Działka

Wańkowa

Działka

71 984 zł

Treść ogłoszenia

Olszanica, 06.08.2025 r.

WÓJT GMINY OLSZANICA

Sygn. akt: RRG.6840.5.2025.JM



W ÓJT GMINY OLSZANICA

ogłasza pierwszy przetarg ustny nieograniczony na sprzedaż niezabudowanej nieruchomości gruntowej, stanowiącej własność Gminy Olszanica, położonej na terenie gminy Olszanica.



Lp.

Oznaczenie

Treść



1. Oznaczenie nieruchomości według katastru nieruchomości

woj. podkarpackie, powiat leski, gmina Olszanica,

miejscowość Wańkowa, obręb 0007 Wańkowa,
nieruchomość - działka oznaczona ew. nr: 212/4



2. Oznaczenie nieruchomości według księgi wieczystej

KS1E/00020682/7



3. Powierzchnia nieruchomości /łączna/

0,3405ha



4. Opis nieruchomości

Nieruchomość – działka usytuowana jest na terenie gminy Olszanica, w miejscowości Wańkowa, po prawej stronie drogi powiatowej, jadąc w kierunku Ropienki, w zurbanizowanej części miejscowości, obok budynku Świetlicy Wiejskiej. Nieruchomość – działka o regularnych kształtach.

Nieruchomość – działka jest niezainwestowana – niezabudowana, porośnięta roślinnością łąkową.

Nad działką przebiega przewód telekomunikacyjny.

Dojazd: nieruchomość - działka posiada prawny dostęp do drogi publicznej gminnej, oznaczonej ew. nr 216, własności Gminy Olszanica – na warunkach dotychczasowych.



5. Obciążenia i zobowiązania

W dziale III księgi wieczystej nr KS1E/00020682/7 widnieje następujący wpis dotyczący ograniczonego prawa rzeczowego związany ze sprzedawaną nieruchomością:

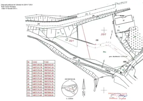
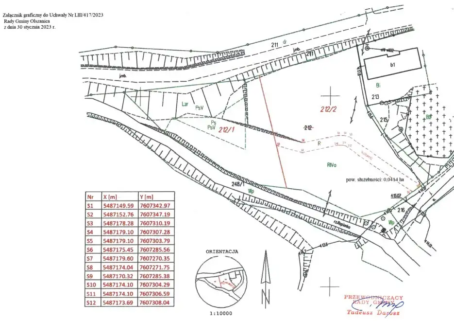
ODPŁATNA ZA JEDNORAZOWYM WYNAGRODZENIEM NIEOGRANICZONA W CZASIE SŁUŻEBNOŚĆ GRUNTOWA POLEGAJĄCA NA PRAWIE PRZEJAZDU I PRZECHODU PRZEZ DZIAŁKI NR 212/3 I 212/4 PASEM O SZEROKOŚCI 5 METRÓW ZAZNACZONYM LINIĄ PRZERYWANĄ KOLORU CZERWONEGO NA MAPIE STANOWIĄCEJ ZAŁĄCZNIK GRAFICZNY DO UCHWAŁY NR LIII/417/2023 RADY GMINY OLSZANICA Z DNIA 30.01.2023 R. NA RZECZ KAŻDOCZESNYCH WIECZYSTYCH UŻYTKOWNIKÓW I WŁAŚCICIELI DZIAŁKI NUMER 212/1 (W CELU DOSTĘPU DO DROGI GMINNEJ OZNACZONEJ NUMEREM EWIDENCYJNYM 216).

Nieruchomości nie obciążają długi.

Nieruchomość – działka nie graniczy z nieruchomościami oddanymi w trwały zarząd na cele obronności i bezpieczeństwa państwa, o których mowa w art. 19 ustawy o gospodarce nieruchomościami, a także nie stanowi gruntów pod śródlądowymi wodami stojącymi, o których mowa w art. 217 ustawy Prawo wodne.

Prawo pierwokupu przysługuje Krajowemu Ośrodkowi Wsparcia Rolnictwa działającemu na rzecz Skarbu Państwa [art. 3 ust. 4 ustawy z dnia 11 kwietnia 2003 r. o kształtowaniu ustroju rolnego tj. Dz. U. 2024.423, z późn. zm)].



6. Przeznaczenie nieruchomości i sposób zagospodarowania

Przedmiotowa nieruchomość - działka położona jest na obszarze, dla którego brak jest aktualnie obowiązującego miejscowego planu zagospodarowania przestrzennego.

Na przedmiotową nieruchomość – działkę, nie zostały wydane decyzje o warunkach zabudowy.


Dla przedmiotowej nieruchomości – działki występuje prawna okoliczność mogąca spowodować ograniczenie w korzystaniu z niej, z uwagi na jej sąsiedztwo z pobliskim cmentarzem, zlokalizowanym na działce oznaczonej ew. nr 215 w m. Wańkowa

/ § 3. rozporządzenia Ministra Gospodarki Komunalnej z dnia 25 sierpnia 1959 r. w sprawie określenia, jakie tereny pod względem sanitarnym są odpowiednie na cmentarze,
cyt.: „Odległość cmentarza od zabudowań mieszkalnych, od zakładów produkujących artykuły żywności, zakładów żywienia zbiorowego bądź zakładów przechowujących artykuły żywności oraz studzien, źródeł i strumieni, służących do czerpania wody do picia i potrzeb gospodarczych, powinna wynosić co najmniej 150 m; odległość ta może być zmniejszona do 50 m pod warunkiem, że teren w granicach od 50 do 150 m odległości od cmentarza posiada sieć wodociągową i wszystkie budynki korzystające z wody są do tej sieci podłączone” /.

Przedmiotowa nieruchomość - działka nie jest położona w obszarze rewitalizacji i nie leży w specjalnej strefie ekonomicznej.

Na podstawie użytku gruntowego wykazanego w ewidencji gruntów, nieruchomość - działka stanowi grunt rolny (RIVa).

Nieruchomość - działka, nie podlega zalesieniu i nie znajduje się w uproszczonym planie urządzenia lasu.



7. Termin do złożenia wniosku przez osoby, którym przysługuje pierwszeństwo w nabyciu nieruchomości na podstawie art. 34 ust. 1 pkt 1 i pkt 2.

Termin do złożenia wniosku przez osoby, którym przysługuje pierwszeństwo w nabyciu nieruchomości na podstawie art. 34 ust 1 pkt 1 i 2 ustawy z dnia 21 sierpnia 1997 r. o gospodarce nieruchomościami (tj. Dz. U. 2024. 1145, z późn. zm.), upłynął w dniu 28.07.2025 r.



8. Informacja o przeznaczeniu nieruchomości do zbycia

Zbycie w formie przetargu ustnego nieograniczonego.

/Ogłoszenie sporządzono w oparciu o uchwałę
Nr XIV/98/2025 Rady Gminy Olszanica z dnia 9 czerwca 2025 r. /



9. Cena wywoławcza / w złotych /

71.984,00 zł.

/słownie: siedemdziesiąt jeden tysięcy dziewięćset osiemdziesiąt cztery złote zero groszy/,

zw. z podatku VAT.



10. Wysokość wadium / w złotych /

7.000,00 zł.

/słownie: siedem tysięcy złotych zero groszy/



11. Wysokość minimalnego postąpienia

Wysokość minimalnego postąpienia wynosi 1% ceny wywoławczej, z zaokrągleniem w górę do pełnych dziesiątek złotych – 10,00 zł. /słownie: dziesięć złotych zero groszy/.



Przetarg odbędzie się w dniu 18 września 2025 r. (czwartek) o godz. 10:00

w sali nr 1 Urzędu Gminy Olszanica, 38-722 Olszanica 81 – parter



1. Warunkiem przystąpienia do przetargu jest:

a) wpłata wadium w pieniądzu, przelewem do dnia 12 września 2025 r., na konto bankowe:

Santander Bank Polska Nr 13 1090 2590 0000 0001 5625 3668

z podaniem miejscowości i numeru nieruchomości, której dotyczy.

Za chwilę wniesienia wadium uważa się dzień wpływu środków na powyższe konto.



b) okazanie dokumentu umożliwiającego stwierdzenie tożsamości osoby:

- osoba fizyczna obowiązana jest przedstawić w dniu przetargu dokument tożsamości, oraz pełnomocnictwo szczególne w oryginale (sporządzone w formie aktu notarialnego), w przypadku gdy działa w imieniu nabywcy;

- osoby prawne obowiązane są przedstawić w dniu przetargu dokument tożsamości oraz pełnomocnictwo szczególne w oryginale (sporządzone w formie aktu notarialnego).

1a. Przystępując do przetargu, należy okazać dowód wpłaty wadium.

2. Wadium wpłacone przez osobę, która wygra przetarg zaliczone zostanie na poczet ceny nabycia, a pozostałym uczestnikom zwraca się niezwłocznie, jednak nie później niż 3 dni robocze od dnia, odpowiednio:

a) odwołania przetargu;

b) zamknięcia przetargu;

c) unieważnienia przetargu;

d) zakończenia przetargu wynikiem negatywnym.


3. Wadium ulega przepadkowi w razie uchylania się uczestnika, który wygrał przetarg od zawarcia umowy notarialnej.

4. Kwotę wylicytowaną w przetargu (pomniejszoną o wpłacone wadium) należy wpłacić na konto bankowe Urzędu Gminy Olszanica nr 67 1090 2590 0000 0001 5625 3666 - do dnia zawarcia aktu notarialnego, w sposób określony w protokole z przetargu. Za chwilę wniesienia wpłaty uważa się dzień wpływu środków na powyższe konto.

5. Wygrywający przetarg zobowiązany jest do poniesienia kosztów związanych z nabyciem ww. nieruchomości tj. m.in. zawarciem aktu notarialnego, wpisu prawa własności w księdze wieczystej.

6. Przetarg jest ważny bez względu na liczbę uczestników, jeżeli chociaż jeden uczestnik zaoferował co najmniej jedno postąpienie powyżej ceny wywoławczej.

7. W przetargu nie mogą uczestniczyć osoby wchodzące w skład komisji przetargowej oraz osoby bliskie tym osobom.

8. Zastrzega się prawo odwołania lub unieważnienia przetargu, z ważnych powodów, podając przyczynę odwołania lub unieważnienia do publicznej wiadomości.

9. Przetarg może być odwołany zgodnie z art. 38 ust.4 ustawy z dnia 21 sierpnia 1997 r. o gospodarce nieruchomościami ( tj. Dz. U. 2024.1145, ze zm.).

10. Sprzedający powiadomi wygrywającego przetarg o miejscu i terminie zawarcia aktu notarialnego w ciągu 21 dni od daty rozstrzygnięcia przetargu.

11. Szczegółowe informacje uzyskać można w Urzędzie Gminy Olszanica, 38-722 Olszanica 81, w pokoju nr 27 lub pod numerem telefonu 13 461 70 45 wew. 6, w godz. 7:30 – 15:30.



Ogłoszenie o przetargu podaje się do publicznej wiadomości poprzez zamieszczenie informacji na tablicach ogłoszeń w siedzibie Urzędu Gminy Olszanica, 38-722 Olszanica 81, a także na tablicach ogłoszeń w miejscowości Wańkowa, oraz opublikowanie w Biuletynie Informacji Publicznej Urzędu Gminy Olszanica www.bip.olszanica.pl. Informację o wywieszeniu ogłoszenia podano również do publicznej wiadomości poprzez publikację ogłoszenia na stronie internetowej Monitor Urzędowy www.monitorurzedowy.pl.



Olszanica, dnia 06.08.2025 r.



WÓJT GMINY OLSZANICA

mgr inż. Krzysztof Zapała



LOKALIZACJA NIERUCHOMŚCI

LOKALIZACJA SŁUŻEBNOŚCI GRUNTOWEJ



Kontakt:
Urząd Gminy Olszanica
tel: 13 461 70 45 wew. 6
[Email protected]


Ogłoszenie wysłane z programu dla biur nieruchomości ASARI CRM (asaricrm.com)



Lokalizacja
Wańkowa
podkarpackie
Informacje
Numer oferty: 42564/3186/OGS
Kontakt
AMK Portal Sp. z o.o.
Urząd Gminy Olszanica
13 461 70 45 wew. 6