Działka

Żyrardów , Chmielna

Działka

220 000 zł

Treść ogłoszenia

PRZETARG GN.6840.23.2025.NP



Prezydent Miasta Żyrardowa ogłasza przetarg ustny nieograniczony na sprzedaż nieruchomości stanowiącej własność Gminy Miasto Żyrardów:



Poz. 1 – II przetarg (I przetarg – 29.04.2025)

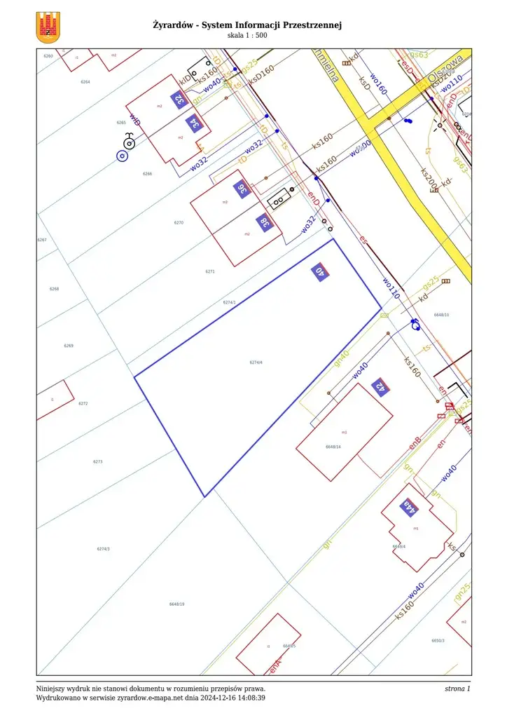
Adres i nr ewid. działki: ul. Chmielna, dz. ewid. 6274/4

Pow. działki: 1181 m²

Nr Księgi Wieczystej: PL1Z/00011213/8

Rodzaj sprzedawanego prawa: własność

Przeznaczenie nieruchomości: Zgodnie z mpzp – zabudowa mieszkaniowa jednorodzinna z dop. usług (symbol 6 MNu)

Opis nieruchomości: Nieruchomość niezabudowana i niezagospodarowana, częściowo ogrodzona, pokryta roślinnością, w kształcie regularnym, przypominającym trapez. Przez działkę przechodzi gruntowa, udeptana ścieżka, a wzdłuż granicy działki przebiega rów odwadniający.

Cena wywoławcza: 220 000,00 zł

Wadium: 22 000,00 zł

Wymagane postąpienie: 2 500,00 zł
VAT: 23%



Do ceny wylicytowanej w przetargu zostanie doliczony podatek od towarów i usług (VAT 23 %)

Przetarg odbędzie się w Centrum Kultury w Żyrardowie, Plac Jana Pawła II nr 3, w dniu 22 lipca 2025 roku (tj. wtorek), o godz. 11:00.

Wadium w podanej wysokości należy wpłacić do 17 lipca 2025 roku przelewem na konto: Miasto Żyrardów, ul. B. Limanowskiego 44, 96-300 Żyrardów, Bank PKO Bank Polski, Nr 57 1020 1026 0000 1502 0274 1171.

W tytule przelewu należy podać adres i nr ewid. działki oraz wymienić osoby, które będą nabywały nieruchomość. Wpłata wadium za pośrednictwem poczty lub banków winna być dokonana z takim wyprzedzeniem, aby wyżej wymieniona kwota wpłynęła na konto Miasta Żyrardowa w określonym wyżej terminie tj. najpóźniej w dniu 17 lipca 2025 r. Wadium wniesione przez uczestnika przetargu, który wygra przetarg, zalicza się na poczet ceny nabycia nieruchomości. Pozostałym uczestnikom wadium zwraca się w terminie 3 dni od daty zamknięcia przetargu.

Cenę nabycia uzyskaną w przetargu za nabytą nieruchomość, pomniejszoną o wpłacone wadium, należy uregulować jednorazowo przed podpisaniem umowy sprzedaży na konto Miasta Żyrardowa. Za datę zapłaty uważa się wpływ wymaganej należności na rachunek Urzędu.

Osoby przystępujące do przetargu muszą przedłożyć komisji przetargowej: dowód wpłaty wadium, dowód tożsamości, a firmy lub spółki dodatkowo aktualny odpis z rejestru sądowego lub zaświadczenie o prowadzeniu działalności gospodarczej. Uczestnicy mogą brać udział w przetargu osobiście lub przez pełnomocnika. W przypadku reprezentowania osoby fizycznej lub osoby prawnej przez pełnomocnika należy przedłożyć pełnomocnictwo w formie pisemnej, z notarialnie poświadczonym podpisem mocodawcy. Małżonkowie biorą udział w przetargu osobiście lub okazując pełnomocnictwo współmałżonka (pełnomocnictwo do czynności przetargowych wymaga formy pisemnej). Jeżeli osoba ustalona jako nabywca nieruchomości nie przystąpi bez usprawiedliwienia do zawarcia umowy notarialnej w miejscu i w terminie podanym w zawiadomieniu, Prezydent Miasta Żyrardowa może odstąpić od zawarcia umowy a wpłacone wadium nie podlega zwrotowi.

Bliższych informacji udziela Wydział Gospodarki Nieruchomościami Urzędu Miasta Żyrardowa (budynek przy ul. Bolesława Limanowskiego 44, 96-300 Żyrardów, pok. 2.16, II piętro), tel. 46 880 06 25 lub 46 880 06 21





ul. Chmielna (dz. ewid. 6274/4), pow. 1181 m²

Opis:

Nieruchomość niezabudowana i niezagospodarowana, częściowo ogrodzona, pokryta roślinnością, w kształcie regularnym, przypominającym trapez. Działka położona jest w pośredniej strefie miasta w południowo – wschodniej części Żyrardowa. W bezpośrednim sąsiedztwie nieruchomości znajdują się działki zabudowane budynkami jednorodzinnymi oraz grunty niezabudowane. Działka posiada bezpośredni dostęp do drogi publicznej – ul. Chmielnej. Przez działkę przechodzi gruntowa, udeptana ścieżka oraz przebiega rów odwadniający. W odległości ok. 550 m przebiega droga wojewódzka nr 719 relacji
Warszawa – Skierniewice (ul. Jaktorowska). W ul. Chmielnej dostępna infrastruktura techniczna: en. el., wod.-kan., gaz.



Przeznaczenie:

Zgodnie z miejscowym planem zagospodarowania przestrzennego miasta Żyrardowa, zatwierdzonym Uchwałą XXXVIII/257/17 Rady Miasta Żyrardowa z dnia 26 stycznia 2017 r. – teren zabudowy mieszkaniowej jednorodzinnej z dopuszczeniem usług (symbol 6 MNu).






Kontakt:
Urząd Miasta Żyrardów
tel: 46 880 06 25
[Email protected]


Ogłoszenie wysłane z programu dla biur nieruchomości ASARI CRM (asaricrm.com)



Lokalizacja
Żyrardów
mazowieckie
Informacje
Numer oferty: 42222/3186/OGS
Kontakt
AMK Portal Sp. z o.o.
Urząd Miasta Żyrardów
46 880 06 25

Podobne oferty

 Żyrardów   Opolska

Działka

Żyrardów, Opolska

PRZETARG GN.6840.49.2024.NP Prezydent Miasta Żyrardowa ogłasza przetarg ustny nieograniczony na sprzedaż nieruchomości stanowiącej własność Gminy Miasto Żyrardów: Poz. 1 –...

m2
799 000 zł
 Żyrardów   1 Maja

Działka zabudowana budynkami

Żyrardów, 1 Maja

PRZETARG GN.6840.56.2024.NP Prezydent Miasta Żyrardowa ogłasza przetarg ustny nieograniczony na sprzedaż nieruchomości stanowiących własność Gminy Miasto Żyrardów: Poz. 1 –...

m2
515 000 zł
 Żyrardów   Młyńska

Działka

Żyrardów, Młyńska

PRZETARG GN.6840.32.2025.NP Prezydent Miasta Żyrardowa ogłasza przetarg ustny nieograniczony na sprzedaż nieruchomości stanowiących własność Gminy Miasto Żyrardów: Poz. 1 –...

m2
326 000 zł