Działka

Biskupiec-kolonia trzecia

Działka

2 630 000 zł

Treść ogłoszenia

Wyciąg z ogłoszenia Burmistrza Biskupca (siedziba: 11-300 Biskupiec, ul. Aleja Niepodległości 2) o pierwszym ustnym nieograniczonym na zbycie niezabudowanej nieruchomości gruntowej, stanowiącej własność Gminy Biskupiec.



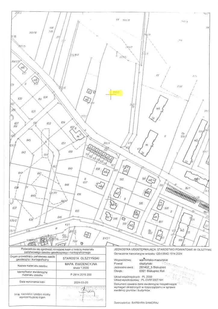
1. Oznaczenie nieruchomości wg księgi wieczystej i katastru nieruchomości, powierzchnia nieruchomości.

Księga wieczysta nr OL1B/00015848/4, działka nr 551/2 o powierzchni 1,1832 ha, położona w Biskupcu-Kolonii Trzeciej przy ul. Ludowej (obręb 1 Biskupiec Kol).


2. Forma zbycia.

Sprzedaż


3. Przeznaczenie w miejscowym planie zagospodarowania przestrzennego.

Tereny zabudowy mieszkaniowej wielorodzinnej z usługami, oznaczone w miejscowym planie zagospodarowania przestrzennego symbolem 1.MWU-01.


3. Cena wywoławcza.

2 630 000 zł (słownie: dwa miliony sześćset trzydzieści tysięcy złotych). Cena zawiera podatek VAT w wysokości 23%



4. Termin i miejsce przetargu.

2 października 2025 r., godz. 10:00, siedziba Urzędu Miejskiego w Biskupcu; adres: ul. Aleja Niepodległości 2, 11-300 Biskupiec, pokój nr 16 (I piętro, sala konferencyjna)


5. Wysokość wadium.

520 000 zł (słownie: pięćset dwadzieścia tysięcy złotych).


6. Miejsce wywieszenia i publikacji ogłoszenia o przetargu.

Tablica ogłoszeń: w siedzibie Urzędu Miejskiego w Biskupcu, strona internetowa Urzędu www.biskupiec.pl, Biuletyn Informacji Publicznej www.bip.biskupiec.pl oraz serwis www.monitorurzedowy.pl

7.

Dane teleadresowe, pod którymi można uzyskać szczegółowe informacje dotyczące przetargu.

Referat Gospodarki Gruntami Komunalnymi Urzędu: tel. 897150144



Pełny tekst ogłoszenia o przetargu


Burmistrz Biskupca

ogłasza

pierwszy przetarg ustny nieograniczony

na sprzedaż niezabudowanej nieruchomości gruntowej, stanowiącej własność Gminy Biskupiec, dla której Sąd Rejonowy w Biskupcu prowadzi księgę wieczystą numer OL1B/00015848/4, położonej Biskupcu-Kolonii Trzeciej przy ul. Ludowej (obręb 1 Biskupiec Kol.), oznaczonej numerem działki 551/2 powierzchni 1,1832 ha (oznaczenie wg użytków i klasy gruntów: RVI). Nieruchomość położona jest w terenie z dostępem do elementów sieci: energetycznej, wodociągowej, kanalizacyjnej, gazowej i telekomunikacyjnej. Ukształtowanie terenu nieco urozmaicone (teren pofalowany, w części ze skarpami), kształt działki nieregularny.



Cena wywoławcza 2 630 000 zł

(słownie: dwa miliony sześćset trzydzieści tysięcy złotych)



Cena wywoławcza nieruchomości zawiera podatek VAT w wysokości 23%. Cena nieruchomości, uzyskana w przetargu, podlega zapłacie przed zawarciem umowy notarialnej (przenoszącej własność nieruchomości). Osoba ustalona na nabywcę nieruchomości ponosi ponadto koszty notarialne i sądowe. Ewentualne wznowienie granic nieruchomości na zlecenie i koszt nabywcy.

Zagospodarowanie nieruchomości – zgodnie z planem zagospodarowania przestrzennego. W obowiązującym miejscowym planie zagospodarowania przestrzennego zatwierdzonym Uchwałą Nr LIX/333/2022 Rady Miejskiej w Biskupcu z dnia 13.12.2022 r. w sprawie uchwalenia zmian miejscowego planu zagospodarowania przestrzennego miasta Biskupiec (Dz.Urz.Woj.Warm.-Maz. z dnia 09.01.2023 r., poz.171) nieruchomość położona jest w terenie oznaczonym na rysunku planu symbolem 1.MWU-01 i przeznaczonym na tereny zabudowy mieszkaniowej wielorodzinnej z usługami (realizacja usług wbudowanych w budynki mieszkalne na poziomie parteru lub w obiektach wolnostojących; zakaz realizacji usług uciążliwych; maksymalna ilość kondygnacji nadziemnych budynku mieszkalnego wielorodzinnego, dla budynku mieszkalnego wielorodzinnego z usługami, dla budynku usługowego – 4). Obszar objęty planem zlokalizowany jest w zasięgu Głównego Zbiornika Wód Podziemnych GZWP Biskupiec 208. Szczegółowe informacje dotyczące zapisów planu zagospodarowania przestrzennego oraz obiektów znajdujących się w gminnej ewidencji zabytków można uzyskać w Referacie Budownictwa i Spraw Lokalowych Urzędu, pod numerami telefonów: 897150115 i 897150138.



Sprzedaż nieruchomości następuje według danych zawartych w ewidencji gruntów i budynków oraz w aktualnym stanie zagospodarowania (nieruchomość nie ma urządzonego zjazdu z drogi gminnej, ul.Ludowej - uzyskanie stosownego zezwolenia na lokalizację zjazdu i budowa zjazdu leży w gestii nabywcy). W przypadku ewentualnego wznowienia granic, wykonanego na koszt i staraniem nabywcy, sprzedający nie bierze odpowiedzialności za ewentualnie wynikłe różnice. Publiczne dane z zasobu geodezyjnego i kartograficznego, obejmującego powiat olsztyński (Geoportal Powiatu Olsztyńskiego), dostępne są pod adresem internetowym: https://powiatolsztynski.geoportal2.pl (wg tych danych na działce, przy granicy z działką nr 277/2, znajduje się osadnik, szambo, obsługujące budynek znajdujący się na działce nr 277/2).



Nabywca jest zobowiązany do udostępnienia nieruchomości osobom i jednostkom zobowiązanym do wykonania czynności związanych z eksploatacją sieci nadziemnych i podziemnych oraz urządzeń występujących na gruncie. W przypadku, gdy przebiegające sieci nadziemne i podziemne lub urządzenia występujące na terenie nieruchomości (ujawnione i nie ujawnione na mapie), kolidują z realizacją zamierzonej inwestycji, nabywca będzie zobowiązany do ich przełożenia własnym kosztem i staraniem, w uzgodnieniu z jednostkami branżowymi i właścicielem sieci. Ponadto, nabywca przejmuje obowiązek usunięcia z nieruchomości ewentualnych użytkowników bezumownych.



Dla przedmiotowej nieruchomości nie przeprowadzono badań geotechnicznych podłoża gruntowego. Sprzedający nie ponosi odpowiedzialności za złożone warunki geotechniczne gruntu.



W księdze wieczystej nr OL1B/00015848/4, prowadzonej między innymi dla działki nr 551/2, są wpisane służebności przesyłu, które nie są wykonywane na ww. działce: na rzecz Polskiej Spółki Gazownictwa Sp. z o.o. z siedzibą w Tarnowie (przedmiot wykonywania: dz.nr 388) i Energa - Operator S.A. z siedzibą w Gdańsku (przedmiot wykonywania: działki: nr 476 i nr 472). Nieruchomość nie jest przedmiotem innych obciążeń i zobowiązań na rzecz osób trzecich.



Przetarg odbędzie się w dniu 2 października 2025 roku o godz. 10:00 w Urzędzie Miejskim w Biskupcu przy ul. Aleja Niepodległości 2 (sala konferencyjna, I piętro, pok.16).



W przetargu mogą brać udział osoby, które w terminie do dnia 26 września 2025 roku, wpłacą na rachunek bankowy Urzędu Miejskiego w Biskupcu Nr 45 1020 3541 00005902 0260 8230 PKO Bank Polski S.A. wymagane wadium (w pieniądzu) w wysokości 520 000 zł (słownie: pięćset dwadzieścia tysięcy złotych). Wadium powinno być wniesione z takim wyprzedzeniem, aby środki pieniężne znalazły się na rachunku bankowym Urzędu Miejskiego w Biskupcu najpóźniej w dniu 26 września 2025 roku – pod rygorem uznania, że warunek wpłaty wadium nie został spełniony.



Uczestnicy przetargu są zobowiązani przedstawić, na żądanie komisji przetargowej:

- aktualny dokument potwierdzający tożsamość,

- aktualny odpis z właściwego rejestru, jeżeli uczestnikiem jest osoba prawna,

- oryginał potwierdzenia wniesienia wadium.



Pełnomocnicy uczestników przetargu winni okazać komisji przetargowej stosowne pełnomocnictwo, z podpisem mocodawcy poświadczonym notarialnie.



O wysokości postąpienia decydują uczestnicy przetargu, z tym, że postąpienie nie może wynosić mniej niż 1% ceny wywoławczej z zaokrągleniem w górę do pełnych dziesiątek złotych. Jeżeli żaden z uczestników przetargu nie zaoferuje postąpienia ponad cenę wywoławczą, wówczas przetarg zakończy się wynikiem negatywnym.



Uczestnikowi przetargu, który przetarg wygra, wpłacone wadium zostanie zaliczone na poczet ceny nabycia nieruchomości. Uczestnikom przetargu, którzy go nie wygrają, wadium zostanie zwrócone niezwłocznie po zamknięciu lub odwołaniu przetargu, jednak nie później niż przed upływem 3 dni od dnia, odpowiednio: odwołania przetargu, zamknięcia przetargu, unieważnienia lub zakończenia przetargu wynikiem negatywnym.



Nabywca nieruchomości zostanie zawiadomiony o terminie i miejscu zawarcia umowy sprzedaży w ciągu 21 dni od dnia rozstrzygnięcia przetargu. Jeżeli osoba ustalona jako nabywca nieruchomości nie przystąpi bez usprawiedliwienia do zawarcia umowy w miejscu i terminie podanym w zawiadomieniu, organizator przetargu może odstąpić od zawarcia umowy, a wpłacone wadium nie podlega zwrotowi.



Zastrzega się prawo odwołania przetargu z uzasadnionej przyczyny.



Przetarg przeprowadzony zostanie w oparciu o przepisy rozporządzenia Rady Ministrów z dnia 14 września 2004r. w sprawie sposobu i trybu przeprowadzania przetargów oraz rokowań na zbycie nieruchomości (j.t. Dz.U. z 2021 r., poz. 2213). Dodatkowe informacje w sprawie procedury przetargowej można uzyskać w Referacie Gospodarki Gruntami Komunalnymi Urzędu (pok.32, tel. 897150144).



Kontakt:
Urząd Miasta Biskupiec
tel: 89 715 01 44
[Email protected]


Ogłoszenie wysłane z programu dla biur nieruchomości ASARI CRM (asaricrm.com)



Lokalizacja
Biskupiec-kolonia trzecia
warmińsko-mazurskie
Informacje
Numer oferty: 42481/3186/OGS
Kontakt
AMK Portal Sp. z o.o.
Urząd Miasta Biskupiec
89 715 01 44