Działka

Kraśnik

Działka

580 000 zł

Treść ogłoszenia

BURMISTRZ MIASTA KRAŚNIK

o g ł a s z a



pierwszy ustny przetarg nieograniczony na sprzedaż części zabudowanej

nieruchomości gruntowej, stanowiącej własność Gminy Miasta Kraśnik położonej

w Kraśniku, obręb Budzyń



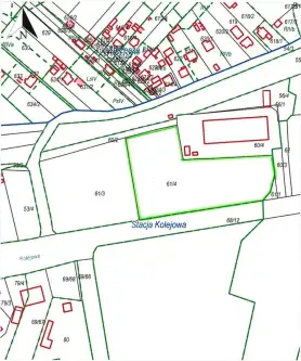
Przedmiotem przetargu jest sprzedaż części zabudowanej nieruchomości gruntowej, stanowiącej własność Gminy Miasta Kraśnik, położonej w Kraśniku w ewidencji gruntów i budynków oznaczonej nr 445/2 o pow. 0,5114 ha, obręb Budzyń, dla której Sąd Rejonowy w Kraśniku V Wydział Ksiąg Wieczystych prowadzi księgę wieczystą LU1K/00041954/1 (użytek gruntowy Bz – tereny rekreacyjno-wypoczynkowe).

Nieruchomość położona jest na terenie miasta Kraśnik, w obszarze zlokalizowanym pomiędzy dzielnicą Kraśnik Fabryczny a dzielnicą Kraśnik Stary, w strefie pośredniej, w odległości około 100 m od ul. Nadstawnej, około 200 m od ul. Suchyńskiej (wzdłuż, której koncentruje się zwarta zabudowa mieszkaniowa) oraz około 800 m od ul. Urzędowskiej (głównej ulicy miasta). Działka ma kształt wielokąta o zmiennej długości granic. Działka zabudowana jest parterowym, murowanym budynkiem gospodarczym o pow. zabudowy 287 m² zlokalizowanym w południowo – wschodnim narożniku działki. Budynek wolnostojący, jednokondygnacyjny, niepodpiwniczony, wykonany w 1950 roku, w technologii tradycyjnej, systemem gospodarczym, ściany zewnętrzne murowane z cegły ceramicznej na zaprawie wapiennej, z zewnątrz otynkowane, dach o konstrukcji drewnianej, dwuspadowy, kryty eternitem falistym, o konstrukcji opartej na ścianach zewnętrznych i dwóch rzędach słupów, rynny i rury spustowe z blachy ocynkowanej. Dojazd do nieruchomości od ul. Nadstawnej projektowaną służebnością gruntową – urządzoną drogą o szerokości pięciu metrów, biegnącą wzdłuż granicy z działką nr 231/14 położoną w Ośrodku Wyżnica gmina Kraśnik. Nieruchomość od strony północnej i zachodniej sąsiaduje z działką nr 442, na której znajduje się zbiornik wodny (kąpielisko) z infrastrukturą towarzyszącą, od strony wschodniej i południowej przylega do nieruchomości zabudowanej budynkiem gospodarczo – inwentarskim, częściowo niezagospodarowanej. Wzdłuż zachodniej granicy nieruchomości znajduje się urządzony parking miejski, wykonany z kostki betonowej. Działka częściowo uzbrojona – sieć wodociągowa, energetyczna, kanalizacji deszczowej. Na nieruchomości znajduje się zbiornik na wody opadowe oraz skrzynki 2-ZK1 do rozdziału energii elektrycznej. Pozostała cześć działki to teren nieurządzony, niezabudowany, porośnięty trawą.



- cena wywoławcza nieruchomości - 580 000,00 zł

- wysokość wadium - 58 000,00 zł

- wysokość postąpienia nie mniej niż - 5 800,00 zł



1. Sprzedaż na dzień ogłoszenia przetargu zwolniona jest z podatku VAT.

2. W dziale III księgi wieczystej nr LU1K/00041954/1 wpisane jest ograniczone prawo rzeczowe związane z inną nieruchomością dotyczące działki nr 442 objętej niniejszą księgą wieczystą „na działce nr 442 nieodpłatna służebność gruntowa - polegająca na prawie przechodu i przejazdu drogą szerokości trzech metrów, biegnąca począwszy od granicy z działką nr 120/2 wzdłuż działki nr 442 przy granicy z działką nr 121/7, aż do granicy z działką nr 121/6 na podstawie oświadczenia zawartego w § 8 aktu notarialnego”.

3. Działka będąca przedmiotem przetargu nie jest obciążona ograniczonymi prawami rzeczowymi i nie ma przeszkód prawnych w rozporządzaniu nią.

4. Nieruchomość nie jest przedmiotem żadnych zobowiązań.

5. Przedmiotowa nieruchomość zgodnie z planem zagospodarowania przestrzennego miasta Kraśnik znajduje się na terenie przeznaczonym pod usługi sportu i rekreacji – US/UT z podstawowym przeznaczeniem terenu pod realizację obiektów i urządzeń usług sportu, turystyki, rekreacji wraz z niezbędnym zapleczem techniczno – sanitarnym, hotelarstwa, obiektów gastronomicznych itp., działka znajduje się w strefie podmiejskiej.

6. Przetarg odbędzie się w dniu 29.01.2024 r. o godz. 11:00 w Urzędzie Miasta Kraśnik przy ul. Lubelskiej 84, III piętro pokój nr 316 (sala konferencyjna).

7. Warunkiem przystąpienia do przetargu jest wpłacenie wadium w pieniądzu w ustalonej wyżej wysokości najpóźniej do dnia 22.01.2024 r.

8. Wadium powinno być wpłacone przelewem na konto Urzędu Miasta Kraśnik Nr 46 1240 5497 1111 0010 4019 7424 z adnotacją „Przetarg na sprzedaż działki nr 445/2, obręb Budzyń”. Za zachowanie terminu wniesienia wadium uważa się datę uznania rachunku bankowego Gminy Miasta Kraśnik.

9. Komisja przetargowa nie później niż 3 dni przed przetargiem, stwierdza w formie protokołu, wniesienie wadium przez uczestników przetargu.

10. Uczestnik przetargu musi okazać się dowodem osobistym lub innym dokumentem potwierdzającym tożsamość.

11. Uczestnik przetargu, który spóźni się na otwarcie przetargu, nie zostanie dopuszczony do licytacji.

12. W przetargu mogą brać udział osoby fizyczne i osoby prawne. Cudzoziemiec winien posiadać pisemną zgodę Ministra Spraw Wewnętrznych i Administracji na nabycie przedmiotowej nieruchomości.

13. Osoba reprezentująca w przetargu osobę prawną winna się okazać stosownymi pełnomocnictwami w formie aktu notarialnego (oryginał lub kopia poświadczona za zgodność z oryginałem) oraz wypisem z KRS.

14. Osoba fizyczna (będąca w związku małżeńskim) chcąca uczestniczyć w przetargu winna przedstawić komisji przetargowej zgodę współmałżonka (w formie oświadczenia) na wzięcie udziału w przetargu. W przypadku rozdzielności majątkowej należy okazać odpowiedni dokument.

15. Osoba, która w wyniku przetargu zostanie ustalona kandydatem na nabywcę nieruchomości, przy zawarciu notarialnej umowy sprzedaży zobowiązana jest przedłożyć w formie aktu notarialnego pisemną zgodę współmałżonka na zawarcie umowy sprzedaży na warunkach ustalonych w przetargu. Wymóg ten nie obowiązuje, jeżeli oboje małżonkowie przystąpią do podpisania umowy notarialnej.

16. W przetargu nie mogą uczestniczyć osoby wchodzące w skład komisji przetargowej oraz osoby bliskie tym osobom, a także osoby, które pozostają z członkami komisji przetargowej w takim stosunku prawnym lub faktycznym, iż może to budzić uzasadnione wątpliwości co do bezstronności komisji przetargowej.

17. O wysokości postąpienia decydują uczestnicy przetargu, z tym że postąpienie nie może wynosić mniej niż 1 % ceny wywoławczej z zaokrągleniem w górę do pełnych dziesiątek złotych.

18. Uczestnicy przetargu zgłaszają ustnie kolejne postąpienia ceny, dopóki mimo trzykrotnego wywołania nie ma dalszych postąpień.

19. Po trzecim wywołaniu najwyższej zaoferowanej ceny dalsze postąpienia nie zostaną przyjęte.

20. Po ustaniu zgłaszania postąpień przewodniczący komisji przetargowej wywoła trzykrotnie ostatnią najwyżej zaoferowaną cenę i zamknie przetarg a następnie ogłosi imię i nazwisko albo nazwę lub firmę osoby, która przetarg wygrała.

21. Przetarg jest ważny bez względu na liczbę uczestników, jeżeli chociaż jeden uczestnik zaoferował, co najmniej jedno postąpienie powyżej ceny wywoławczej.

22. Wadium wpłacone przez uczestnika przetargu, który przetarg wygrał, zalicza się na poczet ceny nabycia nieruchomości, pozostałe wadia podlegają zwrotowi jednak nie później niż w ciągu 3 dni od dnia odwołania, zamknięcia lub unieważnienia przetargu.

23. Z przeprowadzonego przetargu sporządza się protokół w 3 jednobrzmiących egzemplarzach, z których jeden otrzymuje nabywca, jeden przekazany zostanie do notariusza jako podstawa do sporządzenia aktu notarialnego, jeden natomiast pozostaje w aktach sprawy.

24. Protokół z przeprowadzonego przetargu podpisują przewodniczący i członkowie komisji przetargowej oraz osoba wyłoniona w przetargu jako nabywca nieruchomości.

25. Komisja przetargowa przedstawi Burmistrzowi Miasta protokół z przetargu wraz z jego rozstrzygnięciem.

26. Burmistrz Miasta Kraśnik jest obowiązany zawiadomić nabywcę o miejscu i terminie zawarcia umowy notarialnej sprzedaży działki najpóźniej w terminie 21 dni od daty rozstrzygnięcia przetargu.

27. Nabywca jest zobowiązany zapłacić cenę nabycia przed zawarciem notarialnej umowy sprzedaży. Cała cena podlega zapłacie w gotówce na rachunek Urzędu Miasta Kraśnik tak, aby w dniu sporządzenia aktu notarialnego można było stwierdzić, że cała wymagalna kwota znajduje się na rachunku.

28. Uczestnik przetargu przedłoży Komisji przetargowej oświadczenie, iż zapoznał się ze stanem faktycznym i prawnym nieruchomości.

29. Wszystkie koszty sporządzenia umowy w formie aktu notarialnego, opłaty sądowe obciążają nabywcę.

30. Jeżeli podmiot ustalony jako nabywca nie stawi się bez usprawiedliwienia w oznaczonym terminie w kancelarii notarialnej, Burmistrz Miasta Kraśnik może odstąpić od zawarcia umowy notarialnej, a wpłacone wadium nie podlega zwrotowi.

31. Burmistrz Miasta Kraśnik może z uzasadnionej przyczyny odwołać ogłoszony przetarg, informując o tym niezwłocznie w formie właściwej dla ogłoszenia przetargu.

32. Uczestnik przetargu może, w terminie 7 dni od dnia ogłoszenia wyniku przetargu ustnego zaskarżyć czynności związane z przeprowadzonym przetargiem do Burmistrza Miasta Kraśnik za pośrednictwem komisji przetargowej.

33. W sprawach nieunormowanych niniejszym ogłoszeniem mają zastosowanie przepisy rozporządzenia Rady Ministrów z dnia 14 września 2004 roku w sprawie sposobu i trybu przeprowadzania przetargów oraz rokowań na zbycie nieruchomości (tekst jednolity: Dz. U. z 2021 roku poz. 2213).

34. Kary umowne w związku z niezabudowaniem sprzedawanej nieruchomości:

1) Nabywca i jego następca prawny zobowiązany będzie do zagospodarowania nabytej nieruchomości zgodnie z przeznaczeniem terenu w planie zagospodarowania przestrzennego miasta Kraśnik, tj. do wybudowania (oddania do użytkowania) budynku lub budynków z zakresu: hotelarstwa, lub obiektów gastronomicznych, sportu, turystyki, rekreacji wraz z niezbędnym zapleczem techniczno – sanitarnym w terminie 3 lat począwszy od dnia zawarcia umowy sprzedaży.

2) W związku z powyższym, po bezskutecznym upływie terminu zakończenia budowy budynku lub budynków kupujący na wezwanie zapłaci na rzecz Gminy Miasto Kraśnik karę umowną w wysokości 10% ceny sprzedaży nieruchomości rocznie. Maksymalna wysokość kary umownej odpowiada równowartości 30% ceny sprzedaży.

3) Nabywca zobowiązany będzie do poddania się egzekucji wprost z aktu notarialnego – umowy kupna sprzedaży, na podstawie przepisu art. 777 § 1 pkt 5 ustawy z dnia 17 listopada 1964 r. Kodeks postępowania cywilnego (t.j. Dz. U. z 2023 r. poz. 1550), w zakresie obowiązku zapłaty należności z tytułu kar umownych na rzecz Gminy Miasto Kraśnik do kwoty oznaczonej w akcie notarialnym odpowiadającej 30% ceny sprzedaży, przy czym Gmina Miasto Kraśnik jako wierzyciel może wystąpić o nadanie temu aktowi klauzuli wykonalności w terminie najpóźniej do 7 lat od dnia zawarcia umowy sprzedaży.

4) W celu zabezpieczenia zapłaty należności z tytułu kary umownej, ustanowiona zostanie na rzecz Gminy Miasto Kraśnik hipoteka umowna do kwoty odpowiadającej 30% ceny sprzedaży i hipoteką tą obciążona zostanie nabyta nieruchomość.

35. Informacja o przeznaczeniu nieruchomości do sprzedaży: wykaz nieruchomości zamieszczono na tablicy ogłoszeń Urzędu Miasta Kraśnik w dniach od 01.09.2023 roku do 22.09.2023 roku oraz na stronach internetowych Urzędu Miasta, BIP. Ponadto informację o wywieszeniu wykazu zamieszczono na stronie www.monitorurzedowy.pl wydanie 244/2023 z dnia 01.09.2023 r. Przesłano także do Kraśnickiego Przedsiębiorstwa Mieszkaniowego Sp. z o. o. – zarządcy nieruchomości komunalnych, jak również do siedziby Starostwa Powiatowego w Kraśniku.

36. Ogłoszenie o przetargu jest zamieszczane na tablicach ogłoszeń: w siedzibie Urzędu Miasta Kraśnik 23-200 Kraśnik ul. Lubelska 84, Kraśnickiego Przedsiębiorstwa Mieszkaniowego w Kraśniku 23-200 Kraśnik ul. Lubelska 75A oraz Starostwa Powiatowego w Kraśniku 23-204 Kraśnik, Al. Niepodległości 20, a także na stronie Biuletynu Informacji Publicznej Miasta Kraśnik, www.krasnik.eu, oraz www.monitorurzedowy.pl.

37. Możliwe jest okazanie nieruchomości przez Sprzedającego osobom zainteresowanym, po wcześniejszym umówieniu terminu oględzin.

38. W związku z wejściem w życie w dniu 25 maja 2018 r. Rozporządzenia Parlamentu Europejskiego i Rady (UE) 2016/679 z dnia 27 kwietnia 2016 r. w sprawie ochrony osób fizycznych w związku z przetwarzaniem danych osobowych i w sprawie swobodnego przepływu takich danych oraz uchylenia dyrektywy 95/46/WE ogólne rozporządzenie o ochronie danych,(RODO) zgodnie z art. 13 ust. 1 i ust 2 oraz art. 6 ust. 1 lit. b, c i e RODO w załączeniu klauzula informacyjna o przetwarzaniu danych osobowych.

39. Szczegółowe informacje dotyczące przetargu, uzyskać można w siedzibie Urzędu Miasta Kraśnik, 23-200 Kraśnik ul. Lubelska 84, II piętro pokój nr 215, tel. 81 825-15-52 oraz na stronie www.krasnik.eu.





W załączeniu:

1. Zaświadczenie o przeznaczeniu w palnie zagospodarowania przestrzennego miasta Kraśnik.

2. Mapa zasadnicza.

3. Klauzula informacyjna o przetwarzaniu danych osobowych.

4. Oświadczenie dotyczące nieruchomości.





Kontakt:
Urząd Miasta Kraśnik
tel: 81 825-15-52
[Email protected]


Ogłoszenie wysłane z programu dla biur nieruchomości ASARI CRM (asaricrm.com)



Lokalizacja
Kraśnik
lubelskie
Informacje
Numer oferty: 37811/3186/OGS
Kontakt
AMK Portal Sp. z o.o.
Urząd Miasta Kraśnik
81 825-15-52

Podobne oferty

 Kraśnik

Działka

Kraśnik

BURMISTRZ MIASTA KRAŚNIK o g ł a s z a pierwszy ustny przetarg nieograniczony na sprzedaż części niezabudowanej nieruchomości gruntowej,...

m2
220 047 zł
 Kraśnik   Obwodowa

Działka

Kraśnik, Obwodowa

BURMISTRZ MIASTA KRAŚNIK ogłasza pierwszy ustny przetarg nieograniczony na sprzedaż części niezabudowanej nieruchomości gruntowej, stanowiącej własność Gminy Miasta Kraśnik, położonej...

m2
1 968 000 zł
 Kraśnik

Działka

Kraśnik

BURMISTRZ MIASTA KRAŚNIK o g ł a s z a trzeci ustny przetarg nieograniczony na sprzedaż części niezabudowanej nieruchomości gruntowej,...

m2
1 150 050 zł