Mochle gm. Sicienko 4400m² ściana lasu

Mochle

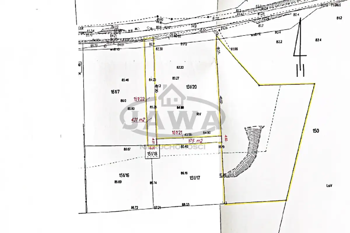
Działka
4394 m2

439 000 zł

Treść ogłoszenia

Zapraszam do zapoznania się z ofertą sprzedaży działki położonej w  miejscowości Mochle w gminie Sicienko.

Nieruchomość położona jest przy ulicy Rubinowej na skraju miejscowości pośród nielicznej zabudowy jednorodzinnej.

Dojazd do działki to głównie droga asfaltowa, jedynie droga wewnętrzna to droga gruntowa.
Nieruchomość jest bardzo dobrze skomunikowana jeżeli chodzi o dojazd do obwodnicy S5 lub dojazd do Bydgoszczy.

Urokliwa działka o nieregularnym kształcie i powierzchni 4400 m² jest częściowo zalesiona samosiejkami drzew iglastych oraz młodymi brzozami. Dodatkowo nieruchomość graniczy z lasem od strony wschodniej oraz częściowo od północy. Teren działki jest lekko nachylony a ponad to znajduje się tam mała skarpa

W drodze wewnętrznej znajdują się takie media jak: woda, prąd, gaz, a łącze światłowodowe jest w projekcie.

Wraz z główną działką nowy właściciel zakupuje drogę dojazdową do działki oraz drogę wewnętrzną, na której wpisana jest służebność dojazdu do innych nieruchomości. W tym przypadku cena nieruchomości nie jest podwyższana.

Zakup tylko przez klienta gotówkowego.

Klasa ziemi RIVa, RV.

Cena podlega negocjacji.

Zapraszam na prezentację.
Marcin Voss 571 510 303


Powyższy opis sporządzany jest na podstawie oględzin nieruchomości oraz informacji uzyskanych od właściciela. Podlega aktualizacji i nie stanowi oferty handlowej w rozumieniu art. 66 §1 Kodeksu Cywilnego.
Lokalizacja
Mochle
kujawsko-pomorskie
Informacje
Powierzchnia: 4394 m2
Numer oferty: JAW513117
Ogrodzenie
brak
Dojazd
asfalt
Kontakt
JAWA Nieruchomości
Marcin Voss
571 510 303