⭐WZ⭐Media w działce⭐Płaska⭐Droga asfaltowa⭐W otocz

Koziel

Działka
800 m2

78 700 zł

Treść ogłoszenia

Działki budowlane na sprzedaż - Koziel, gm. Raków, woj. świętokrzyskie
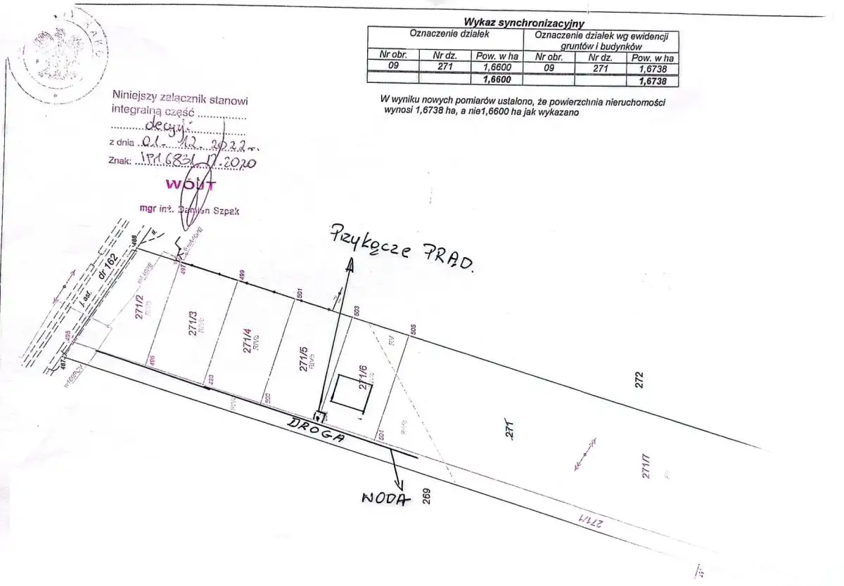
Na sprzedaż 9 działek budowlanych o powierzchni 800 m² każda, położonych w malowniczej miejscowości Koziel w gminie Raków. To idealna propozycja dla osób szukających ciszy, przestrzeni i bezpośredniego kontaktu z naturą, a jednocześnie ceniących dogodny dojazd do miasta.
Każda z działek posiada wydane Warunki Zabudowy, media, a ich prostokątny kształt (21 m x 39 m) zapewnia komfortowe zagospodarowanie przestrzeni.

Lokalizacja pełna przyrody:
Działki otacza spokojna zabudowa jednorodzinna, pola, lasy oraz górzysty krajobraz. W bliskiej odległości znajdują się:
● Rezerwat Przyrody Zamczysko
● Rezerwat Cisów
● Rezerwat Białe Ługi
● Góra Zamczysko
● Szczyt Włochy

Dodatkowo:
● 1 km od drogi głównej Kielce-Raków
● 30 km do Kielc
● 27 km do Staszowa
● 45 km do Buska-Zdroju

Najważniejsze informacje:
● Powierzchnia: 800 m² / działka
● Kształt: prostokąt (21 m x 39 m)
● Status: działka budowlana z WZ
● Teren: czysty, płaski z lekkim nachyleniem
● Dojazd: asfalt + droga dojazdowa do każdej działki
● Media: prąd i woda w działkach
● Stan prawny: pełna własność, księga wieczysta

Co jeszcze warto wiedzieć?
● Jedna z działek jest ogrodzona - idealna do szybkiego rozpoczęcia budowy
● Działki czyste, bez zarośli - gotowe do inwestycji
● W sprzedaży również działka rolna (szczegóły do ustalenia)
● Planowana budowa nowej obwodnicy w pobliżu - poprawi komunikację z większymi miastami

Cena:
● Cena jednej działki (800 m²) - 78 700 zł
● Przy zakupie większej liczby działek - możliwość negocjacji

Zainteresowany?
Nie czekaj! Te działki to połączenie natury, komfortu i świetnej lokalizacji.
Zadzwoń, aby umówić się na prezentację i poznać szczegóły.
Lokalizacja
Koziel
świętokrzyskie
Informacje
Powierzchnia: 800 m2
Numer oferty: 179665
Ogrodzenie
brak
Dojazd
asfalt
Kontakt
Pozysk Nieruchomości
Adam Brzeziński
791276207