Działka

Biskupiec , Bolesława Chrobrego

Działka

120 000 zł

Treść ogłoszenia

Wyciąg z ogłoszenia Burmistrza Biskupca (siedziba: 11-300 Biskupiec, ul. Aleja Niepodległości 2) o kolejnym przetargu ustnym nieograniczonym na zbycie niezabudowanej nieruchomości gruntowej, stanowiącej własność Gminy Biskupiec.



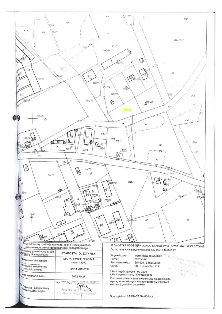
1. Oznaczenie nieruchomości wg księgi wieczystej i katastru nieruchomości, powierzchnia nieruchomości.

Nieruchomość położona w Biskupcu przy ul. Bolesława Chrobrego (obręb miasto Biskupiec 5), dla której prowadzona jest księga wieczysta nr OL1B/00012374/9, oznaczona numerem działki 286/32 o powierzchni 0,1667 ha


2. Forma zbycia.

Sprzedaż


3. Przeznaczenie.

Nieruchomość położona jest w terenie oznaczonym na rysunku miejscowego planu zagospodarowania przestrzennego symbolem RM-2 i przeznaczonym na tereny zabudowy zagrodowej w gospodarstwach rolnych, hodowlanych i ogrodniczych, dla których dopuszcza się również zagospodarowanie zgodne z ustaleniami dla terenów oznaczonych symbolem MNU-2 (tereny zabudowy mieszkaniowej jednorodzinnej z usługami nieuciążliwymi w wydzielonych częściach budynku lub w obiektach wolnostojących)


3. Cena wywoławcza.

120 000 zł (słownie: sto dwadzieścia tysięcy złotych). Cena zawiera podatek VAT w wysokości 23%.


4. Termin i miejsce przetargów.

5 czerwca 2025 roku, godz. 10:00, siedziba Urzędu Miejskiego w Biskupcu; adres: ul.Aleja Niepodległości 2, 11-300 Biskupiec, pokój nr 16 (I piętro, sala konferencyjna)


5. Wysokość wadium.

24 000 zł (słownie: dwadzieścia cztery tysiące złotych).


6. Miejsce wywieszenia i publikacji ogłoszenia o przetargu.

Tablica ogłoszeń w siedzibie Urzędu Miejskiego w Biskupcu, strona internetowa Urzędu www.biskupiec.pl, Biuletyn Informacji Publicznej www.bip.biskupiec.pl oraz serwis www.monitorurzedowy.pl


7. Dane teleadresowe, pod którymi można uzyskać szczegółowe informacje dotyczące przetargu.

Referat Gospodarki Gruntami Komunalnymi Urzędu: tel.89 715 01 44



Pełny tekst ogłoszenia o przetargu


Burmistrz Biskupca

ogłasza

kolejny przetarg ustny nieograniczony

na sprzedaż niezabudowanej nieruchomości gruntowej, stanowiącej własność Gminy Biskupiec, dla której Sąd Rejonowy w Biskupcu prowadzi księgę wieczystą nr OL1B/00012374/9, położonej w Biskupcu (obręb miasto Biskupiec 5), przy ulicy Bolesława Chrobrego, oznaczonej numerem działki 286/32 o powierzchni 0,1667 ha (oznaczenie wg użytków i klasy gruntu: RV). Nieruchomość położona jest w terenie z dostępem do elementów sieci: energetycznej i wodociągowej; teren działki płaski, nieco pochylony, kształt regularny – korzystny do zagospodarowania, dojazd drogą o nawierzchni gruntowej.


Cena wywoławcza 120 000 zł

(słownie: sto dwadzieścia tysięcy złotych)


Cena wywoławcza nieruchomości zawiera podatek VAT w wysokości 23%. Cena nieruchomości, uzyskana w przetargu, podlega zapłacie przed zawarciem umowy notarialnej (przenoszącej własność nieruchomości). Osoba ustalona na nabywcę nieruchomości ponosi ponadto koszty notarialne i sądowe. Ewentualne wznowienie granic nieruchomości na zlecenie i koszt nabywcy.



Nieruchomość nie jest przedmiotem obciążeń i zobowiązań na rzecz osób trzecich. Zagospodarowanie nieruchomości – zgodnie z planem zagospodarowania przestrzennego.



W miejscowym planie zagospodarowania przestrzennego miasta Biskupiec zatwierdzonym Uchwałą Nr XXX/211/05 Rady Miejskiej w Biskupcu z dnia 15 czerwca 2005 roku (Dz.Urz. Woj.War.-Maz. Nr 104 z dnia 11.08.2005r., poz.1404) nieruchomość położona jest w terenie oznaczonym na rysunku planu symbolem RM-2 i przeznaczonym na tereny zabudowy zagrodowej w gospodarstwach rolnych, hodowlanych i ogrodniczych, dla których dopuszcza się również zagospodarowanie zgodne z ustaleniami dla terenów oznaczonych symbolem MNU-2 (tereny zabudowy mieszkaniowej jednorodzinnej z usługami nieuciążliwymi w wydzielonych częściach budynku lub w obiektach wolnostojących). Szczegółowe informacje dotyczące zapisów planu zagospodarowania przestrzennego oraz obiektów znajdujących się w gminnej ewidencji zabytków można uzyskać w Referacie Budownictwa i spraw lokalowych Urzędu (pok.34), pod numerami telefonów: 897150115 i 897150138.



Sprzedaż nieruchomości następuje według danych zawartych w ewidencji gruntów i budynków oraz w aktualnym stanie zagospodarowania. W przypadku ewentualnego wznowienia granic, wykonanego na koszt i staraniem nabywcy, sprzedający nie bierze odpowiedzialności za ewentualnie wynikłe różnice. Publiczne dane z zasobu geodezyjnego i kartograficznego, obejmującego powiat olsztyński (Geoportal Powiatu Olsztyńskiego), dostępne są pod adresem internetowym: https://powiatolsztynski.geoportal2.pl (wg tych danych przez działkę przebiega nieczynna sieć wodociągowa).



Nabywca jest zobowiązany do udostępnienia nieruchomości osobom i jednostkom zobowiązanym do wykonania czynności związanych z eksploatacją sieci nadziemnych i podziemnych oraz urządzeń występujących na gruncie. W przypadku, gdy przebiegające sieci nadziemne i podziemne lub urządzenia występujące na terenie nieruchomości (ujawnione i nie ujawnione na mapie), kolidują z realizacją zamierzonej inwestycji, nabywca będzie zobowiązany do ich przełożenia własnym kosztem i staraniem, w uzgodnieniu z jednostkami branżowymi i właścicielem sieci. Ponadto, nabywca przejmuje obowiązek usunięcia z nieruchomości ewentualnych użytkowników bezumownych.



Dla przedmiotowej nieruchomości nie przeprowadzono badań geotechnicznych podłoża gruntowego. Sprzedający nie ponosi odpowiedzialności za złożone warunki geotechniczne gruntu.



Przetarg odbędzie się w dniu 5 czerwca 2025 roku o godz. 10:00 w Urzędzie Miejskim w Biskupcu przy ul. Aleja Niepodległości 2 (sala konferencyjna, I piętro, pok.16).



W przetargu mogą brać udział osoby, które w terminie do dnia 30 maja 2025 roku, wpłacą na rachunek bankowy Urzędu Miejskiego w Biskupcu Nr 45 1020 3541 00005902 0260 8230 PKO Bank Polski S.A. wymagane wadium (w pieniądzu) w wysokości 24 000 zł (słownie: dwadzieścia cztery tysiące złotych). Wadium powinno być wniesione z takim wyprzedzeniem, aby środki pieniężne znalazły się na rachunku bankowym Urzędu Miejskiego w Biskupcu najpóźniej w dniu 30 maja 2025 roku – pod rygorem uznania, że warunek wpłaty wadium nie został spełniony.




Uczestnicy przetargu są zobowiązani przedstawić, na żądanie komisji przetargowej:

- aktualny dokument potwierdzający tożsamość,

- aktualny odpis z właściwego rejestru, jeżeli uczestnikiem jest osoba prawna,

- oryginał potwierdzenia wniesienia wadium.



Pełnomocnicy uczestników przetargu winni okazać komisji przetargowej stosowne pełnomocnictwo, z podpisem mocodawcy poświadczonym notarialnie.



O wysokości postąpienia decydują uczestnicy przetargu, z tym, że postąpienie nie może wynosić mniej niż 1% ceny wywoławczej z zaokrągleniem w górę do pełnych dziesiątek złotych. Jeżeli żaden z uczestników przetargu nie zaoferuje postąpienia ponad cenę wywoławczą, wówczas przetarg zakończy się wynikiem negatywnym.



Uczestnikowi przetargu, który przetarg wygra, wpłacone wadium zostanie zaliczone na poczet ceny nabycia nieruchomości. Uczestnikom przetargu, którzy go nie wygrają, wadium zostanie zwrócone niezwłocznie po zamknięciu lub odwołaniu przetargu, jednak nie później niż przed upływem 3 dni od dnia, odpowiednio: odwołania przetargu, zamknięcia przetargu, unieważnienia lub zakończenia przetargu wynikiem negatywnym.



Nabywca nieruchomości zostanie zawiadomiony o terminie i miejscu zawarcia umowy sprzedaży w ciągu 21 dni od dnia rozstrzygnięcia przetargu. Jeżeli osoba ustalona jako nabywca nieruchomości nie przystąpi bez usprawiedliwienia do zawarcia umowy w miejscu i terminie podanym w zawiadomieniu, organizator przetargu może odstąpić od zawarcia umowy, a wpłacone wadium nie podlega zwrotowi.



Zastrzega się prawo odwołania przetargu z uzasadnionej przyczyny.



Przetarg przeprowadzony zostanie w oparciu o przepisy rozporządzenia Rady Ministrów z dnia 14 września 2004r. w sprawie sposobu i trybu przeprowadzania przetargów oraz rokowań na zbycie nieruchomości (j.t. Dz.U. z 2021 r., poz. 2213). Terminy przeprowadzenia poprzednich przetargów: 12.03.2024 r.,11.06.2024 r., 19.09.2024 r. i 23.01.2025 r. Dodatkowe informacje w sprawie procedury przetargowej można uzyskać w Referacie Gospodarki Gruntami Komunalnymi Urzędu (pok.32, tel. 897150144).





Kontakt:
Urząd Miasta Biskupiec
tel: 89 715 01 44
[Email protected]


Ogłoszenie wysłane z programu dla biur nieruchomości ASARI CRM (asaricrm.com)



Lokalizacja
Biskupiec
warmińsko-mazurskie
Informacje
Numer oferty: 41689/3186/OGS
Kontakt
AMK Portal Sp. z o.o.
Urząd Miasta Biskupiec
89 715 01 44

Podobne oferty

 Biskupiec

Działka

Biskupiec

Wyciąg z ogłoszenia Burmistrza Biskupca (siedziba: 11-300 Biskupiec, ul. Aleja Niepodległości 2) o pierwszych przetargach ustnych nieograniczonych na zbycie niezabudowanych...

m2
166 000 zł
 Biskupiec   Bolesława Chrobrego

Działka

Biskupiec, Bolesława Chrobrego

Wyciąg z ogłoszenia Burmistrza Biskupca (siedziba: 11-300 Biskupiec, ul. Aleja Niepodległości 2) o drugim przetargu ustnym nieograniczonym na zbycie niezabudowanej...

m2
208 000 zł
 Biskupiec   Złota

Działka

Biskupiec, Złota

Wyciąg z ogłoszenia Burmistrza Biskupca (siedziba: 11-300 Biskupiec, ul. Aleja Niepodległości 2) o kolejnym przetargu ustnym nieograniczonym na zbycie niezabudowanej...

m2
200 000 zł