Działka

Stalowa wola , Cyprysowa

Działka

200 000 zł

Treść ogłoszenia

OGŁOSZENIE O PRZETARGACH


MGL.6840.22.2025

PREZYDENT MIASTA STALOWEJ WOLI


na podstawie:

1) art. 38 ustawy z dnia 21 sierpnia 1997 r. o gospodarce nieruchomościami (Dz. U. z 2024 r. poz. 1145 ze zm.),

2) § 3, § 6 i § 13 rozporządzenia Rady Ministrów z dnia 14 września 2004 r. w sprawie sposobu i trybu przeprowadzania przetargów oraz rokowań na zbycie nieruchomości (Dz. U. z 2021 poz. 2213),

3) Uchwały Rady Miejskiej w Stalowej Woli NR XI/149/2025 z dnia 07 lutego 2025 r. i NR XIII/176/2025 z dnia 28 marca 2025 r. w sprawie wyrażenia zgody na sprzedaż nieruchomości,

4) Zarządzenia Prezydenta Miasta Stalowej Woli 78/2025 z dnia 04 marca 2025 roku w sprawie ogłoszenia wykazu nieruchomości stanowiących własność Gminy Stalowa Wola przeznaczonych do sprzedaży w drodze przetargu nieograniczonego i bezprzetargowej i Zarządzenia Nr 120/2025 z dnia 03 kwietnia 2025 roku w sprawie ogłoszenia wykazu nieruchomości stanowiących własność Gminy Stalowa Wola przeznaczonych do sprzedaży w drodze przetargu nieograniczonego



ogłasza drugie przetargi ustne nieograniczone na sprzedaż nieruchomości

stanowiących własność Gminy Stalowa Wola



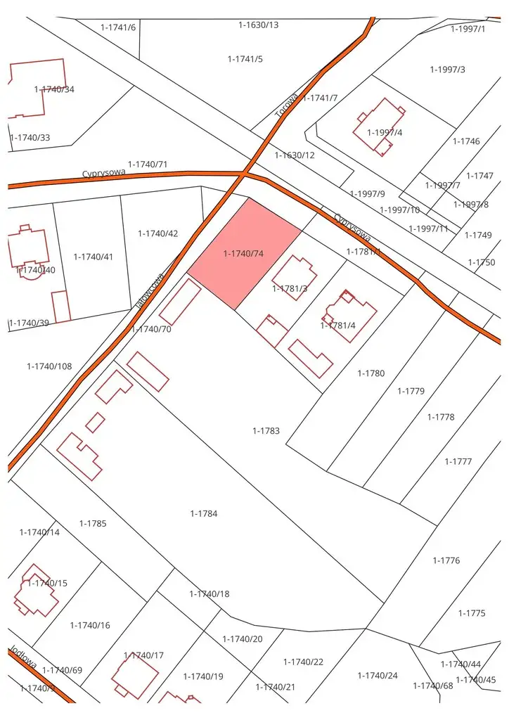
1. Nieruchomość gruntowa niezabudowana, położona w obrębie 0001 Charzewice w Stalowej Woli przy ul. Cyprysowej oznaczona w ewidencji gruntów jako działka nr 1740/74 o pow. 0,0681 ha. Dla ww. działki w Sądzie Rejonowym w Stalowej Woli V Wydział Ksiąg Wieczystych prowadzona jest księga wieczysta TB1S/00011846/2. (załącznik Nr 1)

W dziale III księgi wieczystej TB1S/00000683/1 wpisane jest:

„Wszczęcie postępowania w sprawie o wydanie decyzji o pozwoleniu na realizację inwestycji w zakresie budowli przeciwpowodziowych dla przedsięwzięcia pod nazwą" uszczelnienie, podwyższenie, modernizacja korpusu wału lewego rzeki San w km 9+390 - 27+000 na terenie Gminy Stalowa Wola i Zaleszany, powiat stalowowolski, województwo podkarpackie na działkach nr ewid. 45, 47/4, 106, 143, 192, 193, 194, 195, 196, 197, 198, 203, 204, 206, 207, 208, 209, 210, 211, 212, 213, 214, 215, 216, 217, 218, 219, 220, 221, 222, 223, 224, 225, 226, 227, 228, 229, 230, 231, 232, 233, 234, 235, 236, 237, 238, 239, 240, 241, obręb 0001 Charzewice” - wpis ten nie dotyczy zbywanej nieruchomości. Dział IV jest wolny od wpisów.

Przeznaczenie i zagospodarowanie nieruchomości zgodnie z obowiązującym miejscowym planem zagospodarowania przestrzennego osiedla Piaski II w Stalowej Woli uchwalonym Uchwałą Nr VI/62/99 Rady Miejskiej w Stalowej Woli z dnia 26 lutego 1999 r. (Dz. Urz. Woj. Podkarpackiego Nr 7 z dnia 30.04.1999 r. poz. 220). Ww. działka położona jest w obszarze oznaczonym symbolem: MN4 – tereny zabudowy mieszkaniowej jednorodzinnej.

Ww. działka jest w kształcie prostokąta, zadrzewiona i zakrzewiona.

W północno–wschodniej jej części w pobliżu granicy zlokalizowane jest pełne uzbrojenie techniczne: przewód gazowy gs-32, kanalizacja sanitarna ks-200, przewód wodociągowy wo 110 z dwoma zaworami, przewód elektroenergetyczny niskiego napięcia eN z szafą elektryczną.

Cena wywoławcza nieruchomości: 200 000,00 zł (słownie: dwieście tysięcy złotych).

Wadium 20 000,00 zł (słownie: dwadzieścia tysięcy złotych).

Kwota osiągnięta w przetargu zostanie powiększona o podatek VAT w wysokości 23%.

Minimalna wysokość postąpienia: 2 000,00 zł (słownie: dwa tysiące złotych).



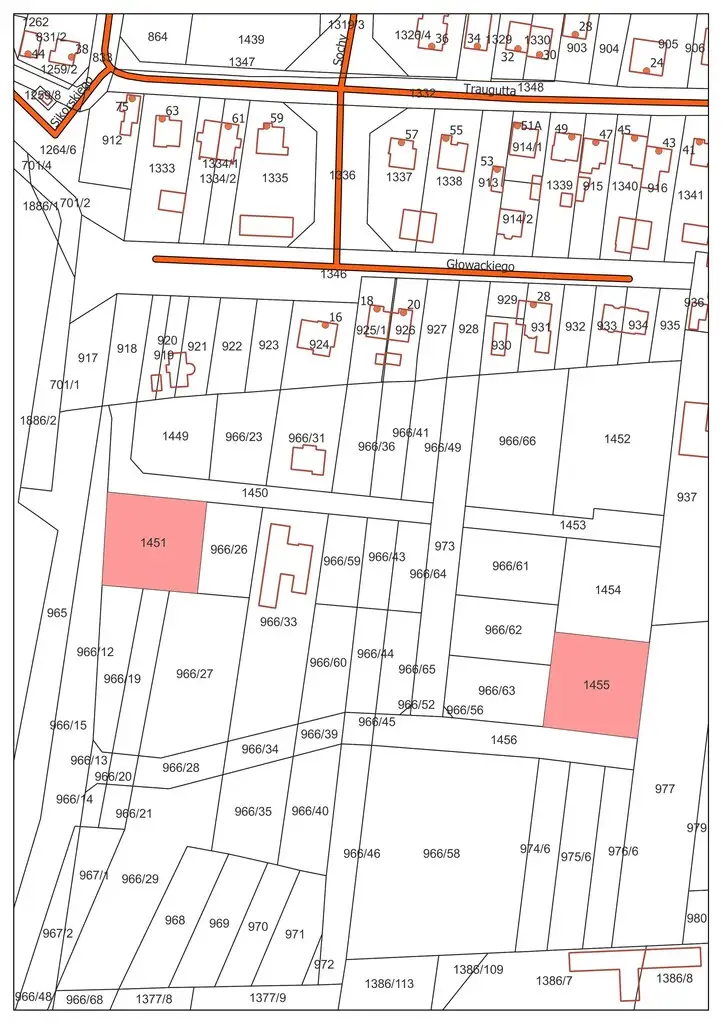
2. Nieruchomość gruntowa niezabudowana, położona w obrębie 0002 Rozwadów (Piaski I) w Stalowej Woli, oznaczona w ewidencji gruntów jako działka nr 1451 o pow. 0,1281 ha. Dla ww. działki w Sądzie Rejonowym w Stalowej Woli V Wydział Ksiąg Wieczystych prowadzona jest księga wieczysta TB1S/00000683/1. (załącznik Nr 2)

W dziale III księgi wieczystej TB1S/00000683/1 wpisane jest:

„Wszczęcie postępowania w sprawie o wydanie decyzji o pozwoleniu na realizację inwestycji w zakresie budowli przeciwpowodziowych dla przedsięwzięcia pod nazwą "uszczelnienie, podwyższenie, modernizacja korpusu wału lewego rzeki San w km 9+390 - 27+000 na terenie Gminy Stalowa wola i Zaleszany, powiat stalowowolski, województwo podkarpackie" na działce nr ewid. 46, obręb 0001 Charzewice.” – wpis ten nie dotyczy zbywanej nieruchomości.

Dział IV wolny od wpisów.

Przeznaczenie i zagospodarowanie nieruchomości zgodnie z obowiązującym miejscowym planem zagospodarowania przestrzennego osiedla Piaski I w Stalowej Woli uchwalonym Uchwałą Nr XXX/526/08 Rady Miejskiej w Stalowej Woli z dnia 19 września 2008 r. (Dz. Urz. Woj. Podkarpackiego Nr 83 poz. 1922 z dnia 24.10.2008 r.). Ww. działka położona jest w obszarze oznaczonym symbolem: 30MN – tereny zabudowy mieszkaniowej jednorodzinnej.

Ww. działka jest w kształcie zbliżonym do kwadratu, zadrzewiona i zakrzewiona. W południowo--zachodniej części działki przebiega kolektor kanalizacji deszczowej kdD1100 i przewód elektroenergetyczny eWD, północno- zachodni róg działki przecina sieć wodociągowa woD200. Na działce znajduje się nieczynna kanalizacja deszczowa - przyszły właściciel będzie zobligowany do jej zdemontowania oraz dokonania inwentaryzacji geodezyjnej. Demontaż rurociągu należy zgłosić i prowadzić pod nadzorem Gminy Stalowa Wola.

Nabywca działki nr 1451 obr. 0002 Rozwadów będzie zobowiązany do ustanowienia nieodpłatnej, na czas nieoznaczony służebności przesyłu na rzecz Gminy Stalowa Wola, polegającej na:

1) na prawie budowy, posiadania i eksploatacji pod powierzchnią gruntu, stanowiącego własność istniejącego kolektora deszczowego kdD1100,

2) na prawie zagwarantowania niezakłóconego dostępu Gminie Stalowa Wola lub osobom/podmiotom w jej imieniu działającym do kolektora deszczowego znajdującego się pod powierzchnią nieruchomości, w pasie o szerokości po 6 metrów bieżących od osi rurociągu, w szczególności poprzez nie podejmowanie żadnych działań, w wyniku których ten dostęp byłby ograniczony lub utrudniony,

3) na prawie dostępu służb technicznych Gminy Stalowa Wola lub osób/podmiotów działających w jej imieniu oraz ich sprzętu w celu eksploatacji, modernizacji, remontu, naprawy, konserwacji i kontroli infrastruktury kanalizacyjnej w pasie gruntu wzdłuż osi kolektora deszczowego i zajętym na prace montażowe oraz prace związane z naprawą tej infrastruktury,

4) na nie podejmowaniu żadnych działań, w szczególności prowadzenia prac ziemnych umieszczania jakichkolwiek instalacji, wznoszenia trwałej zabudowy (budynków, budowli, urządzeń), które mogłyby w jakikolwiek sposób ingerować bezpośrednio i pośrednio w strukturę oraz funkcjonowanie infrastruktury deszczowej, w pasie o szerokości wynikającej z odrębnych przepisów,

5) na powstrzymywaniu się od nasadzania drzew i krzewów na działce w pasie po 6 metrów bieżących od osi rurociągu.

Cena wywoławcza nieruchomości: 223 000,00 zł (słownie: dwieście dwadzieścia trzy tysiące złotych).

Wadium 22 300,00 zł (słownie: dwadzieścia dwa tysiące trzysta złotych).

Kwota osiągnięta w przetargu zostanie powiększona o podatek VAT w wysokości 23%.

Minimalna wysokość postąpienia: 2 230,00 zł (słownie: dwa tysiące dwieście trzydzieści złotych).



3. Nieruchomość gruntowa niezabudowana, położona w obrębie 0002 Rozwadów (Piaski I) w Stalowej Woli, oznaczona w ewidencji gruntów jako działka nr 1455 o pow. 0,1295 ha. Dla ww. działki w Sądzie Rejonowym w Stalowej Woli V Wydział Ksiąg Wieczystych prowadzona jest księga wieczysta TB1S/00063040/1. (załącznik Nr 2)

Dział III i IV księgi wieczystej TB1S/00063040/1 jest wolny od wpisów.

Przeznaczenie i zagospodarowanie nieruchomości zgodnie z obowiązującym miejscowym planem zagospodarowania przestrzennego osiedla Piaski I w Stalowej Woli uchwalonym Uchwałą Nr XXX/526/08 Rady Miejskiej w Stalowej Woli z dnia 19 września 2008 r. (Dz. Urz. Woj. Podkarpackiego Nr 83 poz. 1922 z dnia 24.10.2008 r.). Ww. działka położona jest w obszarze oznaczonym symbolem: 31MN – tereny zabudowy mieszkaniowej jednorodzinnej.

Ww. działka jest w kształcie prostokąta, zadrzewiona i zakrzewiona, od strony zachodniej ogrodzona. W pobliżu działki zlokalizowana jest sieć wodociągowa. Przez działkę przebiega podziemna sieć energetyczna niskiego napięcia eN, która ogranicza funkcjonalność działki - przyszły właściciel będzie zobligowany do jej przesunięcia na własny koszt oraz dokonania inwentaryzacji geodezyjnej. Funkcjonalność działki również częściowo ogranicza strefa gazowa. Cena wywoławcza nieruchomości: 214 000,00 zł (słownie: dwieście czternaście tysięcy złotych).

Wadium 21 400,00 zł (słownie: dwadzieścia jeden tysięcy czterysta złotych).

Kwota osiągnięta w przetargu zostanie powiększona o podatek VAT w wysokości 23%.

Minimalna wysokość postąpienia: 2 140,00 zł (słownie: dwa tysiące sto czterdzieści złotych).



Wersja elektroniczna planu zagospodarowania przestrzennego dostępna jest w Biuletynie Informacji Publicznej Urzędu Miasta Stalowej Woli (www.bip.stalowawola.pl) zakładka „Zagospodarowanie przestrzenne”.



Zgodnie z Uchwałą Nr LXV/845/2023 Rady Miejskiej w Stalowej Woli dnia 12 maja 2023 roku w sprawie wyznaczenia obszaru zdegradowanego i obszaru rewitalizacji Miasta Stalowej Woli (t.j. Dz. U. Woj. Podkarpackiego z 2023 r. poz. 2865) ww. działki ewidencyjne nr 1740/76 obr. 0001 Charzewice i działki 1451 i 1455 obr. 0002 Rozwadów nie znajdują się na obszarze rewitalizacji. W przedmiotowej uchwale nie ustanowiono na rzecz Gminy Stalowa Wola prawa pierwokupu nieruchomości położonych na obszarze rewitalizacji.

Na terenie miasta Stalowej Woli nie została wyznaczona Specjalna Strefa Rewitalizacji.



Przetargi na sprzedaż nieruchomości odbędą się w siedzibie Urzędu Miasta w Stalowej Woli ul. Wolności 7, sala nr 17, dnia 01 grudnia 2025 roku o godz. 9:00



Warunkiem udziału w przetargu jest wniesienie wadium zgodnie z treścią niniejszego ogłoszenia. Uczestnicy przetargu zobowiązani są posiadać:

- dokument tożsamości,

- aktualny wydruk z Krajowego Rejestru Sądowego lub zaświadczenie z innego właściwego rejestru dla podmiotów innych niż osoby fizyczne, numer NIP

- odpis z właściwego rejestru przetłumaczony przez tłumacza przysięgłego, w przypadku cudzoziemców - osób prawnych (w rozumieniu ustawy z 24 marca 1920 r. o nabywaniu nieruchomości przez cudzoziemców – Dz. U. z 2017 r. poz. 2278),

- stosowne pełnomocnictwo notarialne w przypadku reprezentowania uczestnika przetargu przez pełnomocnika,

- ewentualnie inne dokumenty potwierdzające formę prowadzenia działalności i sposób reprezentacji uczestnika przetargu,

- w przypadku osób fizycznych pozostających w związku małżeńskim posiadających ustawową wspólność majątkową, do udziału w przetargu wymagana jest obecność obojga małżonków lub jednego z nich z pełnomocnictwem notarialnym drugiego małżonka upoważniającym do odpłatnego nabycia nieruchomości lub złożoną w formie pisemnej z podpisem notarialnie poświadczonym zgodą współmałżonka nie biorącego udziału w przetargu na przystąpienie małżonka do przetargu i odpłatne nabycie nieruchomości za cenę ustaloną w przetargu.

W przypadku posiadania rozdzielności majątkowej, należy przed przystąpieniem do przetargu przedłożyć komisji przetargowej dokument potwierdzający rozdzielność majątkową.

Uczestnik przetargu zobowiązany jest przed przetargiem złożyć pisemne oświadczenie o zapoznaniu się z treścią ogłoszenia o przetargu, jego warunkami i przyjęciu ich bez zastrzeżeń, a także oświadczenie o zapoznaniu się ze stanem prawnym i technicznym przedmiotu sprzedaży oraz o przyjęciu go bez zastrzeżeń.

Wszystkie dokumenty powinny mieć formę pisemną (papierową).



Wadium w wysokości podanej przy każdej nieruchomości uczestnicy przetargu wnoszą w pieniądzu do dnia 24 listopada 2025 r. na rachunek Urzędu Miasta Stalowej Woli nr 04 1020 4913 0000 9802 0117 4663 prowadzony w Banku PKO BP, z zaznaczeniem, której nieruchomości wadium dotyczy i z podaniem danych osób, które zamierzają nabyć nieruchomość.

W przypadku zamiaru wzięcia udziału w więcej niż jednym przetargu wadium należy wpłacać odrębnie na każdy przetarg.

Za datę wniesienia wadium uważa się datę wpływu środków pieniężnych na rachunek Urzędu Miasta Stalowa Wola.

O wysokości postąpienia decydują uczestnicy przetargu, z tym że postąpienie nie może wynosić mniej niż 1% ceny wywoławczej, z zaokrągleniem w górę do pełnych dziesiątek złotych.

Wadium wpłacone przez uczestnika, który wygrał przetarg zalicza się na poczet ceny nabycia nieruchomości.

Osobom, które nie wygrały przetargu wadium zostanie zwrócone po zakończeniu przetargu zgodnie z obowiązującymi przepisami.

Gmina Stalowa Wola najpóźniej w ciągu 21 dni od dnia rozstrzygnięcia przetargu zawiadomi osobę ustaloną jako Nabywca nieruchomości o miejscu i terminie zawarcia umowy sprzedaży.

W przypadku nieprzystąpienia nabywcy do zawarcia umowy sprzedaży tj. niestawienie się w miejscu i terminie podanym w zawiadomieniu, Prezydent Miasta Stalowej Woli może odstąpić od zawarcia umowy, a wpłacone wadium nie podlega zwrotowi.

W dniu podpisania umowy notarialnej przenoszącej prawo własności nieruchomości środki finansowe obejmujące cenę nabycia nieruchomości pomniejszoną o wpłacone wadium winny znajdować się na rachunku bankowym Gminy Stalowa Wola.

Wszelkie koszty sporządzenia umów notarialnych a także wynikających z nich podatków i opłat sądowych oraz wypisów ponosi Nabywca.

Gminie Stalowa Wola przysługuje prawo pierwokupu na warunkach określonych w art. 109 ust. 1 pkt 1 ustawy o gospodarce nieruchomościami (Dz. U. z 2024 r. poz. 1145 ze zm.) w przypadku sprzedaży przez Nabywcę nieruchomości niezabudowanej.

Sprzedaż nieruchomości nastąpi za cenę osiągniętą w przetargu powiększoną o należny podatek VAT w wysokości 23% na podstawie art.41 ust. 1 w związku z art. 146a ust. 1 pkt 1 ustawy z 11 marca 2004 r. o podatku od towarów i usług (t.j. Dz. U. z 2024 r. poz. 361). Podatek VAT doliczony będzie do ceny ustalonej w przetargu.

Nabywca przejmuje nieruchomość w stanie istniejącym.

Sprzedający nie odpowiada za wady ukryte zbywanej nieruchomości, w tym także za nieujawniony w Powiatowym Ośrodku Dokumentacji Geodezyjnej i Kartograficznej w Stalowej Woli przebieg podziemnych mediów.

Termin złożenia wniosku przez osoby, którym przysługuje pierwszeństwo w nabyciu nieruchomości na podstawie art. 34 ust. 1 pkt.1 i 2 ustawy z dnia 21 sierpnia 1997 r. o gospodarce nieruchomościami upłynął w dniu w dnu 22 kwietnia 2025 r. i 21 maja 2025 r.

Pierwszy przetarg na ww. nieruchomości odbył się 02 września 2025 r. Cudzoziemcy (w rozumieniu ustawy z dnia 24 marca 1920 r. o nabywaniu nieruchomości przez cudzoziemców Dz. U. z 2017 r. poz. 2278) w przypadku wygrania przetargu zobowiązani są przed zawarciem umowy notarialnej uzyskać zgodę Ministra Spraw Wewnętrznych i Administracji na nabycie nieruchomości w przypadku, gdy zgoda ta jest wymagana. Prezydent Miasta Stalowej Woli ma prawo odwołania przetargu z uzasadnionych przyczyn.

Ogłoszenie o przetargu zostało wywieszone na tablicy ogłoszeń Urzędu Miasta Stalowej Woli, ul. Wolności 7, opublikowane w Biuletynie Informacji Publicznej Urzędu Miasta (www.bip.stalowawola.pl) i w Monitorze Urzędowym.

Informacje o nieruchomości i warunkach przetargu można uzyskać w Wydziale Mienia Gminnego i Gospodarki Lokalami Urzędu Miasta Stalowej Woli w pok. 37 ul. Wolności 9 tel. 15 6433455.



Z up. Prezydenta Miasta

mgr Tomasz Miśko

Zastępca Prezydenta Miasta



(Załącznik Nr 1)

(Załącznik Nr 2)



Kontakt:
Urząd Miasta Stalowa Wola
tel: 15 643 34 55
[Email protected]


Ogłoszenie wysłane z programu dla biur nieruchomości ASARI CRM (asaricrm.com)



Lokalizacja
Stalowa wola
podkarpackie
Informacje
Numer oferty: 43298/3186/OGS
Kontakt
AMK Portal Sp. z o.o.
Urząd Miasta Stalowa Wola
15 643 34 55

Podobne oferty

 Stalowa wola   Tysiąclecia

Działka

Stalowa wola, Tysiąclecia

O G Ł O S Z E N I E O P R Z E T A R G U...

m2
350 000 zł
 Stalowa wola   Tysiąclecia

Działka

Stalowa wola, Tysiąclecia

O G Ł O S Z E N I E O P R Z E T A R G A...

m2
350 000 zł
 Stalowa wola

Działka

Stalowa wola

OGŁOSZENIE O PRZETARGU MGL.6840.22.2024 z dnia 11 grudnia 2024 r. PREZYDENT MIASTA STALOWEJ WOLI na podstawie: 1) art. 38 ustawy...

m2
38 000 zł