Konkurs na sprzedaż z wolnej ręki udziału 12

Płock , Zielona

Dom
72 m2
4 pokoje

67 000 zł

Treść ogłoszenia

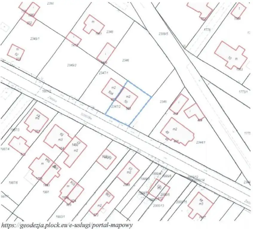
Syndyk masy upadłości Hanny Przemyłskiej – osoby fizycznej nieprowadzącej działalności gospodarczej w postępowaniu upadłościowym, sygn. akt PL1P/GUp-s/283/2024 ogłasza konkurs na sprzedaż z wolnej ręki udziału w wysokości ½ w prawie własności zabudowanej nieruchomości gruntowej (działka nr 2347/2) o powierzchni 0,0302 ha położonej w Płocku przy ulicy Zielonej 50, dla której Sąd Rejonowy w Płocku, VI Wydział Ksiąg Wieczystych prowadzi księgę wieczystą o numerze KW PL1P/00022109/9.

Cena wywoławcza sprzedaży udziału w nieruchomości wynosi 67.000,00 zł (sześćdziesiąt siedem tysięcy złotych).



Zainteresowani winni dokonać wpłaty wadium w wysokości 6.700,00 zł (sześć tysięcy siedemset złotych) na rachunek masy upadłości o numerze 53 1940 1076 3166 5546 0000 0000 prowadzony przez Credit Agricole Bank Polska S.A. w nieprzekraczalnym terminie do dnia 02 grudnia 2025 r. oraz złożyć w tym terminie ofertę osobiście w Biurze Syndyka w Płocku, Plac Dąbrowskiego 7 lub przesłać je listami poleconymi na adres Kancelarii Syndyka ul. Lipowa 14, 09-408 Płock (decyduje data wpływu oferty).



Otwarcie ofert nastąpi w dniu 04 grudnia 2025 r. w Biurze Syndyka w Płocku, Plac Dąbrowskiego 7, 09-402 Płock, o godz. 10.45. Oferty będą otwierane i rozpoznawane przez syndyka w obecności oferentów.



Warunki konkursu oraz operat szacunkowy udziału w sprzedawanej nieruchomości dostępne są w Biurze Syndyka w Płocku przy Placu Dąbrowskiego 7. Warunki konkursu dostępne są również na stronie internetowej www.syndykplock.pl. Informacje można uzyskać również pod numerem telefonu 24 235 63 41.



Kontakt:
Syndyk Anna Kubera
tel: 24 235 63 41
[Email protected]


Ogłoszenie wysłane z programu dla biur nieruchomości ASARI CRM (asaricrm.com)



Lokalizacja
Płock
mazowieckie
Informacje
Powierzchnia: 72 m2
4 pokoje
Numer oferty: 9013/3186/ODS
Kontakt
AMK Portal Sp. z o.o.
Syndyk Anna Kubera
24 235 63 41

Podobne oferty

 Płock   Górna

Konkurs oferty - udział 12 w prawie własności

Płock, Górna

Syndyk masy upadłości Elżbiety Kaczyńskiej – osoby fizycznej nieprowadzącej działalności gospodarczej w postępowaniu upadłościowym, sygn. akt PL1P/GUp-s/13/2023 ogłasza konkurs na...

85 m2
5 pokoi
84 500 zł
994 zł/m2
 Płock   Stoczniowa

Konkurs ofert - udział 12

Płock, Stoczniowa

Syndyk masy upadłości Beaty Kwaśniewskiej – osoby fizycznej nieprowadzącej działalności gospodarczej w postępowaniu upadłościowym, sygn. akt PL1P/GUp-s/258/2024 ogłasza konkurs na...

74 m2
2 pokoje
97 400 zł
1 316 zł/m2
 Płock   Zielona

Konkurs na sprzedaż z wolnej ręki udziału 12

Płock, Zielona

Syndyk masy upadłości Hanny Przemyłskiej – osoby fizycznej nieprowadzącej działalności gospodarczej w postępowaniu upadłościowym, sygn. akt PL1P/GUp-s/283/2024 ogłasza konkurs na...

72 m2
4 pokoje
100 600 zł
1 397 zł/m2