Przetarg - obręb DUDKI

Dudki

Działka

127 900 zł

Treść ogłoszenia

OGŁOSZENIE O PRZETARGU



Na podstawie art. 38 ustawy z dnia 21 sierpnia 1997 r. o gospodarce nieruchomościami (t.j. Dz.U. z 2024r., poz. 1145 ze zm.) oraz § 3, 4 i 6 Rozporządzenia Rady Ministrów z dnia 14 września 2004 r. w sprawie sposobu i trybu przeprowadzania przetargów oraz rokowań na zbycie nieruchomości (t.j. Dz. U. z 2021r., poz. 2213) Wójt Gminy Świętajno w pow. oleckim



ogłasza I przetarg ustny nieograniczony na sprzedaż:



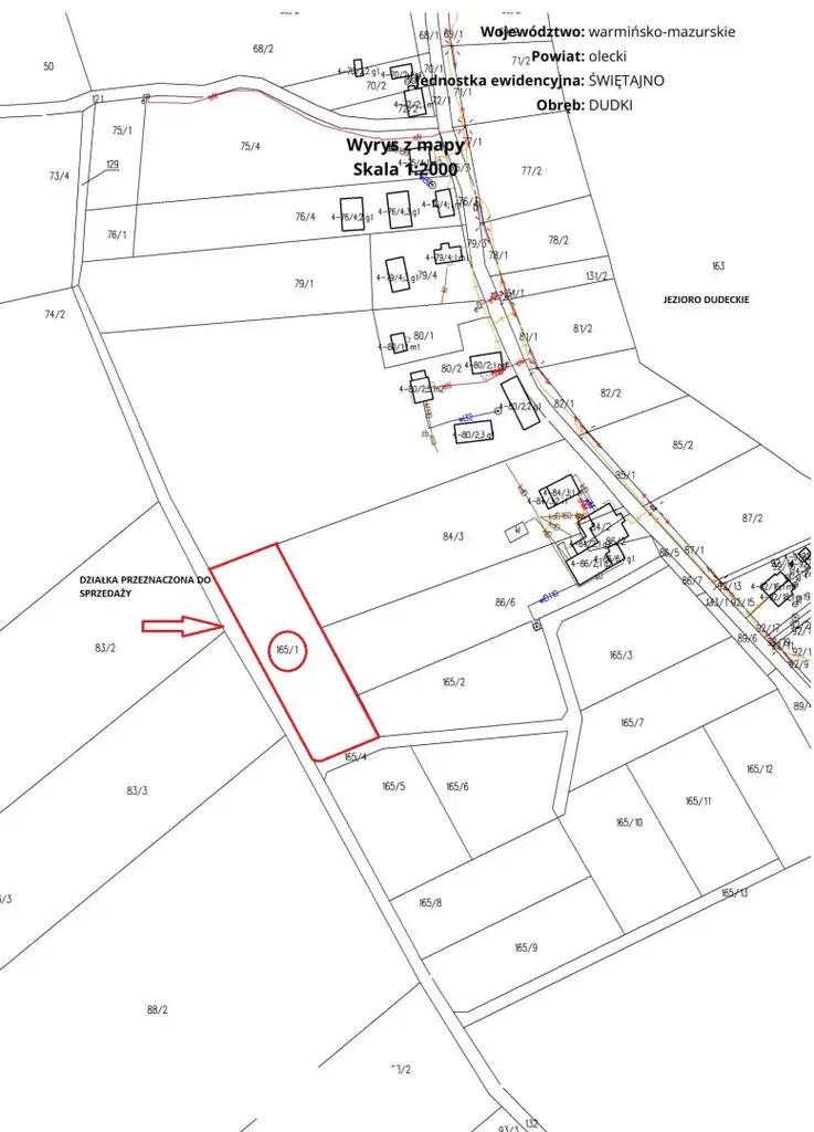
1) działki nr 165/1 o powierzchni 3751 m², położonej w obrębie DUDKI – KW nr OL1C/00001966/7.



Cena wywoławcza nieruchomości wynosi 127 900,00 zł.



Wadium wynosi 12 000,00 zł. Wysokość minimalnego postąpienia ustalają uczestnicy przetargu, z tym że postąpienie nie może wynosić mniej niż 1% ceny wywoławczej, z zaokrągleniem w górę do pełnych dziesiątek złotych.



Przedmiotowa nieruchomość jest zwolniona z podatku VAT.

Nieruchomość jest wolna od wszelkich obciążeń i zobowiązań.



Przetarg, odbędzie się w dniu 29 sierpnia 2025r., w budynku Urzędu Gminy, pok. nr 11. o godz. 11:00.



Warunkiem przystąpienia do przetargu jest wpłata wadium w wyżej podanej wysokości na rachunek bankowy BS Olecko Oddz. Świętajno Nr 64 9339 0006 0010 0100 0707 0044 z takim wyprzedzeniem, aby najpóźniej w dniu 25 sierpnia 2025r., nastąpiło uznanie rachunku bankowego. W tytule wpłat wadium należy wskazać oznaczenie nieruchomości, imię i nazwisko uczestnika przetargu, a w przypadku małżeństwa – obojga małżeństwa.



Uczestnicy przetargu zobowiązani są przedstawić komisji przetargowej:



- dowód wpłaty wadium,

- dokument stwierdzający tożsamość i obywatelstwo – dowód osobisty, jeżeli uczestnikiem przetargu jest osoba fizyczna,

- stosowne pełnomocnictwo – pełnomocnicy uczestników przetargu.



Wpłacone wadium zostanie:



- zaliczone na poczet ceny nabycia, jeżeli osoba wpłacająca wygra przetarg,

- zwrócone, jeżeli osoba wpłacająca nie wygra przetargu.



Cenę nabycia prawa własności równą cenie osiągniętej w przetargu, należy wpłacić najpóźniej przed dniem podpisania umowy notarialnej. Termin podpisania notarialnej umowy sprzedaży ustalony zostanie w ciągu 21 dni od dnia rozstrzygnięcia przetargu.

Odstąpienie od przeniesienia prawa własności w formie aktu notarialnego w ustalonym dniu i godzinie z przyczyn nieuzasadnionych przez nabywcę spowoduje przepadek wpłaconego wadium na rzecz organizatora przetargu, a przetarg czyni niebyłym.



Organizator przetargu może:



- od chwili rozpoczęcia odstąpić od jego przeprowadzania z przyczyn uzasadnionych,

- odstąpić od zawarcia umowy notarialnej w razie stwierdzenia, że przetarg został przeprowadzony z naruszeniem prawa. Koszty czynności notarialnych, opłaty sądowe ponosi nabywca.



Świętajno, dnia 23 lipca 2025r.



Kontakt:
Urząd Gminy Świętajno
tel: 087 521 54 20
[Email protected]


Ogłoszenie wysłane z programu dla biur nieruchomości ASARI CRM (asaricrm.com)



Lokalizacja
Dudki
warmińsko-mazurskie
Informacje
Numer oferty: 42523/3186/OGS
Kontakt
AMK Portal Sp. z o.o.
Urząd Gminy Świętajno
087 521 54 20