niezabudowanych, stanowiących własność Miasta Suwałk, oznaczonych: działkami o nr...

m2
400 000 zł
 Suwałki

Działka

Suwałki

Prezydent Miasta Suwałk ogłasza drugi przetarg ustny nieograniczony na sprzedaż następującej nieruchomości stanowiącej własność Miasta Suwałk: 1. Oznaczona działką nr...

m2
201 000 zł