Przetarg - ul. Długa

Kwidzyn , Długa

Działka

1 500 000 zł

Treść ogłoszenia

Wyciąg z ogłoszenia o przetargu



Burmistrz Miasta Kwidzyna

ogłasza drugi przetarg ustny nieograniczony na sprzedaż nieruchomości gruntowej, niezabudowanej

określonej poniżej:


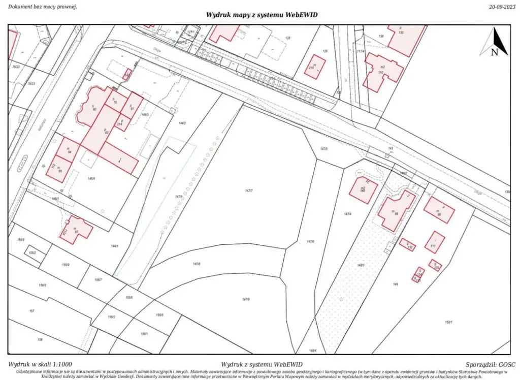
Lp. 1

Położenie nieruchomości
Długa

Nr działki
147/7

Pow. w m²
3865

Nr księgi wieczystej
GD1I/00039686/9

Przeznaczenie nieruchomości
komercyjne

Cena wywoławcza netto
1 500 000 zł

Wadium
230 000 zł



1. Termin i miejsce przetargu: 12.12.2025 r. o godz. 10:00, pok. nr 207 w siedzibie Urzędu Miejskiego w Kwidzynie przy ul. Warszawskiej 19.


2. Wadium należy wnieść do dnia 08.12.2025 r., w pieniądzu (PLN) na konto Urzędu Miejskiego w Kwidzynie w Powiślańskim Banku Spółdzielczym w Kwidzynie Nr 11 8300 0009 0008 2107 2000 0040. Datą wpłaty jest dzień w którym środki znajdują się wskazanym powyżej koncie.


3. Minimalna wysokość postąpienia wynosi 1%. Do ceny sprzedaży (netto) ustalonej w wyniku przetargu, zostanie doliczony podatek VAT zgodnie z obowiązującymi przepisami ustawy o podatku od towarów i usług


4. Informacja o miejscu wywieszenia i publikacji ogłoszenia o przetargów: tablica ogłoszeń w siedzibie Urzędu Miejskiego w Kwidzynie przy ul. Warszawskiej 19 oraz Internet – strona www.bip.kwidzyn.pl, www.kwidzyn.pl.


5. Dane teleadresowe, pod którymi można uzyskać informacje: Zespół ds. Mienia Komunalnego i Geodezji Urzędu Miejskiego w Kwidzynie, tel. 55 646-47-17, 55 646-47-65.



Kwidzyn, dnia 09.10.2025 r.



Kontakt:
Urząd Miejski w Kwidzynie
tel: 55 646 47 17
[Email protected]


Ogłoszenie wysłane z programu dla biur nieruchomości ASARI CRM (asaricrm.com)



Lokalizacja
Kwidzyn
pomorskie
Informacje
Numer oferty: 43368/3186/OGS
Kontakt
AMK Portal Sp. z o.o.
Urząd Miejski w Kwidzynie
55 646 47 17

Podobne oferty

 Kwidzyn   Graniczna

Działka

Kwidzyn, Graniczna

Wyciąg z ogłoszenia o przetargu Burmistrz Miasta Kwidzyna ogłasza przetargi na sprzedaż niezabudowanych nieruchomości gruntowych, wyszczególnionych poniżej: 1. Oznaczenie i...

m2
110 000 zł
 Kwidzyn   Długa

Przetarg

Kwidzyn, Długa

Wyciąg z ogłoszenia o przetargu Burmistrz Miasta Kwidzyna ogłasza przetargi na sprzedaż niezabudowanych nieruchomości gruntowych, wyszczególnionych poniżej: 1. Oznaczenie i...

m2
1 159 500 zł
 Kwidzyn   Lotnicza

Działka

Kwidzyn, Lotnicza

Wyciągi z ogłoszeń o przetargach Burmistrz Miasta Kwidzyna ogłasza przetargi ustne nieograniczone na sprzedaż nieruchomości gruntowych, niezabudowanych wyszczególnionych poniżej: Lp....

m2
249 800 zł