Przetarg - obręb Mieroszów 1

Mieroszów

Działka

66 300 zł

Treść ogłoszenia

BURMISTRZ MIEROSZOWA

ogłasza przetargi na sprzedaż nieruchomości niezabudowanych



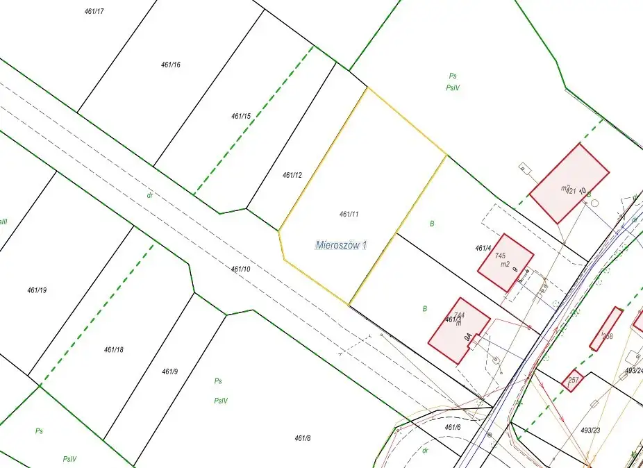
1. pierwszy przetarg ustny nieograniczony na sprzedaż nieruchomości gruntowej bez zabudowań, położonej w obrębie Mieroszów 1 działka nr 461/11 o powierzchni 0,1188 ha.

Nieruchomość gruntowa niezabudowana o powierzchni 0,1188 ha, położona w obrębie Mieroszów 1. Działka nr 461/11 jest niezabudowana i aktualnie stanowi grunt porolny pozostawiony przez kilka lat bez ingerencji człowieka, który zarósł ekspansywnymi gatunkami traw i chwastów. Działka gruntowa o kształcie prostokąta z zachowaną proporcją długości boków, teren o lekkim spadku w kierunku ulicy Wysokiej, z większym zagłębieniem w środkowej części działki i przy granicy z działką numer 461/3. We wspomnianym zagłębieniu terenu po obfitych opadach deszczu i w czasie wiosennych roztopów spływa woda i obszar ten staje się bardzo podmokły. Nieruchomość położona w sąsiedztwie terenów uzbrojonych (bez sieci gazowej), aktualnie działka nie jest uzbrojona. Dojazd i dostęp do nieruchomości poprzez jeszcze nieurządzoną działkę drogową nr 461/10, bezpośrednio z wąskiej ulicy Wysokiej.

Zgodnie z miejscowym planem zagospodarowania przestrzennego miasta i gminy Mieroszów teren obejmujący nieruchomość oznaczony jest symbolem MN – tereny przeznaczone dla zabudowy jednorodzinnej oraz znajduje się w strefie „K” ochrony krajobrazu.

Użytek gruntowy: Ps IV – 0,1188 ha.

Nieruchomość ma założoną księgę wieczystą KW NR SW1W/00003113/5.

Nieruchomość jest wolna od roszczeń i praw osób trzecich.



Informacje o przetargu:

• Cena wywoławcza 66.300 zł

• Do wylicytowanej ceny zostanie doliczony należny podatek VAT w wysokości 23%

• Wadium w wysokości 6.700 zł




2. pierwszy przetarg ustny nieograniczony na sprzedaż nieruchomości gruntowej bez zabudowań, położonej w obrębie Mieroszów 1 działka nr 571/1 o powierzchni 0,1146 ha.

Nieruchomość gruntowa o powierzchni 0,1146 ha, położona w obrębie Mieroszów 1. Działka nr 571/1 jest niezabudowana i aktualnie stanowi pastwisko. Działka gruntowa o kształcie prostokąta z zachowaną proporcją długości boków, teren o bardzo lekkim spadku w kierunku północno – wschodnim i ulicy Wysokiej. Nieruchomość położona w odległości około 140 m od terenów uzbrojonych (bez sieci gazowej). Aktualnie działka nie jest uzbrojona, w pasie wydzielonej geodezyjnie ulicy (działka 461/10) zaprojektowana jest sieć wodno - kanalizacyjna.

Nieruchomość położona przy wydzielonej geodezyjnie, ale jeszcze nie wykonanej ulicy o charakterze osiedlowym. Usytuowana jest w sąsiedztwie innych niezabudowanych działek przeznaczonych pod jednorodzinną zabudowę mieszkaniową. Dojazd i dostęp do nieruchomości poprzez jeszcze nieurządzoną działkę drogową nr 461/10, bezpośrednio z wąskiej ulicy Wysokiej.

Zgodnie z miejscowym planem zagospodarowania przestrzennego miasta i gminy Mieroszów teren obejmujący nieruchomość oznaczony jest symbolem MU – tereny przeznaczone dla jednorodzinnej zabudowy mieszkaniowej i usług (komercyjnych i niekomercyjnych).

Użytki gruntowe: PsIII – 0,1146 ha. Z uwagi na klasyfikację gruntów (PsIII) nabywca przed uzyskaniem pozwolenia na budowę, zobowiązany jest do uzyskania decyzji o wyłączeniu gruntów z produkcji rolnej.

Nieruchomość ma założoną księgę wieczystą KW NR SW1W/00003113/5.

Nieruchomość jest wolna od roszczeń i praw osób trzecich.



Informacje o przetargu:

• Cena wywoławcza 82.000 zł

• Do wylicytowanej ceny zostanie doliczony należny podatek VAT w wysokości 23%

• Wadium w wysokości 8.200 zł




3. drugi przetarg ustny nieograniczony na sprzedaż nieruchomości gruntowej bez zabudowań, położonej w obrębie Mieroszów 1 działka nr 461/16 o powierzchni 0,1170 ha.

Nieruchomość gruntowa o powierzchni 0,1170 ha, położona w obrębie Mieroszów 1. Działka nr 461/16 jest niezabudowana i aktualnie stanowi nieużytkowane pastwisko. Działka gruntowa o kształcie prostokąta z zachowaną proporcją długości boków, teren o lekkim spadku w kierunku ulicy Wysokiej. Nieruchomość położona w sąsiedztwie terenów uzbrojonych (bez sieci gazowej), aktualnie działka nie jest uzbrojona.

Nieruchomość położona przy wydzielonej geodezyjnie, ale jeszcze nie wykonanej ulicy o charakterze osiedlowym. Usytuowana jest w sąsiedztwie innych niezabudowanych działek przeznaczonych pod zabudowę mieszkaniową. Dojazd i dostęp do nieruchomości poprzez jeszcze nieurządzoną działkę drogową nr 461/10, bezpośrednio z wąskiej ulicy Wysokiej.

Zgodnie z miejscowym planem zagospodarowania przestrzennego miasta i gminy Mieroszów teren obejmujący nieruchomość oznaczony jest symbolem MU – tereny przeznaczone dla jednorodzinnej zabudowy mieszkaniowej i usług (komercyjnych i niekomercyjnych).

Użytek gruntowy: PsIII – 0,1170 ha. Z uwagi na klasyfikację gruntów (PsIII) nabywca przed uzyskaniem pozwolenia na budowę, zobowiązany jest do uzyskania decyzji o wyłączeniu gruntów z produkcji rolnej.

Nieruchomość ma założoną księgę wieczystą KW NR SW1W/00003113/5.

Nieruchomość jest wolna od roszczeń i praw osób trzecich.

I przetarg przeprowadzono w dniu 6 marca 2025 r.



Informacje o przetargu:

• Cena wywoławcza 85.100 zł

• Do wylicytowanej ceny zostanie doliczony należny podatek VAT w wysokości 23%

• Wadium w wysokości 8.600 zł




4. drugi przetarg ustny nieograniczony na sprzedaż nieruchomości gruntowej bez zabudowań, położonej w obrębie Mieroszów 1 działka nr 461/18 o powierzchni 0,1116 ha.

Nieruchomość gruntowa o powierzchni 0,1116 ha, położona w obrębie Mieroszów 1. Działka nr 461/18 jest niezabudowana i aktualnie stanowi nieużytkowane pastwisko. Działka gruntowa o kształcie prostokąta z zachowaną proporcją długości boków, teren o lekkim spadku w kierunku ulicy Wysokiej. Nieruchomość położona w sąsiedztwie terenów uzbrojonych (bez sieci gazowej), aktualnie działka nie jest uzbrojona.

Nieruchomość położona przy wydzielonej geodezyjnie, ale jeszcze nie wykonanej ulicy o charakterze osiedlowym. Usytuowana jest w sąsiedztwie innych niezabudowanych działek przeznaczonych pod zabudowę mieszkaniową. Dojazd i dostęp do nieruchomości poprzez jeszcze nieurządzoną działkę drogową nr 461/10, bezpośrednio z wąskiej ulicy Wysokiej.

Zgodnie z miejscowym planem zagospodarowania przestrzennego miasta i gminy Mieroszów teren obejmujący nieruchomość oznaczony jest symbolem MW, U – tereny przeznaczone dla wielorodzinnej zabudowy mieszkaniowej i usług (komercyjnych i niekomercyjnych).

Użytki gruntowe: PsIII – 0,0256 ha, PsIV – 0,0860 ha. Z uwagi na klasyfikację gruntów (PsIII) nabywca przed uzyskaniem pozwolenia na budowę, zobowiązany jest do uzyskania decyzji o wyłączeniu gruntów z produkcji rolnej.

Nieruchomość ma założoną księgę wieczystą KW NR SW1W/00003113/5.

Nieruchomość jest wolna od roszczeń i praw osób trzecich.

I przetarg przeprowadzono w dniu 6 marca 2025 r.



Informacje o przetargu:

• Cena wywoławcza 81.300 zł

• Do wylicytowanej ceny zostanie doliczony należny podatek VAT w wysokości 23%

• Wadium w wysokości 8.200 zł



Postąpienie w każdym z przetargów stanowi nie mniej niż 1% ceny wywoławczej z zaokrągleniem w górę do pełnych dziesiątek złotych.

Przetargi na sprzedaż wymienionych wyżej nieruchomości odbędą się w dniu 6 maja 2025 r. o godzinie 11:00 w budynku Urzędu Miejskiego w Mieroszowie - sala nr 16, I piętro, wejście po prawej stronie budynku.



Warunkiem udziału w przetargu jest:

1. Wniesienie kwoty wadium z oznaczeniem nieruchomości na konto: Gmina Mieroszów - Bank Spółdzielczy w Kamiennej Górze nr 07 8395 0001 0021 8115 2000 0008 do dnia 29 kwietnia 2025 r.

W przypadku zamiaru wzięcia udziału w więcej niż jednym przetargu wadium należy wpłacać odrębnie na każdy przetarg.

Za dzień wpłaty wadium uważa się dzień wpływu środków pieniężnych na rachunek organizatora przetargu.

2. Przedłożenie komisji przetargowej przez uczestnika przetargu, przed otwarciem przetargu:

• dowodu wniesienia wadium;

• dowodu tożsamości;

• stosownego pełnomocnictwa udzielonego przez osobę, którą reprezentuje;

• zgody współmałżonka na uczestnictwo w przetargu, w przypadku przystąpienia do przetargu jednego współmałżonka;

• osoby fizyczne prowadzące działalność gospodarczą numer NIP, a podmioty inne niż osoby fizyczne dodatkowo wyciąg z właściwego rejestru wydany w ciągu ostatnich trzech miesięcy oraz właściwe pełnomocnictwa osób reprezentujących podmiot.



Informacje dodatkowe:

• Wzywa się zainteresowanych kupnem do zapoznania się ze stanem nieruchomości poprzez dokonanie oględzin, a także do zapoznania się z ustaleniami i ograniczeniami wynikającymi z miejscowego planu zagospodarowania przestrzennego. Przyjmuje się, że stawiający do przetargu akceptują aktualny stan nieruchomości bez zastrzeżeń.

• Przetarg jest ważny bez względu na liczbę uczestników przetargu, jeżeli przynajmniej jeden uczestnik zaoferuje co najmniej jedno postąpienie powyżej ceny wywoławczej.

• Koszty związane z nabyciem nieruchomości (opłata notarialna i sądowa za przeniesienie prawa własności) ponosi Kupujący.

• Jeżeli osoba ustalona jako nabywca nieruchomości, nie przystąpi bez usprawiedliwienia do zawarcia umowy w miejscu i terminie podanych w zawiadomieniu, organizator przetargu może odstąpić od zawarcia umowy, a wpłacone wadium nie podlega zwrotowi.

• Wadium wniesione przez uczestnika przetargu, który przetarg wygrał, zalicza się na poczet ceny nabycia nieruchomości.

• Pozostałym uczestnikom przetargu wadium zostanie zwrócone niezwłocznie, jednak nie później niż przed upływem 3 dni od dnia odwołania, zamknięcia, unieważnienia lub zakończenia przetargu wynikiem negatywnym.

• Okazanie granic nieruchomości może nastąpić na koszt nabywcy.

• Organizator przetargu zastrzega sobie prawo do zmiany miejsca przeprowadzenia przetargów.

Burmistrz Mieroszowa zastrzega sobie prawo odwołania przetargu z ważnych powodów.



Informacje o nieruchomości można uzyskać w Referacie Nieruchomości pok. 15, Urzędu Miejskiego w Mieroszowie Pl. Niepodległości 1, 58-350 Mieroszów, tel.74 30 30 030.



Burmistrz Mieroszowa

Andrzej Lipiński



Kontakt:
Urząd Miasta i Gminy Mieroszów
tel: 74 30 30 030
[Email protected]


Ogłoszenie wysłane z programu dla biur nieruchomości ASARI CRM (asaricrm.com)



Lokalizacja
Mieroszów
dolnośląskie
Informacje
Numer oferty: 41681/3186/OGS
Kontakt
AMK Portal Sp. z o.o.
Urząd Miasta i Gminy Mieroszów
74 30 30 030

Podobne oferty

 Mieroszów

Przetarg

Mieroszów

BURMISTRZ MIEROSZOWA 58-350 Mieroszów, Plac Niepodległości 1 ogłasza I przetarg ustny nieograniczony na sprzedaż nieruchomości gruntowych bez zabudowań, położonych w...

m2
99 500 zł
 Mieroszów   Tkacka

Działka

Mieroszów, Tkacka

BURMISTRZ MIEROSZOWA 58-350 Mieroszów, Plac Niepodległości 1 ogłasza II przetarg ustny nieograniczony na sprzedaż nieruchomości gruntowej niezabudowanej położonej w obrębie...

m2
145 000 zł
 Mieroszów

II przetarg - na sprzedaż nieruchomości

Mieroszów

BURMISTRZ MIEROSZOWA 58-350 Mieroszów, Plac Niepodległości 1 ogłasza II przetarg ustny nieograniczony na sprzedaż nieruchomości gruntowych bez zabudowań, położonych w...

m2
82 000 zł