Działka

Elbląg , Jaworowa

Działka

169 000 zł

Treść ogłoszenia

PREZYDENT MIASTA ELBLĄG

ogłasza piąty ustny przetarg nieograniczony

na sprzedaż nieruchomości stanowiącej własność Gminy Miasto Elbląg

(strona internetowa – http://www.umelblag.pl BIP – https://bip.elblag.eu)

(tel. kontaktowy 55 239-31-41, 55 239-34-51, fax 55 239-31-80, e-mail: [Email protected])



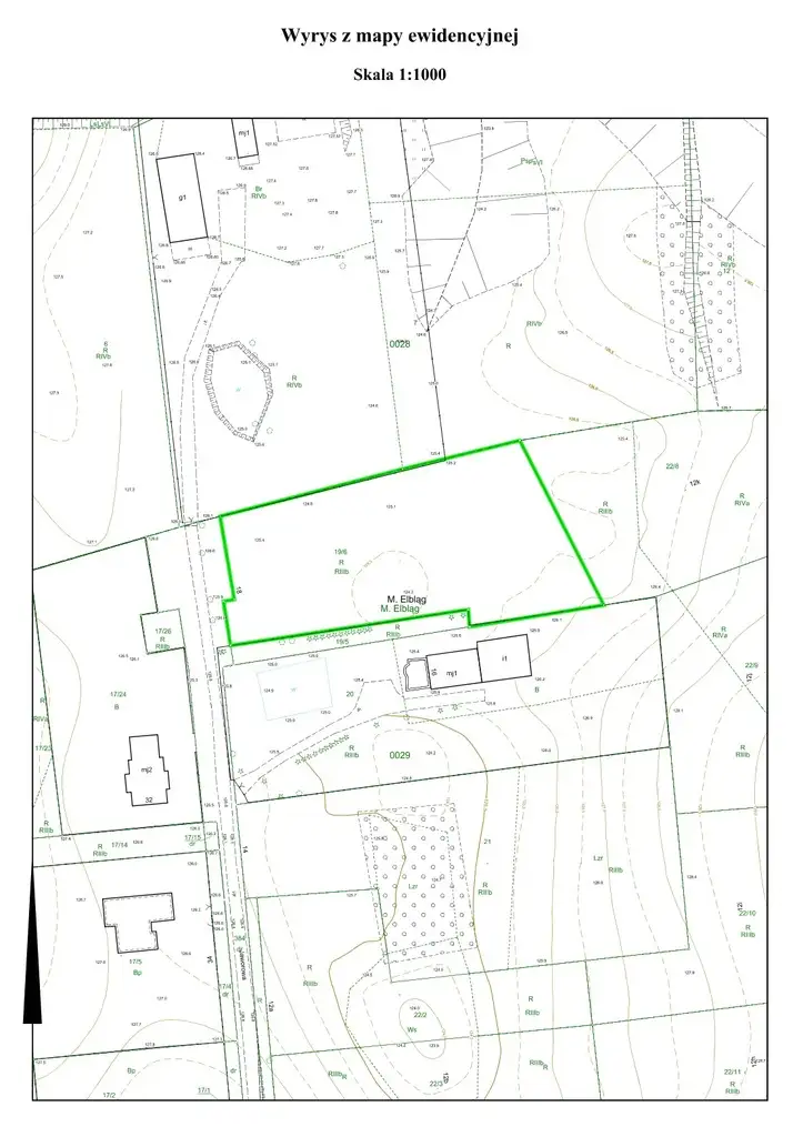
1. Lokalizacja: Elbląg, ul. Jaworowa.

2. Opis nieruchomości: nieruchomość niezabudowana, położona w Elblągu w dzielnicy Dąbrowa, o nieregularnym kształcie. Z uwagi na fakt, iż przedmiotowa nieruchomość stanowi użytek rolny (RIIIb), jej zagospodarowanie, zgodnie z przeznaczeniem w miejscowym planie zagospodarowania przestrzennego, wymaga wyłączenia gruntów z produkcji rolnej.

3. Oznaczenie nieruchomości wg danych z ewidencji gruntów i budynków: obr. 29, działka nr 19/6 o pow. 0,3507 ha. Dla nieruchomości Sąd Rejonowy w Elblągu prowadzi księgę wieczystą nr EL1E/00033110/7.

4. Przeznaczenie nieruchomości w miejscowym planie zagospodarowania przestrzennego: zgodnie uchwałą nr IX/239/11 Rady Miejskiej w Elblągu z dnia 27.10.2011 r. w sprawie uchwalenia miejscowego planu zagospodarowania przestrzennego osiedla „Dąbrowa część II”, przedmiotowa nieruchomość znajduje się w jednostce 3.MN,U i przeznaczona jest pod funkcje zabudowy mieszkaniowej jednorodzinnej, usługowej i jednorodzinnej z usługami. Ze szczegółowymi ustaleniami powyższego planu można zapoznać się pod adresem: https://bip.elblag.eu/artykul/313/3612/075-mpzp-osiedla-dabrowa-czesc-ii.

5. Uzbrojenie: nieruchomość znajduje się w bliskim sąsiedztwie terenów uzbrojonych w media komunalne. Przez działkę nr 19/6 przebiega napowietrzna sieć energetyczna oraz rurociąg drenarski wraz z studnią rewizyjną.

Szczegółowe warunki techniczne włączenia do poszczególnych sieci infrastruktury technicznego uzbrojenia terenu Nabywca zobowiązany będzie uzyskać u gestorów poszczególnych sieci, staraniem własnym i na własny koszt. Doprowadzenie uzbrojenia do nieruchomości i usunięcie ewentualnych kolizji z istniejącym uzbrojeniem, a także zasilenie obiektów w media odbędzie się staraniem i na koszt Nabywcy, na warunkach wskazanych przez dysponentów mediów.

Zgodnie z art. 33 ust. 2 ustawy z dnia 7 lipca 1994 r. – Prawo Budowlane, Nabywca zobowiązany będzie uzyskać stosowne uzgodnienia i oświadczania, w tym oświadczenie projektanta o istnieniu lub braku możliwości przyłączenia do miejskiej sieci ciepłowniczej, o ile nie będzie korzystał z odnawialnych źródeł ciepła. Oznacza to, że każdy Inwestor zamierzający wznieść nowy budynek, z uwzględnieniem wyjątków ustawowych, musi przed złożeniem wniosku o pozwolenie na budowę, uzyskać od przedsiębiorstwa ciepłowniczego, warunki przyłączenia do sieci ciepłowniczej. Brak takiego oświadczenia przedłożonego do wniosku o wydanie pozwolenia na budowę, potwierdzonego wydanymi warunkami przyłączenia, stanowić będzie brak formalny, uzasadniający pozostawienie bez rozpoznania wniosku o udzielenie pozwolenia na budowę.

Informacje dotyczące istniejących sieci uzbrojenia dostępne są w Departamencie Gospodarki Nieruchomościami i Geodezji Urzędu Miejskiego w Elblągu (Miejski Ośrodek Dokumentacji Geodezyjnej i Kartograficznej, Al. Tysiąclecia 11A, pok. 12, tel. 55 237-47-11 do 55 237-47-14.

6. Cena wywoławcza nieruchomości: 169.000 zł (słownie złotych: sto sześćdziesiąt dziewięć tysięcy), plus podatek od towarów i usług (VAT), zgodnie z obowiązującymi przepisami. Wylicytowaną cenę sprzedaży nieruchomości wraz z należnym VAT, należy wpłacić na konto Urzędu Miejskiego w Elblągu, przed zawarciem umowy sprzedaży.

7. Warunki udziału w przetargu: w przetargu mogą uczestniczyć osoby, które wpłacą wadium, złożą oświadczenie, że znany jest im stan prawny i stan zagospodarowania nieruchomości, stanowiących przedmiot przetargu oraz oświadczenie o zapoznaniu się z warunkami i przedmiotem przetargu oraz o przyjęciu ich bez zastrzeżeń.

8. Termin i miejsce przeprowadzenia przetargu: przetarg odbędzie się w dniu 2 czerwca 2025 r., o godz. 12:00, w sali nr 300A Urzędu Miejskiego w Elblągu.

9. Termin, miejsce wpłaty oraz wysokość wadium: wadium w wysokości 15.000 zł (słownie złotych: piętnaście tysięcy), należy wpłacić w kasie Urzędu Miejskiego w Elblągu lub na rachunek bankowy w Banku Millennium S.A. z siedzibą w Warszawie nr 02 1160 2202 0000 0006 2123 0769, w terminie do dnia 26 maja 2025 r. Wadium wpłacone przez uczestnika przetargu, który ustalony zostanie jako Nabywca, zaliczone zostanie na poczet ceny nabycia nieruchomości. Pozostałym uczestnikom przetargu wadium zostanie zwrócone, niezwłocznie po zamknięciu przetargu, jednak nie później niż przed upływem 3 dni. Za termin wniesienia wadium uznaje się datę zaksięgowania środków na rachunku Gminy Miasto Elbląg.

10. Wysokość postąpienia: o wysokości postąpienia decydują uczestnicy przetargu, z tym że postąpienie nie może wynosić mniej niż 1% ceny wywoławczej, z zaokrągleniem do pełnych dziesiątek złotych i wynosi minimum 1.690 zł.

11. Skutki uchylenia się od zawarcia umowy sprzedaży: jeżeli uczestnik przetargu ustalony jako Nabywca uchyli się od podpisania umowy sprzedaży w formie aktu notarialnego, wpłacone wadium ulegnie przepadkowi na rzecz Gminy Miasto Elbląg.

12. Warunki nabycia nieruchomości:

a) Nieruchomość objęta przetargiem była przedmiotem pierwszego ustnego przetargu nieograniczonego, przeprowadzonego w dniu 13 listopada 2023 r., drugiego ustnego przetargu nieograniczonego, przeprowadzonego w dniu 26 lutego 2024 r., trzeciego ustnego przetargu nieograniczonego, przeprowadzonego w dniu 19 sierpnia 2024 r., czwartego ustnego przetargu nieograniczonego, przeprowadzonego w dniu 17 lutego 2025 r., które zakończyły się wynikiem negatywnym.

b) Nieruchomość objęta przetargiem stanowi własność Gminy Miasto Elbląg i nie jest obciążona żadnymi prawami i długami wobec osób trzecich, za wyjątkiem praw wynikających z przebiegu sieci infrastruktury technicznej uzbrojenia terenu i przyłączy do tych sieci.

c) Realizacja budowy na gruncie rolnym, przed wydaniem pozwolenia na budowę, wymaga przeprowadzenia odrębnej procedury administracyjnej, w celu uzyskania decyzji administracyjnej:

- zezwalającej na wyłączenie z produkcji użytków rolnych wytworzonych z gleb pochodzenia mineralnego i organicznego (wraz z wynikającymi z tego wyłączenia obowiązkami), dot. użytków rolnych zaliczonych m.in. do klas: I, II, III, IIIa, IIIb, gruntów leśnych oraz gruntów szczegółowo wskazanych w art. 2 ust. 1 pkt 2-10 ustawy z dnia 3 lutego 1995 r. o ochronie gruntów rolnych i leśnych (t.j. Dz.U. z 2024 r. poz. 82).

- orzekającej o wyłączeniu z produkcji użytków rolnych wytworzonych z gleb pochodzenia organicznego klas: IV, IVa, IVb, V i VI.

Wyłączenie gruntu rolnego z produkcji rolnej, następuje na wniosek podmiotu, który na mocy posiadanego prawa do gruntu, określa charakter inwestycji oraz powierzchnię objętą wyłączeniem. Dla potwierdzenia tej powierzchni, do wniosku załącza się, zatwierdzony przez uprawnionego projektanta, projekt zagospodarowania działki.

Zezwolenie na wyłączenie gruntów rolnych na działce, nie obejmuje całej jej powierzchni, lecz tylko taką powierzchnię, na jakiej w projekcie zagospodarowania terenu, zaplanowano rozpoczęcie innego niż rolnicze, wykorzystywanie gruntów.

W rozdziale 3 cyt. ustawy o ochronie gruntów rolnych i leśnych, określone zostały warunki oraz obowiązki, związane z uiszczaniem należności i opłat rocznych oraz wyłączenia, nie objęte obowiązkiem uiszczania opłat z tytułu wyłączenia.

W przypadku przedmiotowej nieruchomości, wyłączenie gruntów z produkcji rolnej, celem jej zagospodarowania, zgodne z miejscowym planem zagospodarowania przestrzennego, o którym mowa w pkt 4, wiązać się będzie z koniecznością poniesienia kosztów z tego tytułu.

Szczegółowy tryb wydawania decyzji w zakresie wyłączania gruntów rolnych z produkcji rolnej, dostępny jest pod adresem: https://bip.elblag.eu/sprawa-do-zalatwienia/335/wydawanie-decyzji-w-zakresie-wylaczenia-gruntow-rolnych-z-produkcji-rolnej lub bezpośrednio w Departamencie Ochrony Środowiska tut. Urzędu Miejskiego (pok. 242, tel.: 55 239-31-81).

d) Wyłączanie gruntów z produkcji rolnej odbywać się będzie własnym staraniem i na własny koszt Nabywcy.

e) Nabywca, zgodnie z art. 234 ust. 1 ustawy z dnia 20 lipca 2017 r. Prawo wodne (Dz. U. z 2024 poz. 1087 ze zm.), o ile przepisy ustawy nie stanowią inaczej, nie może:

- zmieniać kierunku i natężenia odpływu znajdujących się na jego gruncie wód opadowych lub roztopowych, ani kierunku odpływu wód ze źródeł – ze szkodą dla gruntów sąsiednich;

- odprowadzać wód oraz wprowadzać ścieków na grunty sąsiednie.

Na właścicielu gruntu będzie ciążyć obowiązek usunięcia przeszkód oraz zmian w odpływie wody, powstałych na jego gruncie, na skutek przypadku lub działania osób trzecich, ze szkodą dla gruntów sąsiednich.

f) Gmina Miasto Elbląg nie ponosi odpowiedzialności za wady ukryte nieruchomości.

g) W przypadku zaistnienia konieczności usunięcia drzew i krzewów z terenu nieruchomości, Nabywca zobowiązany będzie uczynić to własnym staraniem i na własny koszt. Wycinka może nastąpić po uzyskaniu przez Nabywcę stosownego zezwolenia i może wiązać się z opłatami z tego tytułu.

h) W związku z przebiegiem przez nieruchomość sieci uzbrojenia terenu, Nabywca zobowiązany będzie do złożenia oświadczenia, iż nie żąda i nie będzie żądać w przyszłości od Sprzedającego bądź gestorów tych sieci, ich usunięcia. Ponadto Nabywca zobowiąże się, w przypadku zgłoszenia przez gestorów sieci takiego żądania, do ustanowienia na ich rzecz służebności przesyłu, polegającej na prawie przebiegu sieci uzbrojenia terenu oraz prawie dostępu służb technicznych, w zakresie niezbędnym do eksploatacji tych sieci i usuwania awarii.

i) Sprzedaż i wydanie nieruchomości w posiadanie Nabywcy następuje według danych zawartych w ewidencji gruntów i budynków oraz w aktualnym stanie zagospodarowania, ewentualny koszt wznowienia punktów granicznych (granic) ponosi Nabywca.

13. Informacje dodatkowe:

a) Przetarg przeprowadzony zostanie w trybie przewidzianym przepisami ustawy z dnia 21 sierpnia 1997 r. o gospodarce nieruchomościami (t.j. Dz.U. z 2024 r. poz. 1145 ze zm.) oraz rozporządzenia Rady Ministrów z dnia 14 września 2004 r. w sprawie sposobu i trybu przeprowadzania przetargów oraz rokowań na zbycie nieruchomości (tj. Dz.U. 2021 r. poz. 2213).

b) Przetarg będzie ważny bez względu na liczbę uczestników, jeżeli chociaż jeden uczestnik zaoferuje cenę wyższą od ceny wywoławczej o co najmniej jedno postąpienie.

c) Organizator przetargu zawiadomi osobę ustaloną jako Nabywca nieruchomości o terminie i miejscu zawarcia umowy sprzedaży, najpóźniej w terminie 21 dni od dnia rozstrzygnięcia przetargu.

d) Nabycie nieruchomości przez cudzoziemca, w rozumieniu przepisów ustawy o nabywaniu nieruchomości przez cudzoziemców, wymaga uzyskania zezwolenia ministra właściwego do spraw wewnętrznych i administracji. W przypadku nie uzyskania, przez osobę ustaloną jako Nabywca nieruchomości, wymaganego zezwolenia, wpłacone wadium ulegnie przepadkowi na rzecz Gminy Miasto Elbląg.

e) Uczestnicy przetargu winni:

- legitymować się dowodem osobistym, a ponadto w przypadku prowadzenia działalności gospodarczej należy posiadać i przedłożyć komisji przetargowej:

• osoby fizyczne - zaświadczenie o wpisie w CEIDG (wydrukowane ze strony internetowej Centralnej Ewidencji i Informacji o Działalności Gospodarczej https://www.biznes.gov.pl/pl/wyszukiwarka-firm/),

• osoby prawne – wypis z właściwego rejestru, a w przypadku KRS – informację odpowiadającą odpisowi aktualnemu z Rejestru Przedsiębiorców (wydrukowaną ze strony internetowej Ministerstwa Sprawiedliwości https://ems.ms.gov.pl) oraz zgodę organów statutowych na nabycie nieruchomości stanowiącej przedmiot przetargu,

- złożyć pisemne oświadczenie o zapoznaniu się z warunkami i przedmiotem przetargu oraz o przyjęciu ich bez zastrzeżeń,

- złożyć pisemne oświadczenie, że znany jest im stan prawny i stan zagospodarowania nieruchomości,

- złożyć pisemne oświadczenie o sposobie uczestnictwa w przetargu i sposobie nabycia wylicytowanej nieruchomości.

f) W przypadku osób fizycznych, które przystępując do przetargu w ramach spółki cywilnej, działają również na rzecz nieuczestniczących w przetargu wspólników, winna zostać przedstawiona zgoda wspólników na nabycie nieruchomości lub umowa spółki uprawniająca wspólnika/wspólników uczestniczących w przetargu do nabywania nieruchomości bez zgody pozostałych wspólników.

g) W przypadku działania poprzez pełnomocnika, pełnomocnik winien ponadto przedłożyć komisji przetargowej oryginał pełnomocnictwa, sporządzonego w formie aktu notarialnego lub pełnomocnictwa z notarialnie poświadczonym podpisem.

h) W przypadku nabywania nieruchomości przez małżonków do wspólności ustawowej, na przetargu winni stawić się oboje małżonkowie lub jeden z małżonków, wraz z oryginałem szczegółowego pełnomocnictwa sporządzonego w formie aktu notarialnego lub pełnomocnictwa z notarialnie poświadczonym podpisem, albo ich pełnomocnik wraz z oryginałami szczegółowych pełnomocnictw obydwojga z małżonków, sporządzonymi w formie aktów notarialnych lub pełnomocnictw z notarialnie poświadczonymi podpisami.

i) Wszelkie koszty, w tym w szczególności opłaty notarialne i sądowe, związane z zawarciem umowy sprzedaży ponosi Nabywca.

14. Zastrzeżenia: Prezydent Miasta Elbląg może odwołać ogłoszony przetarg jedynie z ważnych powodów, niezwłocznie podając informację o odwołaniu przetargu do publicznej wiadomości z podaniem przyczyny odwołania przetargu.





Kontakt:
Urząd Miasta Elbląg
tel: 55 239-31-41
[Email protected]


Ogłoszenie wysłane z programu dla biur nieruchomości ASARI CRM (asaricrm.com)



Lokalizacja
Elbląg
warmińsko-mazurskie
Informacje
Numer oferty: 41746/3186/OGS
Kontakt
AMK Portal Sp. z o.o.
Urząd Miasta Elbląg
55 239-31-41

Podobne oferty

Działka

Elbląg, Jodłowa

PREZYDENT MIASTA ELBLĄG ogłasza drugi ustny przetarg nieograniczony na sprzedaż nieruchomości stanowiącej własność Gminy Miasto Elbląg (strona internetowa – http://www.umelblag.pl...

m2
151 000 zł
 Elbląg   Lotnicza

Działka

Elbląg, Lotnicza

PREZYDENT MIASTA ELBLĄG ogłasza trzeci ustny przetarg nieograniczony na sprzedaż nieruchomości stanowiącej własność Gminy Miasto Elbląg (strona internetowa - http://www.umelblag.pl...

m2
585 000 zł
 Elbląg   Strumykowa

Działka

Elbląg, Strumykowa

PREZYDENT MIASTA ELBLĄG ogłasza pierwszy ustny przetarg nieograniczony na sprzedaż nieruchomości stanowiącej własność Gminy Miasto Elbląg (strona internetowa – http://www.umelblag.pl...

m2
222 350 zł