Przetarg - Przysieki Gmina Skołyszyn

Przysieki

Działka

37 440 zł

Treść ogłoszenia

Jasło, dnia 3 października 2025 r.


GN-II.6840.2.4.2024



Zarząd Powiatu w Jaśle

informuje, że ogłosił

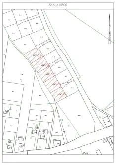
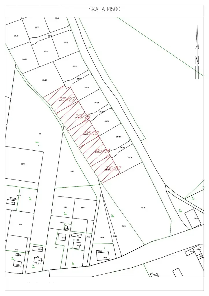
piąte przetargi ustne nieograniczone na sprzedaż nieruchomości gruntowych niezabudowanych, przeznaczonych pod zabudowę mieszkaniową jednorodzinną oraz mieszkaniowo - usługową, położonych w miejscowości Przysieki, Gmina Skołyszyn, oznaczonych w operacie ewidencji gruntów i budynków jako działki ewid. nr:

a) Działka ewid. nr 315/27 o pow. 0,1204 ha wraz z udziałem w wysokości 1∕4 w działce ewid.

nr 315/25 o pow. 0,0303 ha

Cena wywoławcza nieruchomości wynosi – 37 440,03 zł



b) Działka ewid. nr 315/29 o pow. 0,1197 ha wraz z udziałem w wysokości ¼ w działce ewid.

nr 315/30 o pow. 0,0279 ha

Cena wywoławcza nieruchomości wynosi – 37 083,42 zł



c) Działka ewid. nr 315/32 o pow. 0,1085 ha wraz z udziałem w wysokości ¼ w działce ewid.

nr 315/30 o pow. 0,0279 ha

Cena wywoławcza nieruchomości wynosi – 33 776,19 zł



d) Działka ewid. nr 315/34 o pow. 0,1157 ha wraz z udziałem w wysokości ¼ w działce ewid.

nr 315/35 o pow. 0,0275 ha

Cena wywoławcza nieruchomości wynosi – 35 877,54 zł



e) Działka ewid. nr 315/37 o pow. 0,1016 ha wraz z udziałem w wysokości ¼ w działce ewid.

nr 315/35 o pow. 0,0275 ha

Cena wywoławcza nieruchomości wynosi – 31 714,14 zł



Przetargi na sprzedaż w/w nieruchomości odbędą się dnia 18 listopada 2025 r.

od godziny 8:30, w siedzibie Starostwa Powiatowego w Jaśle, ul. Rynek 18, pokój nr 329, III piętro.

Szczegółowe informacje odnośnie przetargów oraz wysokości wadium jakie należy wpłacić, można uzyskać w siedzibie Starostwa Powiatowego w Jaśle, ul. Rynek 18, 38- 200 Jasło, od poniedziałku do piątku w godzinach pracy urzędu pod numerem telefonu: (13)44-864-79, mail: [Email protected] Ogłoszenia o przetargach zostały zamieszczone na stronie internetowej Starostwa Powiatowego w Jaśle https://samorzad.gov.pl/web/powiat-jasielski oraz w Biuletynie Informacji Publicznej Starostwa Powiatowe w Jaśle.





Kontakt:
Starostwo Powiatowe w Jaśle
tel: 13 44 864 79
[Email protected]


Ogłoszenie wysłane z programu dla biur nieruchomości ASARI CRM (asaricrm.com)



Lokalizacja
Przysieki
podkarpackie
Informacje
Numer oferty: 43088/3186/OGS
Kontakt
AMK Portal Sp. z o.o.
Starostwo Powiatowe w Jaśle
13 44 864 79

Podobne oferty

 Przysieki

Przetarg

Przysieki

GN-II.6840.2.4.2024 Jasło, dnia 16.09.2024 r. Zarząd Powiatu w Jaśle informuję, że ogłosił przetargi ustne nieograniczone na sprzedaż nieruchomości gruntowych niezabudowanych,...

m2
60 774 zł
 Przysieki

Przetarg

Przysieki

GN-II.6840.2.4.2024 Jasło, dnia 16.09.2024 r. Zarząd Powiatu w Jaśle informuję, że ogłosił przetarg ustny nieograniczony na sprzedaż nieruchomości gruntowej niezabudowanej,...

m2
379 777 zł
 Przysieki

Działka

Przysieki

Jasło, dnia 3 lipca 2025 r. GN-II.6840.2.4.2024 Zarząd Powiatu w Jaśle informuje, że ogłosił czwarte przetargi ustne nieograniczone na sprzedaż...

m2
41 600 zł