Działka

Suwałki

Działka

182 000 zł

Treść ogłoszenia

Prezydent Miasta Suwałk

ogłasza przetarg ustny nieograniczony

na sprzedaż następujących nieruchomości stanowiących własność Miasta Suwałk:

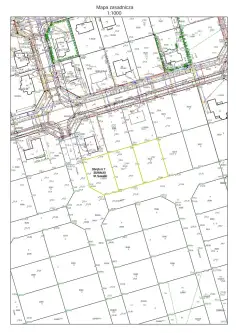
1. Oznaczona działką nr 35373 o powierzchni 0,0775 ha, niezabudowana, położona w Suwałkach w Obrębie nr 7, wchodząca w skład nieruchomości oznaczonej księgą wieczystą nr SU1S/00031671/3. Działka zgodnie z miejscowym planem zagospodarowania przestrzennego południowo - zachodniego rejonu ulicy Zastawie w Suwałkach zatwierdzonym Uchwałą LXVI/871/2024 Rady Miejskiej w Suwałkach z dnia 31.01.2024 roku, objęta jest konturem 12MNW - teren zabudowy mieszkaniowej jednorodzinnej wolnostojącej. Nieruchomość przeznaczona jest do sprzedaży w drodze przetargu ustnego nieograniczonego.

Cena wywoławcza: 182 000 zł brutto (słownie: sto osiemdziesiąt dwa tysiące złotych).

Wadium: 18 200 zł (słownie: osiemnaście tysięcy dwieście złotych).



2. Oznaczona działką nr 35374 o powierzchni 0,0805 ha, niezabudowana, położona w Suwałkach w Obrębie nr 7, wchodząca w skład nieruchomości oznaczonej księgą wieczystą nr SU1S/00031671/3. Działka zgodnie z miejscowym planem zagospodarowania przestrzennego południowo - zachodniego rejonu ulicy Zastawie w Suwałkach zatwierdzonym Uchwałą LXVI/871/2024 Rady Miejskiej w Suwałkach z dnia 31.01.2024 roku, objęta jest konturem 12MNW - teren zabudowy mieszkaniowej jednorodzinnej wolnostojącej. Nieruchomość przeznaczona jest do sprzedaży w drodze przetargu ustnego nieograniczonego.

Cena wywoławcza: 189 000 zł brutto (słownie: sto osiemdziesiąt dziewięć tysięcy złotych).

Wadium: 18 900 zł (słownie: osiemnaście tysięcy dziewięćset złotych).



3. Oznaczona działką nr 35375 o powierzchni 0,0805 ha, niezabudowana, położona w Suwałkach w Obrębie nr 7, wchodząca w skład nieruchomości oznaczonej księgą wieczystą nr SU1S/00031671/3. Działka zgodnie z miejscowym planem zagospodarowania przestrzennego południowo - zachodniego rejonu ulicy Zastawie w Suwałkach zatwierdzonym Uchwałą LXVI/871/2024 Rady Miejskiej w Suwałkach z dnia 31.01.2024 roku, objęta jest konturem 12MNW - teren zabudowy mieszkaniowej jednorodzinnej wolnostojącej. Nieruchomość przeznaczona jest do sprzedaży w drodze przetargu ustnego nieograniczonego.

Cena wywoławcza: 189 000 zł brutto (słownie: sto osiemdziesiąt dziewięć tysięcy złotych).

Wadium: 18 900 zł (słownie: osiemnaście tysięcy dziewięćset złotych).

Przetarg przeprowadzony zostanie na podstawie przepisów ustawy z dnia 21 sierpnia 1997 r. o gospodarce nieruchomościami oraz rozporządzenia Rady Ministrów z dnia 14 września 2004 roku w sprawie sposobu i trybu przeprowadzania przetargów oraz rokowań na zbycie nieruchomości.

Działki będące przedmiotem przetargu objęte są Uchwałą nr VIII/96/2024 Rady Miejskiej w Suwałkach z dnia 27 listopada 2024 roku w sprawie udzielenia bonifikaty od ceny nieruchomości przeznaczonych do sprzedaży w ramach „Działki budowlane dla młodych w Suwałkach” (Dz.Urz.Woj. Podlaskiego z 2024 r. poz. 5437).

Osoba/y, która/e wygra/ją przetarg oraz spełnia/ją następujące warunki:

1) nabywca nieruchomości nie ukończył w dniu sprzedaży nieruchomości 40 lat lub jeżeli nabywcami nieruchomości są małżonkowie, warunek uważa się za spełniony gdy co najmniej jeden z małżonków nie ukończył 40 lat w dniu sprzedaży nieruchomości;

2) zakończenie zabudowy nabywanej nieruchomości budynkiem mieszkalnym nastąpi nie później niż w ciągu 6 lat od dnia zawarcia umowy przeniesienia prawa własności nieruchomości w formie aktu notarialnego;

3) nabywca nieruchomości nie może być właścicielem lub współwłaścicielem w udziale ½ lub większym nieruchomości gruntowej położonej w mieście Suwałki zabudowanej lub niezabudowanej przeznaczonej pod budownictwo mieszkaniowe (jeżeli nabywcami nieruchomości będą małżonkowie, warunek uważa się za spełniony gdy każdy z małżonków nie jest właścicielem lub współwłaścicielem w udziale ½ lub większym nieruchomości gruntowej położonej w mieście Suwałki zabudowanej lub niezabudowanej przeznaczonej pod budownictwo mieszkaniowe);

może/mogą złożyć wniosek o udzielenie bonifikaty na formularzu, który został ustalony Zarządzeniem nr 129/2025 Prezydenta Miasta Suwałk z dnia 07 kwietnia 2025 r. w sprawie ustalenia formularza wniosku o udzielenie bonifikaty w ramach programu „Działki budowlane dla młodych w Suwałkach”.

Przetarg odbędzie się w dniu 21 maja 2025 roku o godz. 0900 w siedzibie Urzędu Miejskiego w Suwałkach przy ul. Mickiewicza 1 w sali nr 26.



Warunkiem wzięcia udziału w przetargu jest:

- wpłacenie wadium w podanej wyżej wysokości na rachunek Urzędu Miejskiego w Suwałkach nr 76 1240 5211 1111 0000 4929 8215 Bank Pekao S.A. Oddział w Suwałkach do dnia 19 maja 2025 roku. W tym dniu kwota wadium musi być uznana na rachunku Urzędu. W tytule przelewu należy podać numer działki, której dotyczy wadium. Komisja przetargowa przed otwarciem przetargu stwierdzi wniesienie wadium przez uczestników przetargu;

- złożenie, przed otwarciem przetargu, pisemnego oświadczenia o zapoznaniu się z treścią ogłoszenia o przetargu oraz przedmiotem przetargu;

- w przypadku uczestnictwa w przetargu osoby prawnej – przedłożenie aktualnego wypisu z rejestru, właściwych pełnomocnictw sporządzonych notarialnie, dowodów tożsamości osób reprezentujących podmiot;

- w przypadku uczestnictwa w przetargu osoby fizycznej – osobiste stawiennictwo w dniu przetargu z dowodem tożsamości lub reprezentowanie przez pełnomocnika na podstawie pełnomocnictwa sporządzonego notarialnie;

- w przypadku uczestnictwa w przetargu jednego ze współmałżonków – przedłożenie pisemnej zgody drugiego małżonka na nabycie nieruchomości z podpisem notarialnie poświadczonym. Osoby pozostające w związku małżeńskim, a zamierzające nabyć nieruchomość z majątku odrębnego zobowiązane są złożyć stosowne oświadczenie. Osoby nie pozostające w związku małżeńskim zobowiązane są złożyć komisji przetargowej przed przystąpieniem do przetargu pisemne oświadczenie, iż nie pozostają w związku małżeńskim.

W przypadku uchylenia się nabywcy od zawarcia umowy sprzedaży wadium nie podlega zwrotowi.

Koszty sporządzenia umowy notarialnej ponosi nabywca.

Szczegółowych informacji dotyczących przetargu udziela Wydział Geodezji i Gospodarki Nieruchomościami Urzędu Miejskiego w Suwałkach przy ul. Mickiewicza 1, pokój nr 141; telefon (87) 562-81-41.





Klauzula informacyjna RODO

Zgodnie z art. 13 ust. 1 i 2 rozporządzenia Parlamentu Europejskiego i Rady (UE) 2016/679 z dnia 27 kwietnia 2016 r. w sprawie ochrony osób fizycznych w związku z przetwarzaniem danych osobowych i w sprawie swobodnego przepływu takich danych oraz uchylenia dyrektywy 95/46/WE (ogólne rozporządzenie o ochronie danych) (Dz. Urz. UE L 119 z 04.05.2016, str. 1), dalej „RODO”, informuję, że:

a) Administratorem Pani/Pana danych osobowych jest: Urząd Miejski w Suwałkach, z siedzibą przy ul. Mickiewicza 1, 16-400 Suwałki, 087 – 562 80 00 reprezentowany przez Prezydenta Miasta Suwałk.

b) Inspektorem ochrony danych osobowych w Urzędzie Miejskim w Suwałkach jest Pan Rafał Luto, [Email protected].

c) Pani/Pana dane osobowe przetwarzane będą w celu przeprowadzenia procedury przetargowej związanej ze sprzedażą nieruchomości zgodnie z przepisami ustawy z dnia 21 sierpnia 1997 r. o gospodarce nieruchomościami.

d) Dane nie będą udostępniane podmiotom innym niż uprawnione na podstawie przepisów prawa oraz podmiotom, którym dane zostały powierzone do przetwarzania.

e) Pani/Pana dane osobowe mogą być przekazywane wyłącznie organom władzy publicznej oraz podmiotom wykonującym zadania publiczne lub działającym na zlecenie organów władzy publicznej, w zakresie i w celach, które wynikają z przepisów powszechnie obowiązującego prawa oraz innym podmiotom, które na podstawie stosownych umów podpisanych z administratorem przetwarzają dane osobowe.

f) Dane osobowe będą przechowywane przez okres niezbędny do realizacji zadania, do którego dane zostały zebrane, a następnie przez czas oraz w zakresie wymaganym przez przepisy prawa (ustawa z dnia 14 lipca 1983 r. o narodowym zasobie archiwalnym i archiwach, Dz. U. z 2020 r. poz. 164 t.j.; Rozporządzenie Prezesa Rady Ministrów z dnia 18 stycznia 2011 r. w sprawie instrukcji kancelaryjnej, jednolitych rzeczowych wykazów akt oraz instrukcji w sprawie organizacji i zakresu działania archiwów zakładowych, Dz. U. z 2011 r., Nr 14, poz. 67).

g) Osoba, której dane dotyczą ma prawo dostępu do treści swoich danych, ich sprostowania, ograniczenia przetwarzania. Nie przysługuje prawo do usunięcia, do przenoszenia oraz sprzeciwu wobec przetwarzania danych.

h) Osoba, której dane osobowe są przetwarzane ma prawo wnieść skargę do Prezesa Urzędu Ochrony Danych Osobowych w związku z przetwarzaniem danych.

i) Podanie danych wynika z przepisów ustawy i jest obowiązkowe. Ich niepodanie uniemożliwi udział w postępowaniu przetargowym. Podanie danych w celach kontaktowych jest dobrowolne, służy usprawnieniu komunikacji.

j) Dane nie będą podlegały zautomatyzowanemu podejmowaniu decyzji, w tym profilowaniu.





Kontakt:
Urząd Miasta Suwałki
tel: (87) 562-81-41
[Email protected]


Ogłoszenie wysłane z programu dla biur nieruchomości ASARI CRM (asaricrm.com)



Lokalizacja
Suwałki
podlaskie
Informacje
Numer oferty: 41705/3186/OGS
Kontakt
AMK Portal Sp. z o.o.
Urząd Miasta Suwałki
(87) 562-81-41

Podobne oferty

 Suwałki   Wigierska

Przetarg - działka na sprzedaż Suwałki

Suwałki, Wigierska

Prezydent Miasta Suwałk ogłasza drugi przetarg ustny nieograniczony na sprzedaż nieruchomości niezabudowanej, stanowiącej własność Miasta Suwałk oznaczonej działkami nr: 11269/14,...

m2
375 000 zł
 Suwałki   Sejneńska

Przetarg - ul. Sejneńska 13

Suwałki, Sejneńska

Nieruchomości zabudowane przeznaczone w mpzp pod śródmiejską zabudowę mieszkaniową wielorodzinną z usługami (ul. Sejneńska 13 w Suwałkach) Informujemy, że został...

m2
4 185 000 zł
 Suwałki   Sejneńska

Przetarg - ul. Sejneńska 13

Suwałki, Sejneńska

Nieruchomości zabudowane przeznaczone w mpzp pod śródmiejską zabudowę mieszkaniową wielorodzinną z usługami (ul. Sejneńska 13 w Suwałkach) Informujemy, że został...

m2
2 700 000 zł