Działka

Elbląg , Eugeniusza Kwiatkowskiego

Działka

2 550 000 zł

Treść ogłoszenia

PREZYDENT MIASTA ELBLĄG

ogłasza pierwszy ustny przetarg nieograniczony na sprzedaż nieruchomości,

stanowiącej własność Gminy Miasto Elbląg

(strona internetowa – http://www.umelblag.pl BIP - https://elblag.eu)

(tel. kontaktowy 55-239-31-41, 55-239-34-51)



1. Lokalizacja: Elbląg, ul. Eugeniusza Kwiatkowskiego.

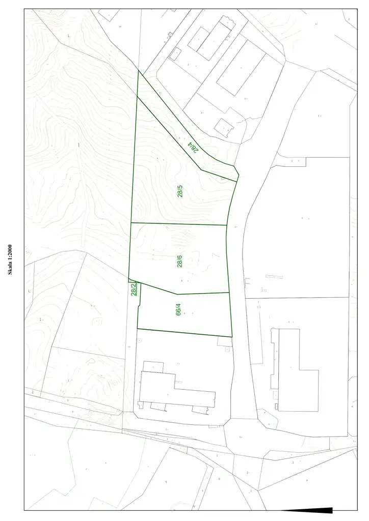
2. Opis nieruchomości: nieruchomość niezabudowana, stanowiąca zwarty kompleks o pow. 5,2231 ha, położona na terenie Modrzewiny Południe, w bezpośrednim sąsiedztwie zabudowy przemysłowej, usługowej i magazynowej oraz przeznaczonych pod inwestycje terenów techniczno-przemysłowych. Nieruchomość południową granicą przylega do pasa drogowego ul. Eugeniusza Kwiatkowskiego.

3. Oznaczenie nieruchomości wg danych z ewidencji gruntów i budynków: obr. 2, działka nr 28/2 o pow. 0,0053 ha, działka nr 28/4 o pow. 0,5517 ha, działka nr 28/5 o pow. 2,0000 ha, działka nr 28/6 o pow. 1,6769 ha oraz działka nr 66/4 o pow. 0,9892 ha, dla których Sąd Rejonowy w Elblągu prowadzi księgę wieczystą nr EL1E/00058630/9.

4. Przeznaczenie nieruchomości w miejscowym planie zagospodarowania przestrzennego: zgodnie z uchwałą Nr XXXII/664/2017 z dnia 28.12.2017 r. Rady Miejskiej w Elblągu w sprawie miejscowego planu zagospodarowania przestrzennego obszaru Modrzewiny Południe w Elblągu (Dz. Urz. Woj. Warm.-Maz poz. 625), nieruchomość położona jest na terenie „1PU” – tereny obiektów produkcyjnych, składów i magazynów i/lub zabudowy usługowej. Ze szczegółowymi ustaleniami powyższego planu można zapoznać się na stronie https://bip.elblag.eu/artykul/313/3645/122-mpzp-obszaru-modrzewiny-poludnie-w-elblagu.

4.1. Zasady ochrony środowiska, przyrody i krajobrazu:

a) wszelka działalność nie może być uciążliwa dla środowiska,

b) wszelka emisja zanieczyszczeń do środowiska musi zawierać się w granicach terenu,

c) na terenie ustala się zakaz zmiany stosunków gruntowo-wodnych, mogących pogorszyć warunki siedliskowe występujące w pobliskich terenach lasów i zieleni naturalnej,

d) dla zapewnienia stabilizacji podłoża, należy zachowywać istniejące skarpy poprzez wprowadzenie zieleni ochraniającej zbocza i wierzch skarp,

e) w granicach terenów jednostki 1PU stwierdzono występowanie gatunków awifauny, herpetofauny i flory, objętych ochroną prawną na podstawie przepisów odrębnych.

4.2. Zasady ochrony dziedzictwa kulturowego i zabytków, w tym krajobrazów kulturowych oraz dóbr kultury współczesnej: zgodnie z Archeologicznym Zdjęciem Polski nr 15-51, na południowej części nr 28/6 znajduje się strefa ochrony konserwatorskiej stanowisk archeologicznych. Postępowanie w obrębie tej strefy regulują przepisy odrębne.

4.3. Zasady obsługi komunikacyjnej terenu 1PU: dojazd do nieruchomości z ul. Eugeniusza Kwiatkowskiego (działka nr 32/7), oznaczonej na rysunku planu symbolem 3KDZ1/2 i z ul. Stanisława Sulimy (działki nr 835/9 i 866 w obr. 27), oznaczonej na rysunku planu symbolem 6 KDL1/2 oraz z nowoprojektowanej ulicy (działki nr 31/8 i 26/1), oznaczonej na rysunku planu symbolem 5 KDL 1/2.

5. Skomunikowanie z drogami publicznymi: Biorąc pod uwagę położenie nieruchomości w bezpośrednim sąsiedztwie ul. Eugeniusza Kwiatkowskiego, jego skomunikowanie powinno odbyć się poprzez istniejące skrzyżowanie oraz przez działkę nr 32/6 obręb 2. Zjazd z działki drogowej nr 32/6, na obszar podlegający zbyciu, powinien być zlokalizowany możliwie jak najdalej od skrzyżowania z ul. Eugeniusza Kwiatkowskiego.

Potencjalny Nabywca nieruchomości będzie zobowiązany do: opracowania dokumentacji projektowej budowy odcinka ulicy w działce nr 32/6 wraz z ciągiem pieszym i zjazdem, uzgodnienia go z zarządcą drogi (Departament Zarząd Dróg Urzędu Miejskiego w Elblągu) oraz uzyskania pozwolenia na budowę. Po uzyskania wszystkich dokumentów formalnych, Inwestor powinien własnym staraniem i na swój koszt, zrealizować budowę przedmiotowej drogi wraz ze zjazdem na teren nieruchomości.

6. Badania geotechniczne: na zlecenie Gminy Miasto Elbląg zostały opracowane we wrześniu 2013 r. opinie geotechniczne dla przedmiotowej nieruchomości. Z opracowaniami można zapoznać się w pokoju nr 207 Urzędu Miejskiego w Elblągu (ul. Łączności 1, II piętro, tel. 55 239 33 17).

7. Uzbrojenie: nieruchomość położona jest na obszarze uzbrojonym w media komunalne.

Szczegółowe warunki techniczne włączenia do sieci technicznego uzbrojenia terenu, Nabywca zobowiązany będzie uzyskać bezpośrednio u gestorów poszczególnych sieci, staraniem własnym i na własny koszt. Zasilenie obiektów w media, odbędzie się staraniem i na koszt Nabywcy, na warunkach wskazanych przez dysponentów mediów.

Zgodnie z art. 33 ust. 2 ustawy z dnia 7 lipca 1994 r. – Prawo Budowlane, Nabywca zobowiązany będzie uzyskać stosowne uzgodnienia i oświadczania, w tym oświadczenie projektanta o istnieniu lub braku możliwości przyłączenia do miejskiej sieci ciepłowniczej, o ile nie będzie korzystał z odnawialnych źródeł ciepła. Oznacza to, że każdy Inwestor zamierzający wznieść nowy budynek, z uwzględnieniem wyjątków ustawowych, musi przed złożeniem wniosku o pozwolenie na budowę, uzyskać od przedsiębiorstwa ciepłowniczego, warunki przyłączenia do sieci ciepłowniczej. Brak takiego oświadczenia przedłożonego do wniosku o wydanie pozwolenia na budowę, potwierdzonego wydanymi warunkami przyłączenia, stanowić będzie brak formalny, uzasadniający pozostawienie bez rozpoznania wniosku o udzielenie pozwolenia na budowę.

Informacje dotyczące istniejących sieci uzbrojenia dostępne są w Departamencie Gospodarki Nieruchomościami i Geodezji Urzędu Miejskiego w Elblągu (Miejski Ośrodek Dokumentacji Geodezyjnej i Kartograficznej, Al. Tysiąclecia 11A, pok. 12, tel. 55 237-47-11 do 55 237-47-14).

8. Cena wywoławcza nieruchomości: 2.550.000 zł (słownie złotych: dwa miliony pięćset pięćdziesiąt tysięcy), plus podatek od towarów i usług (VAT), zgodnie z obowiązującymi przepisami. Wylicytowaną cenę sprzedaży nieruchomości, wraz z należnym VAT, należy wpłacić na konto Urzędu Miejskiego w Elblągu, które wskazane zostanie w protokole z przetargu, przed zawarciem umowy sprzedaży.

9. Warunki udziału w przetargu: w przetargu mogą uczestniczyć osoby, które wpłacą wadium, złożą oświadczenie, że znany jest im stan prawny i stan zagospodarowania nieruchomości, stanowiących przedmiot przetargu oraz oświadczenie o zapoznaniu się z warunkami i przedmiotem przetargu oraz o przyjęciu ich bez zastrzeżeń.

10. Termin i miejsce przeprowadzenia przetargu: przetarg odbędzie się w dniu 15 grudnia 2025 r., o godz. 10:00, w sali nr 300 Urzędu Miejskiego w Elblągu, przy ul. Łączności 1.

11. Termin, miejsce wpłaty oraz wysokość wadium: wadium w wysokości 450.000 zł (słownie złotych: czterysta pięćdziesiąt tysięcy), należy wpłacić na rachunek bankowy w banku Millennium S.A. z siedzibą w Warszawie nr 02 1160 2202 0000 0006 2123 0769, w terminie do dnia 8 grudnia 2025 r. Za termin wniesienia wadium uznaje się datę zaksięgowania środków na rachunku Gminy Miasto Elbląg.

Wadium wpłacone przez uczestnika przetargu, który ustalony zostanie jako Nabywca, zaliczone zostanie na poczet ceny nabycia nieruchomości. Pozostałym uczestnikom przetargu, wadium zostanie zwrócone, niezwłocznie po zamknięciu przetargu, jednak nie później niż przed upływem 3 dni.

12. Wysokość postąpienia: o wysokości postąpienia decydują uczestnicy przetargu, z tym że postąpienie nie może wynosić mniej niż 1 % ceny wywoławczej, z zaokrągleniem do pełnych dziesiątek złotych w górę i wynosi minimum 25.500 zł.

13. Skutki uchylenia się od zawarcia umowy sprzedaży: jeżeli uczestnik przetargu ustalony jako Nabywca, uchyli się od podpisania umowy sprzedaży w formie aktu notarialnego, wpłacone wadium ulegnie przepadkowi na rzecz Gminy Miasto Elbląg.

14. Warunki nabycia nieruchomości:

a) Nieruchomość objęta przetargiem stanowi własność Gminy Miasto Elbląg i nie jest obciążona żadnymi prawami i długami wobec osób trzecich, za wyjątkiem praw wynikających z przebiegu sieci infrastruktury technicznej uzbrojenia terenu i przyłączy do tych sieci oraz służebności szczegółowo opisanych w pkt 14 ppkt b.

b) W dziale III (Prawa, Roszczenia i Ograniczenia) księgi wieczystej EL1E/00058630/9, prowadzonej m.in. dla przedmiotowej nieruchomości, widnieją następujące wpisy dot. ograniczonych praw rzeczowych:

- nieograniczona w czasie służebność przesyłu, ograniczająca jej wykonywanie do działek nr 63 i 64, na rzecz Elbląskiego Przedsiębiorstwa Energetyki Cieplnej Sp. z o.o. (nr podstawy wpisu – 124, 234, 237, 247), która nie jest wykonywana na nieruchomości przeznaczonej do sprzedaży;

- nieograniczona w czasie służebność przesyłu, ograniczająca jej wykonywanie do działek nr 57, 64, 62/4, 37/2 i 71, na rzecz ENERGA-OPERATOR Spółka Akcyjna (nr podstawy wpisu – 177, 234, 237, 247), która nie jest wykonywana na nieruchomości przeznaczonej do sprzedaży;

- nieograniczona w czasie służebność przesyłu, ograniczająca jej wykonywanie do działki nr 51/6, na rzecz ENERGA-OPERATOR Spółka Akcyjna (nr podstawy wpisu – 206, 234, 237, 247), która nie jest wykonywana na nieruchomości przeznaczonej do sprzedaży;

- nieograniczona w czasie służebność gruntowa, ograniczająca jej wykonywanie do działki nr 49/4, na rzecz każdoczesnego właściciela nieruchomości stanowiącej prawo własności działki nr 49/3 (nr podstawy wpisu – 227, 234, 237, 247), która nie jest wykonywana na nieruchomości przeznaczonej do sprzedaży;

- nieograniczona w czasie służebność przesyłu, ograniczająca jej wykonanie do działek nr 63 i 71, na rzecz ENERGA-OPERATOR Spółka Akcyjna (nr podstawy wpisu – 231, 234, 237, 247), która nie jest wykonywana na nieruchomości przeznaczonej do sprzedaży;

- nieograniczona w czasie służebność przesyłu, ograniczająca jej wykonanie do działki nr 32/6, na rzecz ENERGA-OPERATOR Spółka Akcyjna (nr podstawy wpisu – 238, 247), która nie jest wykonywana na nieruchomości przeznaczonej do sprzedaży;

- nieograniczona w czasie służebność przesyłu, ograniczająca jej wykonanie do działki nr 51/7, na rzecz ENERGA-OPERATOR Spółka Akcyjna (nr podstawy wpisu – 239, 247, 255), która nie jest wykonywana na nieruchomości przeznaczonej do sprzedaży;

- nieograniczona w czasie służebność gruntowa, ograniczająca jej wykonywanie do działki nr 64, na rzecz każdoczesnego właściciela działek nr 29/2 i 843 (nr podstawy wpisu – 240, 247), która nie jest wykonywana na nieruchomości przeznaczonej do sprzedaży;

- nieograniczona w czasie służebność przesyłu, ograniczająca jej wykonywanie do działki nr 51/7, na rzecz MSI Telekom Sp. z o.o. Sp. k. (nr podstawy wpisu – 241, 247, 255), która nie jest wykonywana na nieruchomości przeznaczonej do sprzedaży;

- nieograniczona w czasie służebność przesyłu, ograniczająca jej wykonanie do działek nr 64 i 32/6, na rzecz ENERGA-OPERATOR Spółka Akcyjna (nr podstawy wpisu – 242, 247), która nie jest wykonywana na nieruchomości przeznaczonej do sprzedaży;

- nieograniczona w czasie służebność przesyłu, ograniczająca jej wykonanie do działki nr 51/8, na rzecz ENERGA-OPERATOR Spółka Akcyjna (nr podstawy wpisu – 248), która nie jest wykonywana na nieruchomości przeznaczonej do sprzedaży;

- nieograniczona w czasie służebność przesyłu, ograniczająca jej wykonanie do działki nr 51/6, na rzecz ENERGA-OPERATOR Spółka Akcyjna (nr podstawy wpisu – 249), która nie jest wykonywana na nieruchomości przeznaczonej do sprzedaży.

c) Gmina Miasto Elbląg nie ponosi odpowiedzialności za wady ukryte nieruchomości oraz za złożone warunki geotechniczne gruntu.

d) Część nieruchomości, stanowiącej przedmiot przetargu, położona jest na obszarze Warmińsko-Mazurskiej Specjalnej Strefy Ekonomicznej w Elblągu. Zgodnie z art. 8 ust. 2 ustawy z dnia 20 października 1994 r. o specjalnych strefach ekonomicznych, Warmińsko-Mazurskiej Specjalnej Strefie Ekonomicznej S.A., jako podmiotowi zarządzającemu, przysługuje prawo pierwokupu w stosunku do działki nr 66/4. Z Nabywcą nieruchomości zostanie zawarta warunkowa umowa sprzedaży w tym zakresie. Umowa przeniesienia własności nieruchomości zostanie z Nabywcą zawarta, jeśli podmiot uprawniony nie wykona przysługującemu mu prawa pierwokupu.

e) Nabywca nieruchomości zobowiązany będzie do rozpoczęcia zabudowy w terminie do dnia 31 grudnia 2029 r. i zakończenia zabudowy nieruchomości, zgodnie z jej przeznaczeniem, w terminie do dnia 31 grudnia 2031 r. Za rozpoczęcie zabudowy uważa się wybudowanie fundamentów, a za zakończenie zabudowy uzyskanie pozwolenia na użytkowanie.

f) Nabywca nieruchomości zobowiązany będzie do złożenia oświadczenia:

- że w przypadku niedotrzymania terminu rozpoczęcia zabudowy, określonego w pkt 14 ppkt e), zobowiąże się do zapłaty na rzecz Gminy Miasto Elbląg kar umownych w wysokości po 250.000 zł (słownie złotych: dwieście pięćdziesiąt tysięcy), za każdy rozpoczęty rok zwłoki, płatnych począwszy od 2030 roku;

- że w przypadku niedotrzymania terminu zakończenia zabudowy nieruchomości, określonego w pkt 14 ppkt e), zobowiąże się do zapłaty na rzecz Gminy Miasto Elbląg kar umownych w wysokości po 250.000 zł (słownie złotych: dwieście pięćdziesiąt tysięcy), za każdy rozpoczęty rok zwłoki, płatnych począwszy od 2032 roku;

- iż dobrowolnie podda się rygorowi egzekucji do kwoty 3.000.000 zł (słownie złotych: trzy miliony), stosownie do przepisu art. 777 § 1 pkt 5 Kpc. Gminie Miasto Elbląg będzie przysługiwało prawo do wystąpienia z wnioskiem o nadanie aktowi notarialnemu nabycia nieruchomości, będącej przedmiotem przetargu, klauzuli wykonalności, w terminie do 31 grudnia 2045 r.

Gmina Miasto Elbląg będzie uprawniona do prowadzenia egzekucji przeciwko dłużnikowi, o ile dłużnik nie zapłaci wyżej opisanej kary umownej w terminie jej płatności, określonym powyżej. Fakt nie dokonania przez dłużnika zapłaty należności w powyższych terminach, potwierdzony zostanie przez Gminę Miasto Elbląg oświadczeniem przez nią złożonym i dołączonym do wniosku o nadanie temu aktowi (tytułowi egzekucyjnemu), klauzuli wykonalności.

g) Dopuszcza się możliwość zmiany terminów zagospodarowania nieruchomości, o których mowa w pkt 14 pkkt e), jedynie z przyczyn nie leżących po stronie Nabywcy bądź niezależnych od Nabywcy. Ciężar udowodnienia wskazanej przyczyny spoczywa na Nabywcy. Zła sytuacja ekonomiczna, gospodarcza czy finansowa Nabywcy, nie stanowi przesłanki do zmiany terminów, określonych w pkt 14 ppkt e).

h) W przypadku zbycia nieruchomości w obrocie wtórnym, przed zrealizowaniem inwestycji, Nabywca nieruchomości pozostanie podmiotem zobowiązanym do ponoszenia wobec Gminy Miasto Elbląg odpowiedzialności, za realizację zabudowy nieruchomości, w sposób i w terminach określonych w pkt 14 ppkt e), w szczególności odpowiedzialności określonej w pkt 14 ppkt f).

i) W przypadku zaistnienia konieczności usunięcia drzew i krzewów z terenu nieruchomości, Nabywca zobowiązany będzie uczynić to własnym staraniem i na własny koszt. Wycinka może nastąpić po uzyskaniu przez Nabywcę stosownych zezwoleń i może wiązać się z opłatami z tego tytułu.

j) Sprzedaż i wydanie nieruchomości w posiadanie Nabywcy następuje według danych zawartych w ewidencji gruntów i budynków, w aktualnym stanie zagospodarowania, ewentualny koszt wznowienia punktów granicznych (granic) ponosi Nabywca.

15. Informacje dodatkowe:

a) Przetarg przeprowadzony zostanie w trybie przewidzianym przepisami ustawy z dnia 21 sierpnia 1997 r. o gospodarce nieruchomościami (Dz.U. z 2024 r. poz. 1145 ze zm.) oraz rozporządzenia Rady Ministrów z dnia 14 września 2004 r. w sprawie sposobu i trybu przeprowadzania przetargów oraz rokowań na zbycie nieruchomości (Dz.U. z 2021 r., poz. 2213).

b) Przetarg będzie ważny bez względu na liczbę uczestników, jeżeli chociaż jeden uczestnik zaoferuje cenę wyższą od ceny wywoławczej o co najmniej jedno postąpienie.

c) Organizator przetargu zawiadomi osobę ustaloną jako Nabywcy nieruchomości o terminie i miejscu zawarcia umowy sprzedaży, najpóźniej w terminie 21 dni od dnia rozstrzygnięcia przetargu.

d) Z dniem podpisania umowy sprzedaży w formie aktu notarialnego na Nabywców przechodzą wszelkie ciężary i korzyści związane z nieruchomością.

e) Nabycie nieruchomości przez cudzoziemca, w rozumieniu przepisów ustawy o nabywaniu nieruchomości przez cudzoziemców, może wymagać uzyskania zezwolenia ministra właściwego do spraw wewnętrznych i administracji. W przypadku nie uzyskania, przez osobę ustaloną jako Nabywca nieruchomości, wymaganego zezwolenia, wpłacone wadium ulegnie przepadkowi na rzecz Gminy Miasto Elbląg.

f) Uczestnicy przetargu winni:

- legitymować się dowodem osobistym, a ponadto w przypadku pro­wadzenia działalności gospodarczej należy posiadać i przedłożyć komisji przetargowej:

· osoby fizyczne – zaświadczenie o wpisie w CEIDG (wydrukowane ze strony internetowej Centralnej Ewidencji i Informacji o Działalności Gospodarczej https://aplikacja.ceidg.gov.pl/),

· osoby prawne – wypis z właściwego rejestru, a w przypadku KRS – informację odpowiadającą odpisowi aktualnemu z Rejestru Przedsiębiorców (wydrukowaną ze strony internetowej Ministerstwa Sprawiedliwości https://wyszukiwarka-krs.ms.gov.pl/) oraz zgodę organów statutowych na nabycie nieruchomości stanowiącej przedmiot przetargu,

- złożyć pisemne oświadczenie o zapoznaniu się z warunkami i przedmiotem przetargu oraz o przyjęciu ich bez zastrzeżeń,

- złożyć pisemne oświadczenie, że znany jest im stan prawny i stan zagospodarowania nieruchomości,

- złożyć pisemne oświadczenie o sposobie uczestnictwa w przetargu i sposobie nabycia wylicytowanej nieruchomości.

g) W przypadku osób fizycznych, które przystępując do przetargu w ramach spółki cywilnej, działają również na rzecz nieuczestniczących w przetargu wspólników, winna zostać przedstawiona zgoda wspólników na nabycie nieruchomości lub umowa spółki uprawniająca wspólnika/wspólników uczestniczących w przetargu do nabywania nieruchomości bez zgody pozostałych wspólników.

h) W przypadku działania poprzez pełnomocnika, pełnomocnik winien ponadto przedłożyć komisji przetargowej oryginał pełnomocnictwa sporządzonego w formie aktu notarialnego lub pełnomocnictwa z notarialnie poświadczonym podpisem.

i) W przypadku nabywania nieruchomości przez małżonków do wspólności ustawowej, na przetargu winni stawić się oboje małżonkowie lub jeden z małżonków, wraz z oryginałem szczegółowego pełnomocnictwa sporządzonego w formie aktu notarialnego lub pełnomocnictwa z notarialnie poświadczonym podpisem, albo ich pełnomocnik wraz z oryginałami szczegółowych pełnomocnictw obydwojga z małżonków, sporządzonymi w formie aktów notarialnych lub pełnomocnictw z notarialnie poświadczonymi podpisami.

j) Wszelkie koszty, w tym w szczególności opłaty notarialne i sądowe, związane z zawarciem umowy sprzedaży ponosi Nabywca.

16. Zastrzeżenia: Prezydent Miasta Elbląg może odwołać ogłoszony przetarg jedynie z ważnych powodów, niezwłocznie podając informację o odwołaniu przetargu do publicznej wiadomości z podaniem przyczyny odwołania przetargu.






Kontakt:
Urząd Miasta Elbląg
tel: 55 239-31-41
[Email protected]


Ogłoszenie wysłane z programu dla biur nieruchomości ASARI CRM (asaricrm.com)



Lokalizacja
Elbląg
warmińsko-mazurskie
Informacje
Numer oferty: 43151/3186/OGS
Kontakt
AMK Portal Sp. z o.o.
Urząd Miasta Elbląg
55 239-31-41

Podobne oferty

 Elbląg   Tamka

Działka

Elbląg, Tamka

PREZYDENT MIASTA ELBLĄG ogłasza pierwszy ustny przetarg nieograniczony na oddanie w użytkowanie wieczyste nieruchomości stanowiącej własność Gminy Miasto Elbląg (strona...

m2
1 950 000 zł
 Elbląg   Fabryczna

Działka

Elbląg, Fabryczna

BURMISTRZ MIASTA KRAŚNIK ogłasza pierwszy ustny przetarg nieograniczony na sprzedaż prawa użytkowania wieczystego niezabudowanej nieruchomości gruntowej stanowiącej własność Skarbu Państwa,...

m2
332 100 zł
 Elbląg   Jaworowa

Działka

Elbląg, Jaworowa

PREZYDENT MIASTA ELBLĄG ogłasza piąty ustny przetarg nieograniczony na sprzedaż nieruchomości stanowiącej własność Gminy Miasto Elbląg (strona internetowa – http://www.umelblag.pl...

m2
169 000 zł