Działka

Szczecin , Azaliowa

Działka

450 000 zł

Treść ogłoszenia

OGŁOSZENIE

PREZYDENTA MIASTA SZCZECIN

z dnia 23 lipca 2025 r.

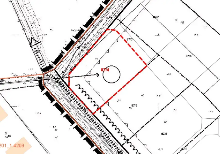
o przetargu ustnym nieograniczonym na sprzedaż nieruchomości położonej w Szczecinie w rejonie ulicy Azaliowej i ulicy Pod Lasem, działka 87/4, obręb 4009

będącej własnością Gminy Miasto Szczecin.



Adres
Szczecin,
rejon ulicy
Azaliowej i ulicy
Pod Lasem

Numer obrębu
4009

Numer działki
87/4

Numer księgi wieczystej
SZ1S/00264215/0

Powierzchnia w m²
1739

Opis nieruchomości
Nieruchomość
gruntowa
niezabudowana

Przeznaczenie nieruchomości i sposób jej zagospodarowania
Zabudowa mieszkaniowa
jednorodzinna wolno
stojącą z dopuszczeniem
usług.
Sposób zagospodarowania –
zgodny z przeznaczeniem

Cena wywoławcza nieruchomości netto w zł
450 000,00
(czterysta
pięćdziesiąt
tysięcy
złotych,
00/100)

Wadium w zł
45 000,00
(czterdzieści
pięć tysięcy
złotych,
00/100)



1. PRZETARG ODBĘDZIE SIĘ W DNIU 01.10.2025 r. O GODZ. 10:00 w siedzibie Urzędu Miasta Szczecin, pl. Armii Krajowej 1, sala obrad Rady Miasta Szczecin (lewe skrzydło, sala numer 173).

2. Cena wywoławcza nieruchomości gruntowej jest ceną netto oraz uwzględnia prawa i ograniczenia w obrębie zbywanej nieruchomości.

3. Do ceny sprzedaży (netto) nieruchomości gruntowej osiągniętej w przetargu zostanie doliczony podatek VAT w stawce 23%, zgodnie z obowiązującymi przepisami ustawy z dnia 11 marca 2004 r. o podatku od towarów i usług. Stawka podatku VAT może ulec zmianie w przypadku zmiany wyżej wymienionej ustawy.

4. Cena sprzedaży brutto uzyskana w wyniku przetargu płatna jest w całości najpóźniej na 1 (jeden) dzień przed wyznaczonym terminem podpisania umowy w formie aktu notarialnego. Za datę dokonania wpłaty uważa się datę uznania rachunku bankowego Gminy Miasto Szczecin.

5. Warunkiem udziału w przetargu jest wniesienie wadium przez uczestnika przetargu oraz przedłożenie Komisji Przetargowej przed otwarciem przetargu:

1) w przypadku osób fizycznych (w tym prowadzących działalność gospodarczą) – dokumentu tożsamości (dowód osobisty lub paszport), a pozostających w związku małżeńskim nieposiadających rozdzielności majątkowej, do dokonywania czynności przetargowych konieczna jest obecność obojga małżonków lub jednego z nich z pełnomocnictwem małżonka uprawniającym do udziału w przetargu;

2) w przypadku osób prawnych oraz innych jednostek organizacyjnych nieposiadających osobowości prawnej, a podlegających rejestracji - aktualnego odpisu z rejestru (potwierdzonego przez reprezentanta podmiotu w dniu przetargu) albo pobranego samodzielnie wydruku komputerowego (w formie papierowej) aktualnych informacji o podmiocie wpisanym do KRS, względnie wraz z uchwałami odpowiednich organów osoby prawnej podjętymi w trybie określonym przepisami kodeksu spółek handlowych, właściwych pełnomocnictw, dokumentów tożsamości (dowód osobisty lub paszport) osób reprezentujących podmiot.

6. Uczestnicy biorą udział w przetargu osobiście lub przez pełnomocnika. Pełnomocnictwo wymaga formy pisemnej.

7. Wadium należy wnieść w pieniądzu (PLN), na rachunek Gminy Miasto Szczecin: Bank PKO BP S.A. 47 1020 4795 0000 9802 0277 8504.

1) Termin wniesienia wadium upływa dnia 24.09.25 r.

2) Datą wniesienia wadium jest data uznania rachunku bankowego Gminy Miasto Szczecin.

3) W celu ułatwienia identyfikacji wpłaty w tytule należy podać: adres nieruchomości będącej przedmiotem przetargu (ulica, numer działki, numer obrębu), imię i nazwisko lub nazwa oferenta, numer PESEL lub numer NIP.

4) Wadium osoby wygrywającej przetarg zalicza się na poczet ceny sprzedaży nieruchomości. Wadium pozostałych uczestników przetargu zostanie zwrócone po zakończeniu przetargu, zgodnie z obowiązującymi przepisami.

5) W przypadku uchylenia się osoby wygrywającej przetarg od zawarcia umowy sprzedaży nieruchomości, wadium nie podlega zwrotowi.

8. Opłaty notarialne i sądowe w całości ponosi nabywca nieruchomości.

9. Opis nieruchomości oraz warunki realizacji inwestycji:

1) Nieruchomość położona jest na terenie, dla którego obowiązuje Miejscowy plan zagospodarowania przestrzennego ,,Wielgowo-Sławociesze-Zdunowo” w Szczecinie ze zmianami (Obwieszczenie Nr 12/13 Rady Miasta Szczecin w sprawie ogłoszenia tekstu jednolitego uchwały w sprawie Miejscowego planu zagospodarowania przestrzennego „Wielgowo-Sławociesze-Zdunowo” - Dz. Urz. Woj. Zachodniopomorskiego z 19 grudnia 2013 r., poz. 4534). W/w nieruchomość znajduje się w granicach terenu elementarnego oznaczonego na załączniku graficznym planu symbolem D.W.1007.MN,U dla którego plan ustala przeznaczenie: zabudowa mieszkaniowa jednorodzinna wolno stojąca z dopuszczeniem usług. Przy realizacji inwestycji obowiązują wszystkie ustalenia ww. planu.

2) Ulica Azaliowa jest drogą publiczną zaliczoną do kategorii dróg gminnych. W celu obsługi komunikacyjnej od strony ulicy Azaliowej należy wybudować zjazd. Przed wybudowaniem zjazdu należy uzyskać zezwolenie zarządcy drogi w drodze decyzji administracyjnej.

3) Indywidualne warunki przyłączenia do sieci uzbrojenia technicznego nabywca ustali z właścicielami sieci.

4) Gmina Miasto Szczecin nie bierze odpowiedzialności za warunki gruntowo – wodne, występowanie ewentualnych zanieczyszczeń gruntu w obrębie zbywanej nieruchomości oraz za ewentualne istnienie przykrytych warstwą gleby elementów będących pozostałością po konstrukcjach budowlanych oraz skutki z tym związane. Rękojmia oraz odpowiedzialność Gminy Miasto Szczecin w tym zakresie zostanie wyłączona. Gmina Miasto Szczecin umożliwi dokonanie niezbędnych badań gruntu. W przypadku gdyby zbycie nieruchomości zakwalifikowane zostało jako działalność gospodarcza Gminy Miasto Szczecin, wówczas niniejsze wyłączenie rękojmi nie odniesie skutku wobec podmiotów nabywających nieruchomości jako konsumenci.

5) W przypadku wznowienia granic na wniosek nabywcy Gmina Miasto Szczecin nie ponosi odpowiedzialności za ewentualne różnice w powierzchni nieruchomości.

6) Nabywca nieruchomości gruntowej:

a) zapewni właścicielom sieci ewentualnie przebiegających przez działkę oraz służbom specjalistycznym swobodny dostęp do tych sieci w celu ich modernizacji, wymiany, konserwacji, remontów, usuwania awarii oraz usuwania z gruntu;

b) w przypadku kolizji z planowaną inwestycją – przełoży sieci na własny koszt w uzgodnieniu z właścicielami tych sieci;

c) infrastrukturę niezbędną dla realizowanej inwestycji wykona we własnym zakresie i na własny koszt;

d) przejmie obowiązek usunięcia z terenu ewentualnych bezumownych użytkowników oraz uporządkuje teren we własnym zakresie i na własny koszt;

e) w przypadku wystąpienia w granicach nieruchomości drzewostanu kolidującego z inwestycją, dokona jego wycinki we własnym zakresie i na własny koszt, zgodnie z obowiązującymi przepisami ustawy z dnia 16 kwietnia 2004 r. o ochronie przyrody.

7) Nieruchomość wolna jest od obciążeń oraz nie jest przedmiotem zobowiązań, poza opisanymi powyżej.

10. Przed przystąpieniem do przetargu należy zapoznać się z dokumentacją dotyczącą nieruchomości, miejscowym planem zagospodarowania przestrzennego oraz Regulaminem Przetargów, dostępnym na stronie internetowej bip.um.szczecin.pl



Dodatkowych informacji udziela Wydział Zasobu i Obrotu Nieruchomościami -

Referat ds. Prywatyzacji Nieruchomości Gruntowych

Urząd Miasta Szczecin,

pl. Armii Krajowej 1, pok. 241 A, tel. 91 42 45 768, e-mail: [Email protected]

bip.um.szczecin.pl, szczecin.eu, miastooferuje.szczecin.eu

Zastrzega się prawo odwołania przetargu lub jego unieważnienia w przypadku zaistnienia ważnych powodów.



11. Udział w postępowaniu przetargowym wiąże się z przetwarzaniem danych osobowych oferentów na zasadach określonych w Rozporządzeniu Parlamentu Europejskiego i Rady (UE) 2016/679 z dnia 27 kwietnia 2016 r. w sprawie ochrony osób fizycznych w związku z przetwarzaniem danych osobowych i w sprawie swobodnego przepływu takich danych oraz uchylenia dyrektywy 95/46/WE (ogólne rozporządzenie o ochronie danych) oraz w zakresie wynikającym z ustawy z dnia 21 sierpnia 1997 r. o gospodarce nieruchomościami i rozporządzenia Rady Ministrów z dnia 14 września 2004 r. w sprawie sposobu i trybu przeprowadzania przetargów oraz rokowań na zbycie nieruchomości. Więcej informacji o przetwarzaniu danych osobowych przez Gminę Miasto Szczecin - Urząd Miasta Szczecin można uzyskać na stronie www.bip.um.szczecin.pl w zakładce „Ochrona danych osobowych/RODO”.



z up. Prezydenta Miasta Szczecin

Z - ca Dyrektora Wydziału Zasobu i Obrotu Nieruchomościami

Katarzyna Batko



Kontakt:
Urząd Miasta Szczecin - Karpik Marzena
tel: 91 42 45 768
[Email protected]


Ogłoszenie wysłane z programu dla biur nieruchomości ASARI CRM (asaricrm.com)



Lokalizacja
Szczecin
zachodniopomorskie
Informacje
Numer oferty: 42594/3186/OGS
Kontakt
AMK Portal Sp. z o.o.
Urząd Miasta Szczecin - Karpik Marzena
91 42 45 768

Podobne oferty

 Szczecin   Regatowa

Działka

Szczecin, Regatowa

OGŁOSZENIE PREZYDENTA MIASTA SZCZECIN z dnia 2 grudnia 2024 r. o przetargach ustnych nieograniczonych na sprzedaż nieruchomości położonych w Szczecinie...

m2
460 000 zł
 Szczecin   Aleja Wojska Polskiego

Działka zabudowana

Szczecin, Aleja Wojska Polskiego

Ogłoszenie Prezydenta Miasta Szczecin z dnia 18 lipca 2025 r. o przetargu ustnym nieograniczonym na sprzedaż nieruchomości zabudowanej, położonej w...

m2
7 500 000 zł
 Szczecin   Sowia

Działka

Szczecin, Sowia

Ogłoszenie Prezydenta Miasta Szczecin z dnia 25 sierpnia 2025 r. o czwartym przetargu ustnym nieograniczonym na sprzedaż nieruchomości położonej w...

m2
1 000 000 zł