⭐Widokowa⭐Droga dojazdowa⭐Prad⭐Woda⭐Gaz⭐3 działki⭐

Lubomierz

Działka
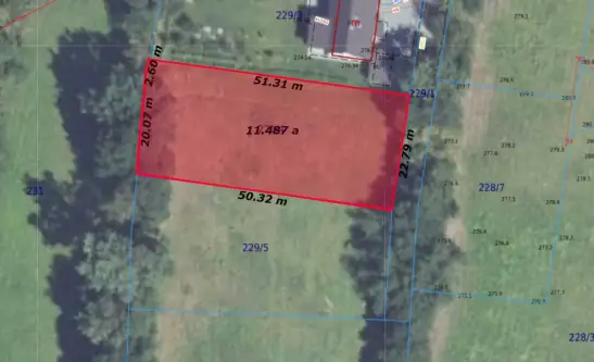
1148 m2

115 000 zł

Treść ogłoszenia

Działka budowlana z pięknym widokiem - Lubomierz, gmina Łapanów

Na sprzedaż oferuję atrakcyjną działkę budowlaną nr 229/4 o powierzchni 11,48 ar, zlokalizowaną w malowniczej miejscowości Lubomierz (32-740), gmina Łapanów, powiat bocheński.

Cena: 115 000 zł

Atuty działki:

Przeznaczenie w MPZP: tereny oznaczone symbolem MN, co umożliwia zabudowę jednorodzinną.
Media: gaz w drodze, prąd i woda na sąsiedniej działce - łatwość podłączenia.
Dojazd: zapewniony poprzez prywatną drogę z udziałami.
Ukształtowanie: działka skośna, widokowa, z panoramą na okoliczne tereny zielone.
Otoczenie: nowe budownictwo jednorodzinne w sąsiedztwie, a także piękne lasy, które zapewniają prywatność i bezpośredni kontakt z naturą.

Okolica i lokalizacja:

Lubomierz to spokojna, urokliwa miejscowość w gminie Łapanów. Z jednej strony gwarantuje ciszę i możliwość życia blisko natury, z drugiej - oferuje dobry dojazd do większych miast:

Łapanów - 5 min,
Bochnia - ok. 25 min,
Myślenice - ok. 25 min,
Kraków - ok. 40 min.

W okolicy znajdują się szkoły, sklepy, punkty usługowe, a także liczne tereny spacerowe i rekreacyjne. To świetne miejsce zarówno dla rodzin z dziećmi, jak i osób poszukujących spokojnej przestrzeni do życia lub wypoczynku.

Dodatkowa oferta:

Oprócz działki nr 229/4 istnieje możliwość zakupu także dwóch działek sąsiednich: 229/2 oraz 229/5. To doskonała propozycja dla osób planujących większą inwestycję, budowę kilku domów lub zakup gruntu razem z bliskimi.

Jeśli marzysz o własnym domu w spokojnej, zielonej okolicy, z pięknym widokiem i dobrym dojazdem do miasta - ta oferta jest dla Ciebie.

Zapraszam do kontaktu !
Lokalizacja
Lubomierz
małopolskie
Informacje
Powierzchnia: 1148 m2
Numer oferty: 377569
Ogrodzenie
brak
Kontakt
Pozysk Nieruchomości
Adam Brzeziński
791276207