Działka

Kraśnik

Działka

922 500 zł

Treść ogłoszenia

BURMISTRZ MIASTA KRAŚNIK

o g ł a s z a

trzeci ustny przetarg nieograniczony na sprzedaż części niezabudowanej nieruchomości

gruntowej, stanowiącej własność Gminy Miasta Kraśnik, położonej

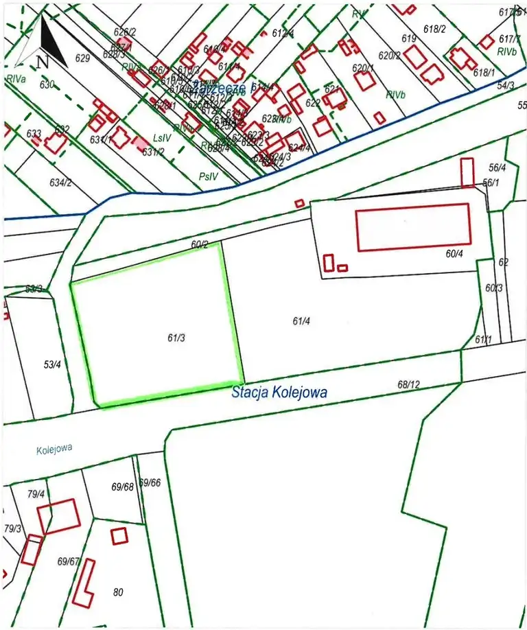
w Kraśniku, obręb Stacja Kolejowa



Przedmiotem przetargu jest sprzedaż części niezabudowanej nieruchomości gruntowej stanowiącej własność Gminy Miasta Kraśnik, położonej w Kraśniku, obręb Stacja Kolejowa w ewidencji gruntów i budynków oznaczonej nr 61/3 o pow. 1,0000 ha, dla której Sąd Rejonowy w Kraśniku V Wydział Ksiąg Wieczystych prowadzi księgę wieczystą nr LU1K/00034033/7.

Nieruchomość położona jest w obrębie ewidencyjnym Stacja Kolejowa na terenach usługowo – przemysłowych o średniej intensywności, w pierwszym rzędzie zabudowy, w pobliżu drogi ekspresowej S-19 Lublin – Rzeszów (przy czym brak wjazdu) w odległości około 1 km od ważnego węzła komunikacyjnego miasta – skrzyżowania trzech głównych ulic (Lubelskiej, Przemysłowej i Kolejowej), stanowiącego równocześnie część drogi krajowej nr 19 relacji Lublin - Rzeszów oraz 1 km od stacji kolejowej. Nieruchomość ma kształt zbliżony do kwadratu, teren płaski, porośnięty samosiejkami drzew i krzewów, z napowietrzną linią elektroenergetyczną przebiegającą przez całą działkę wzdłuż południowej granicy, której dwa słupy usytuowane są na jej obszarze. Od strony północnej tereny niezagospodarowane rozciągające się wzdłuż ul. Kalinowej od strony wschodniej – tereny inwestycyjne niezagospodarowane, porośnięte samosiejkami drzew i krzewów od strony południowej – ul. Kolejowa, od strony zachodniej urządzona droga gminna ul. Zakrzowiecka. Dojazd do nieruchomości z ul. Kolejowej lub ul. Zakrzowieckiej - aktualnie brak urządzonego zjazdu. Infrastruktura: linia elektroenergetyczna, gazowa, wodociągowa i kanalizacji sanitarnej przebiegają po działce natomiast linia teletechniczna przebiega w ul. Kolejowej. Zgodnie z oświadczeniem PGE Dystrybucja istnieje możliwość dostawy energii elektrycznej dla przedmiotowego obiektu (moc przyłączeniowa 1000 kW).



- cena wywoławcza nieruchomości - 922 500,00 zł brutto

- wysokość wadium - 92 250,00 zł

- wysokość postąpienia nie mniej niż - 9 225,00 zł



Przetarg odbędzie się w dnia 16.12.2025 r. o godz. 11:00 w Urzędzie Miasta Kraśnik przy ul. Lubelskiej 84, III piętro pokój nr 316 (sala konferencyjna).



1. Sprzedaż nieruchomości na dzień ogłoszenia przetargu objęte jest podatkiem VAT stawka 23%.

2. W dziale III księgi wieczystej nr LU1K/00034033/7 wpisane są ograniczone prawa rzeczowe na rzecz PGE Dystrybucja S.A. oraz FIBEE Sp. z o.o.

3. Nieruchomość nie jest przedmiotem żadnych zobowiązań.

4. Brak ustaleń miejscowego planu dla przedmiotowego terenu.

5. W studium uwarunkowań i kierunków zagospodarowania przestrzennego miasta Kraśnik działka przeznaczona jest pod tereny przemysłu, rzemiosła, składów i baz.

6. Warunkiem przystąpienia do przetargu jest wpłacenie wadium w pieniądzu w ustalonej wyżej wysokości najpóźniej do dnia 09.12.2025 r.

7. Wadium powinno być wpłacone przelewem na konto Urzędu Miasta Kraśnik Nr 46 1240 5497 1111 0010 4019 7424 z adnotacją „Przetarg na sprzedaż nieruchomości nr 61/3, obręb Stacja Kolejowa”. Za zachowanie terminu wniesienia wadium uważa się datę uznania rachunku bankowego Gminy Miasta Kraśnik.

8. Komisja przetargowa nie później niż 3 dni przed przetargiem, stwierdza w formie protokołu, wniesienie wadium przez uczestników przetargu.

9. Uczestnik przetargu musi okazać się dowodem osobistym lub innym dokumentem potwierdzającym tożsamość.

10. Uczestnik przetargu, który spóźni się na otwarcie przetargu, nie zostanie dopuszczony do licytacji.

11. W przetargu mogą brać udział osoby fizyczne i osoby prawne. Cudzoziemiec winien posiadać pisemną zgodę Ministra Spraw Wewnętrznych i Administracji na nabycie przedmiotowej nieruchomości.

12. Osoba reprezentująca w przetargu osobę prawną winna się okazać stosownymi pełnomocnictwami w formie aktu notarialnego (oryginał lub kopia poświadczona za zgodność z oryginałem).

13. Osoba fizyczna (będąca w związku małżeńskim) chcąca uczestniczyć w przetargu winna przedstawić komisji przetargowej zgodę współmałżonka (w formie oświadczenia) na wzięcie udziału w przetargu. W przypadku rozdzielności majątkowej należy okazać odpowiedni dokument.

14. Osoba, która w wyniku przetargu zostanie ustalona kandydatem na nabywcę nieruchomości, przy zawarciu notarialnej umowy sprzedaży zobowiązana jest przedłożyć w formie aktu notarialnego pisemną zgodę współmałżonka na zawarcie umowy sprzedaży na warunkach ustalonych w przetargu. Wymóg ten nie obowiązuje, jeżeli oboje małżonkowie przystąpią do podpisania umowy notarialnej.

15. W przetargu nie mogą uczestniczyć osoby wchodzące w skład komisji przetargowej oraz osoby bliskie tym osobom, a także osoby, które pozostają z członkami komisji przetargowej w takim stosunku prawnym lub faktycznym, iż może to budzić uzasadnione wątpliwości co do bezstronności komisji przetargowej.

16. O wysokości postąpienia decydują uczestnicy przetargu, z tym że postąpienie nie może wynosić mniej niż 1 % ceny wywoławczej z zaokrągleniem w górę do pełnych dziesiątek złotych.

17. Uczestnicy przetargu zgłaszają ustnie kolejne postąpienia ceny, dopóki mimo trzykrotnego wywołania nie ma dalszych postąpień.

18. Po trzecim wywołaniu najwyższej zaoferowanej ceny dalsze postąpienia nie zostaną przyjęte.

19. Po ustaniu zgłaszania postąpień przewodnicząca komisji przetargowej wywoła trzykrotnie ostatnią najwyżej zaoferowaną cenę i zamknie przetarg a następnie ogłosi imię i nazwisko albo nazwę lub firmę osoby, która przetarg wygrała.

20. Przetarg jest ważny bez względu na liczbę uczestników, jeżeli chociaż jeden uczestnik zaoferował, co najmniej jedno postąpienie powyżej ceny wywoławczej.

21. Wadium wpłacone przez uczestnika przetargu, który przetarg wygrał, zalicza się na poczet ceny nabycia nieruchomości, pozostałe wadia podlegają zwrotowi jednak nie później niż w ciągu 3 dni od dnia odwołania, zamknięcia lub unieważnienia przetargu.

22. Z przeprowadzonego przetargu sporządza się protokół w 3 jednobrzmiących egzemplarzach, z których jeden otrzymuje nabywca, jeden przekazany zostanie do notariusza jako podstawa do sporządzenia aktu notarialnego, jeden natomiast pozostaje w aktach sprawy.

23. Protokół z przeprowadzonego przetargu podpisują przewodnicząca i członkowie komisji przetargowej oraz osoba wyłoniona w przetargu jako nabywca nieruchomości.

24. Komisja przetargowa przedstawi Burmistrzowi Miasta protokół z przetargu wraz z jego rozstrzygnięciem.

25. Burmistrz Miasta Kraśnik jest obowiązany zawiadomić nabywcę o miejscu i terminie zawarcia umowy notarialnej sprzedaży działki najpóźniej w terminie 21 dni od daty rozstrzygnięcia przetargu.

26. Nabywca jest zobowiązany zapłacić cenę nabycia przed zawarciem notarialnej umowy sprzedaży. Cała kwota powinna być na koncie w dniu podpisania umowy notarialnej.

27. Uczestnik przetargu przedłoży Komisji przetargowej oświadczenie, iż zapoznał się ze stanem faktycznym i prawnym nieruchomości.

28. Wszystkie koszty sporządzenia umowy w formie aktu notarialnego, opłaty sądowe obciążają nabywcę.

29. Jeżeli podmiot ustalony jako nabywca nie stawi się bez usprawiedliwienia w oznaczonym terminie w kancelarii notarialnej, Burmistrz Miasta Kraśnik może odstąpić od zawarcia umowy notarialnej, a wpłacone wadium nie podlega zwrotowi.

30. Burmistrz Miasta Kraśnik może z uzasadnionej przyczyny odwołać ogłoszony przetarg, informując o tym niezwłocznie w formie właściwej dla ogłoszenia przetargu.

31. Uczestnik przetargu może, w terminie 7 dni od dnia ogłoszenia wyniku przetargu ustnego zaskarżyć czynności związane z przeprowadzonym przetargiem do Burmistrza Miasta Kraśnik za pośrednictwem komisji przetargowej.

32. Pierwszy przetarg na sprzedaż niezabudowanej nieruchomości gruntowej, odbył się w dniu 12.05.2025 roku i zakończył się wynikiem negatywnym natomiast drugi odbył się w dniu 04.09.2025 r. i zakończył się także wynikiem negatywnym.

33. W sprawach nieunormowanych niniejszym ogłoszeniem mają zastosowanie przepisy rozporządzenia Rady Ministrów z dnia 14 września 2004 roku w sprawie sposobu i trybu przeprowadzania przetargów oraz rokowań na zbycie nieruchomości (tekst jednolity: Dz. U. z 2021 roku poz. 2213).

34. Informacja o przeznaczeniu nieruchomości do sprzedaży: wykaz nieruchomości zamieszczono na tablicy ogłoszeń Urzędu Miasta Kraśnik w dniach od 14.01.2025 roku do 04.02.2025 roku oraz na stronach internetowych Urzędu Miasta, BIP. Ponadto informację o wywieszeniu wykazu zamieszczono na stronie www.monitorurzedowy.pl wydanie nr 14/2025 z dnia 14.01.2025 r. Przesłano także do Kraśnickiego Przedsiębiorstwa Mieszkaniowego Sp. z o. o. – zarządcy nieruchomości komunalnych, jak również do siedziby Starostwa Powiatowego w Kraśniku.

35. Ogłoszenie o przetargu jest zamieszczane na tablicach ogłoszeń: w siedzibie Urzędu Miasta Kraśnik 23-200 Kraśnik ul. Lubelska 84, Kraśnickiego Przedsiębiorstwa Mieszkaniowego w Kraśniku 23-200 Kraśnik ul. Lubelska 75A oraz Starostwa Powiatowego w Kraśniku 23-204 Kraśnik, Al. Niepodległości 20, a także na stronie Biuletynu Informacji Publicznej Miasta Kraśnik, www.krasnik.eu, oraz www.monitorurzedowy.pl.

36. Możliwe jest okazanie nieruchomości przez Sprzedającego osobom zainteresowanym, po wcześniejszym umówieniu terminu oględzin.

37. W związku z wejściem w życie w dniu 25 maja 2018 r. Rozporządzenia Parlamentu Europejskiego i Rady (UE) 2016/679 z dnia 27 kwietnia 2016 r. w sprawie ochrony osób fizycznych w związku z przetwarzaniem danych osobowych i w sprawie swobodnego przepływu takich danych oraz uchylenia dyrektywy 95/46/WE ogólne rozporządzenie o ochronie danych, (RODO) zgodnie z art. 13 ust. 1 i ust 2 oraz art. 6 ust. 1 lit. b, c i e RODO w załączeniu klauzula informacyjna o przetwarzaniu danych osobowych.

38. Szczegółowe informacje dotyczące przetargu, uzyskać można w siedzibie Urzędu Miasta Kraśnik, 23-200 Kraśnik ul. Lubelska 84, II piętro pokój nr 207, tel. 81 825-15-52 w godzinach pracy urzędu oraz na stronie www.krasnik.eu.





W załączeniu:

1. Zaświadczenie o przeznaczeniu nieruchomości w studium uwarunkowań i kierunków zagospodarowania przestrzennego miasta Kraśnik.

2. Mapa terenu.

3. Klauzula informacyjna o przetwarzaniu danych osobowych.

4. Oświadczenie dotyczące nieruchomości.



Kontakt:
Urząd Miasta Kraśnik
tel: 81 825-15-52
[Email protected]


Ogłoszenie wysłane z programu dla biur nieruchomości ASARI CRM (asaricrm.com)



Lokalizacja
Kraśnik
lubelskie
Informacje
Numer oferty: 43154/3186/OGS
Kontakt
AMK Portal Sp. z o.o.
Urząd Miasta Kraśnik
81 825-15-52

Podobne oferty

 Kraśnik

Działka

Kraśnik

BURMISTRZ MIASTA KRAŚNIK o g ł a s z a pierwszy ustny przetarg nieograniczony na sprzedaż części niezabudowanej nieruchomości gruntowej,...

m2
219 678 zł
 Kraśnik

Działka

Kraśnik

BURMISTRZ MIASTA KRAŚNIK o g ł a s z a pierwszy ustny przetarg nieograniczony na sprzedaż części niezabudowanej nieruchomości gruntowej,...

m2
1 845 000 zł
 Kraśnik

Działka

Kraśnik

Na sprzedaż działka o powierzchni 1419 m², położona w Kraśniku (woj. lubelskie), przy ul. Przemysłowej, w odległości zaledwie 1,5 km...

m2
215 000 zł