Działka

Biskupiec

Działka

76 000 zł

Treść ogłoszenia

Wyciąg z ogłoszenia Burmistrza Biskupca (siedziba: 11-300 Biskupiec, ul. Aleja Niepodległości 2) o kolejnym ustnym nieograniczonym na zbycie niezabudowanej nieruchomości gruntowej, stanowiącej własność Gminy Biskupiec.


1. Oznaczenie nieruchomości wg księgi wieczystej i katastru nieruchomości, powierzchnia nieruchomości

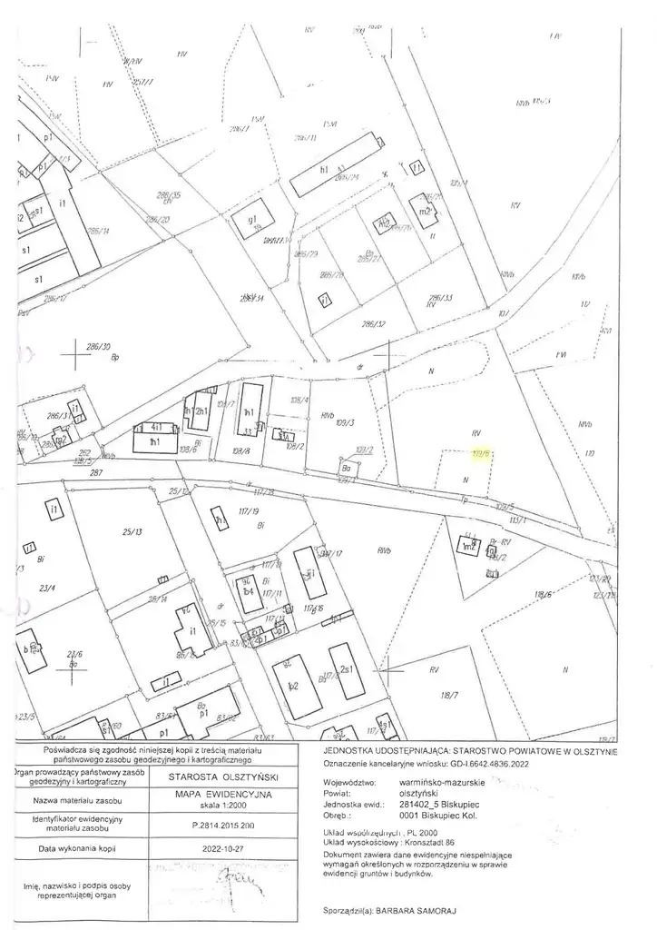
Księga wieczysta nr OL1B/0008390/6, działka nr 109/6 o powierzchni 0,8980 ha, położona w Biskupcu-Kolonii Pierwszej (obręb 1 Biskupiec Kol).


2. Forma zbycia

Sprzedaż


3. Przeznaczenie

Tereny usług uciążliwych, przemysłu i składów o niskiej intensywności, oznaczone w miejscowym planie zagospodarowania przestrzennego symbolem UPS-1.


3. Cena wywoławcza

380 000 zł (słownie: trzysta osiemdziesiąt tysięcy złotych). Cena zawiera podatek VAT w wysokości 23%


4. Termin i miejsce przetargu

4 grudnia 2025 r., godz. 11:00, siedziba Urzędu Miejskiego w Biskupcu; adres: ul. Aleja Niepodległości 2, 11-300 Biskupiec, pokój nr 16 (I piętro, sala konferencyjna)


5. Wysokość wadium

76 000 zł (słownie: siedemdziesiąt sześć tysięcy złotych).


6. Miejsce wywieszenia i publikacji ogłoszenia o przetargu

Tablica ogłoszeń: w siedzibie Urzędu Miejskiego w Biskupcu, strona internetowa Urzędu www.biskupiec.pl, Biuletyn Informacji Publicznej www.bip.biskupiec.pl oraz serwis www.monitorurzedowy.pl


7. Dane teleadresowe, pod którymi można uzyskać szczegółowe informacje dotyczące przetargu

Referat Gospodarki Gruntami Komunalnymi Urzędu: tel. 897150144




Pełny tekst ogłoszenia o przetargu



Burmistrz Biskupca

ogłasza

kolejny przetarg ustny nieograniczony

na sprzedaż niezabudowanej nieruchomości gruntowej, stanowiącej własność Gminy Biskupiec, dla której Sąd Rejonowy w Biskupcu prowadzi księgę wieczystą numer OL1B/00008390/6, położonej Biskupcu-Kolonii Pierwszej (obręb 1 Biskupiec Kol.), oznaczonej numerem działki 109/6 o powierzchni 0,8980 ha (porośnięta samosiewem drzew i krzewów, oznaczenie wg użytków i klasy gruntów: RV-0,6674 ha, N-0,2306 ha); teren działki nieco urozmaicony ze skarpami, kształt regularny. Nieruchomość nie jest przedmiotem obciążeń i zobowiązań na rzecz osób trzecich.



Cena wywoławcza 380 000 zł

(słownie: trzysta osiemdziesiąt tysięcy złotych)



Cena wywoławcza nieruchomości zawiera podatek VAT w wysokości 23%. Cena nieruchomości, uzyskana w przetargu, podlega zapłacie przed zawarciem umowy notarialnej (przenoszącej własność nieruchomości). Osoba ustalona na nabywcę nieruchomości ponosi ponadto koszty notarialne i sądowe. Ewentualne wznowienie granic nieruchomości na zlecenie i koszt nabywcy.



Zagospodarowanie nieruchomości – zgodnie z planem zagospodarowania przestrzennego. W miejscowym planie zagospodarowania przestrzennego miasta Biskupiec, zatwierdzonym Uchwałą Nr XXX/211/05 Rady Miejskiej w Biskupcu z dnia 15 czerwca 2005 roku (Dz.Urz. Woj.Warmińsko-Mazurskiego Nr 104 z dnia 11.08.2005r., poz.1404) nieruchomość znajduje się w terenie oznaczonym na rysunku planu symbolem UPS-1 i przeznaczonym na tereny usług uciążliwych, przemysłu i składów o niskiej intensywności. Szczegółowe informacje dotyczące zapisów planu zagospodarowania przestrzennego oraz obiektów znajdujących się w gminnej ewidencji zabytków można uzyskać w Referacie Budownictwa i Spraw Lokalowych Urzędu, pod numerami telefonów: 897150115 i 897150138.



Sprzedaż nieruchomości następuje według danych zawartych w ewidencji gruntów i budynków oraz w aktualnym stanie zagospodarowania (nieruchomość nie ma urządzonego zjazdu z drogi publicznej - uzyskanie stosownego zezwolenia na lokalizację zjazdu i budowa zjazdu leży w gestii nabywcy). W przypadku ewentualnego wznowienia granic, wykonanego na koszt i staraniem nabywcy, sprzedający nie bierze odpowiedzialności za ewentualnie wynikłe różnice.



Publiczne dane z zasobu geodezyjnego i kartograficznego, obejmującego powiat olsztyński (Geoportal Powiatu Olsztyńskiego), dostępne są pod adresem internetowym: https://powiatolsztynski.geoportal2.pl . Wg tych danych, przez działkę nr 109/6, wzdłuż jej południowej granicy, przebiegają sieci: wodociągowa, elektroenergetyczna i telekomunikacyjna.



Nabywca jest zobowiązany do udostępnienia nieruchomości osobom i jednostkom zobowiązanym do wykonania czynności związanych z eksploatacją sieci nadziemnych i podziemnych oraz urządzeń występujących na gruncie. W przypadku, gdy przebiegające sieci nadziemne i podziemne lub urządzenia występujące na terenie nieruchomości (ujawnione i nie ujawnione na mapie), kolidują z realizacją zamierzonej inwestycji, nabywca będzie zobowiązany do ich przełożenia własnym kosztem i staraniem, w uzgodnieniu z jednostkami branżowymi i właścicielem sieci. Ponadto, nabywca przejmuje obowiązek usunięcia z nieruchomości ewentualnych użytkowników bezumownych.



Przebiegająca przez nieruchomość sieć wodociągowa stanowi własność Gminy Biskupiec. Nabywca jest zobowiązany, przy zawieraniu umowy notarialnej, do obciążenia nabywanej nieruchomości nieodpłatną służebnością przesyłu, na czas nieoznaczony, na rzecz Gminy Biskupiec i każdoczesnego przyszłego właściciela tej sieci, polegającą na prawie swobodnego dostępu do niej, celem wykonania czynności konserwacyjnych, eksploatacyjnych i naprawczych.



Dla przedmiotowej nieruchomości nie przeprowadzono badań geotechnicznych podłoża gruntowego. Sprzedający nie ponosi odpowiedzialności za złożone warunki geotechniczne gruntu.



Przetarg odbędzie się w dniu 4 grudnia 2025 roku o godz. 11:00 w Urzędzie Miejskim w Biskupcu przy ul. Aleja Niepodległości 2 (sala konferencyjna, I piętro, pok.16).



W przetargu mogą brać udział osoby, które w terminie do dnia 28 listopada 2025 roku, wpłacą na rachunek bankowy Urzędu Miejskiego w Biskupcu Nr 45 1020 3541 00005902 0260 8230 PKO Bank Polski S.A. wymagane wadium (w pieniądzu) w wysokości 76 000 zł (słownie: siedemdziesiąt sześć tysięcy złotych). Wadium powinno być wniesione z takim wyprzedzeniem, aby środki pieniężne znalazły się na rachunku bankowym Urzędu Miejskiego w Biskupcu najpóźniej w dniu 28 listopada 2025 roku –pod rygorem uznania, że warunek wpłaty wadium nie został spełniony.



Uczestnicy przetargu są zobowiązani przedstawić, na żądanie komisji przetargowej:

- aktualny dokument potwierdzający tożsamość,

- aktualny odpis z właściwego rejestru, jeżeli uczestnikiem jest osoba prawna,

- oryginał potwierdzenia wniesienia wadium.



Pełnomocnicy uczestników przetargu winni okazać komisji przetargowej stosowne pełnomocnictwo, z podpisem mocodawcy poświadczonym notarialnie.



O wysokości postąpienia decydują uczestnicy przetargu, z tym, że postąpienie nie może wynosić mniej niż 1% ceny wywoławczej z zaokrągleniem w górę do pełnych dziesiątek złotych. Jeżeli żaden z uczestników przetargu nie zaoferuje postąpienia ponad cenę wywoławczą, wówczas przetarg zakończy się wynikiem negatywnym.



Uczestnikowi przetargu, który przetarg wygra, wpłacone wadium zostanie zaliczone na poczet ceny nabycia nieruchomości. Uczestnikom przetargu, którzy go nie wygrają, wadium zostanie zwrócone niezwłocznie po zamknięciu lub odwołaniu przetargu, jednak nie później niż przed upływem 3 dni od dnia, odpowiednio: odwołania przetargu, zamknięcia przetargu, unieważnienia lub zakończenia przetargu wynikiem negatywnym.



Nabywca nieruchomości zostanie zawiadomiony o terminie i miejscu zawarcia umowy sprzedaży w ciągu 21 dni od dnia rozstrzygnięcia przetargu. Jeżeli osoba ustalona jako nabywca nieruchomości nie przystąpi bez usprawiedliwienia do zawarcia umowy w miejscu i terminie podanym w zawiadomieniu, organizator przetargu może odstąpić od zawarcia umowy, a wpłacone wadium nie podlega zwrotowi.



Zastrzega się prawo odwołania przetargu z uzasadnionej przyczyny.



Przetarg przeprowadzony zostanie w oparciu o przepisy rozporządzenia Rady Ministrów z dnia 14 września 2004r. w sprawie sposobu i trybu przeprowadzania przetargów oraz rokowań na zbycie nieruchomości (j.t. Dz.U. z 2021 r., poz. 2213). Terminy przeprowadzenia poprzednich przetargów: 13.05.2025 r. i 02.10.2025 r. Dodatkowe informacje w sprawie procedury przetargowej można uzyskać w Referacie Gospodarki Gruntami Komunalnymi Urzędu (pok.32, tel. 897150144).



Kontakt:
Urząd Miasta Biskupiec
tel: 89 715 01 44
[Email protected]


Ogłoszenie wysłane z programu dla biur nieruchomości ASARI CRM (asaricrm.com)



Lokalizacja
Biskupiec
warmińsko-mazurskie
Informacje
Numer oferty: 43239/3186/OGS
Kontakt
AMK Portal Sp. z o.o.
Urząd Miasta Biskupiec
89 715 01 44

Podobne oferty

 Biskupiec

Działka

Biskupiec

Wyciąg z ogłoszenia Burmistrza Biskupca (siedziba: 11-300 Biskupiec, ul. Aleja Niepodległości 2) o pierwszych przetargach ustnych nieograniczonych na zbycie niezabudowanych...

m2
166 000 zł
 Biskupiec   Czynu Społecznego

Działka

Biskupiec, Czynu Społecznego

Wyciąg z ogłoszenia Burmistrza Biskupca (siedziba: 11-300 Biskupiec, ul. Aleja Niepodległości 2) o pierwszym przetargu ustnym nieograniczonym na zbycie niezabudowanej...

m2
63 000 zł
 Biskupiec   Czynu Społecznego

Działka

Biskupiec, Czynu Społecznego

Wyciąg z ogłoszenia Burmistrza Biskupca (siedziba: 11-300 Biskupiec, ul. Aleja Niepodległości 2) o kolejnym przetargu ustnym nieograniczonym na zbycie niezabudowanej...

m2
50 000 zł