Lokal

Elbląg , Królewiecka

Komercyjne
39 m2

152 000 zł

Treść ogłoszenia

PREZYDENT MIASTA ELBLĄG

ogłasza

pierwszy ustny przetarg nieograniczony

na sprzedaż nieruchomości lokalowej, stanowiącej własność Gminy Miasta Elbląg

(strona internetowa - http://www.umelblag.pl BIP - https://bip.elblag.eu)

(tel. kontaktowy 55-239-31-41, 55-239-34-51, [Email protected])



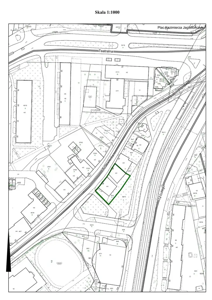
1. Lokalizacja: Elbląg, ul. Królewiecka 46/1U.

2. Opis nieruchomości: lokal użytkowy, usytuowany na parterze trzykondygnacyjnego budynku mieszkalnego, składający się z sali sprzedaży, pomieszczenia magazynowego oraz WC, o łącznej powierzchni użytkowej 39,3 m². Z własnością lokalu związany jest udział do 0,045 części wspólnych i niepodzielnych budynku oraz w prawie własności gruntu, na którym posadowione są budynki przy ul. Królewieckiej 46 i ul. Królewieckiej 48.

Wejście do lokalu bezpośrednio z chodnika od frontu budynku przy ul. Królewieckiej 46. Lokal wymaga poniesienia znacznych nakładów na remont kapitalny i prace adaptacyjne do współczesnych form prowadzenia działalności. Ogrzewanie lokalu – piec kaflowy. W lokalu brak instalacji ciepłej wody.

Budynek przy ul. Królewieckiej 46, w którym zlokalizowany jest przedmiotowy lokal, wybudowany został w 1910 r., o konstrukcji mieszanej, wyposażony jest w instalacje: wodociągową, kanalizacji sanitarnej, elektryczną oraz gazową. Pokrycie dachowe – dachówka ceramiczna.

Budynek przy ul. Królewieckiej 46 wpisany jest do Gminnej Ewidencji Zabytków.

3. Oznaczenie nieruchomości wg danych ewidencji gruntów i budynków: obręb 15, działka nr 54/5 o powierzchni 0,0639 ha, dla której Sąd Rejonowy w Elblągu prowadzi księgę wieczystą nr EL1E/00093389/1.

4. Uzbrojenie: nieruchomość położona na terenie uzbrojonym w media komunalne. Informacje dotyczące istniejących sieci uzbrojenia dostępne są w Departamencie Gospodarki Nieruchomościami i Geodezji Urzędu Miejskiego w Elblągu (Miejski Ośrodek Dokumentacji Geodezyjnej i Kartograficznej, Al. Tysiąclecia 11A, pok. 12, tel. 55 237-47-11 do 55 237-47-14).

5. Cena wywoławcza nieruchomości: 152.000 zł (słownie złotych: sto pięćdziesiąt dwa tysiące), w tym: lokal 139.850 zł (słownie złotych: sto trzydzieści dziewięć tysięcy osiemset pięćdziesiąt), udział w gruncie 12.150 zł (słownie złotych: dwanaście tysięcy sto pięćdziesiąt).

Do sprzedaży nieruchomości mają zastosowanie przepisy ustawy o podatku od towarów i usług (VAT), obowiązujące w dniu zawarcia umowy sprzedaży. Na dzień publikacji ogłoszenia, sprzedaż lokalu jest zwolniona z opodatkowania podatkiem od towarów i usług (VAT). W przypadku zmian przepisów prawa w tym zakresie, do wylicytowanej ceny lokalu, zostanie doliczony należny podatek VAT. Wylicytowaną cenę sprzedaży nieruchomości, należy wpłacić na rachunek bankowy Urzędu Miejskiego w Elblągu (podany w protokole z przetargu), przed zawarciem umowy sprzedaży.

6. Warunki udziału w przetargu: w przetargu mogą uczestniczyć osoby, które wpłacą wadium, złożą oświadczenie, że znany jest im stan prawny i stan zagospodarowania nieruchomości, stanowiącej przedmiot przetargu oraz oświadczenie o zapoznaniu się z warunkami i przedmiotem przetargu oraz o przyjęciu ich bez zastrzeżeń.

7. Termin i miejsce oględzin nieruchomości: lokal zostanie udostępniony do oglądania w dniach od 4 do 6 listopada 2025 r. w godzinach od 1000 do 1400, po uprzednim uzgodnieniu godziny z administratorem, pod numerem tel.: 55 221-20-26 lub 55 221-20-20.

8. Termin i miejsce przeprowadzenia przetargu: przetarg odbędzie się w dniu 17 listopada 2025 r. o godz. 10:00, w sali 300 w Urzędzie Miejskim przy ul. Łączności 1 w Elblągu.

9. Termin, miejsce wpłaty oraz wysokość wadium: wadium w wysokości 25.000 zł (słownie złotych: dwadzieścia pięć tysięcy), należy wpłacić na konto w Banku Millennium S.A. z siedzibą w Warszawie nr 02 1160 2202 0000 0006 2123 0769, w terminie do dnia 10 listopada 2025 r. Wadium wpłacone przez uczestnika przetargu, który ustalony zostanie jako Nabywca, zaliczone zostanie na poczet ceny nabycia nieruchomości. Pozostałym uczestnikom przetargu wadium zostanie zwrócone niezwłocznie po zamknięciu przetargu, jednak nie później niż przed upływem 3 dni.

10. Wysokość postąpienia: o wysokości postąpienia decydują uczestnicy przetargu, z tym że postąpienie nie może wynosić mniej niż 1% ceny wywoławczej, z zaokrągleniem do pełnych dziesiątek złotych i wynosi minimum 1.520 zł.

11. Skutki uchylenia się od zawarcia umowy sprzedaży: jeżeli uczestnik przetargu ustalony jako Nabywca, uchyli się od podpisania umowy sprzedaży w formie aktu notarialnego, wpłacone wadium nie będzie podlegało zwrotowi.

12. Informacje dodatkowe:

a) Nieruchomość lokalowa objęta przetargiem stanowi własność Gminy Miasto Elbląg i nie jest obciążona żadnymi prawami i długami wobec osób trzecich.

b) Budynek, w którym usytuowany jest lokal objęty przetargiem, wpisany jest do Gminnej Ewidencji Zabytków, na podstawie Zarządzenia Nr 490/2012 Prezydenta Miasta Elbląg z dnia 26 października 2012 r. w sprawie założenia Gminnej Ewidencji Zabytków dla Gminy Miasto Elbląg (ze zmianami).

c) Gmina Miasto Elbląg nie ponosi odpowiedzialności za wady ukryte nieruchomości.

d) Sprzedaż i wydanie nieruchomości w posiadanie Nabywcy, następuje według danych zawartych w ewidencji gruntów i budynków i w aktualnym stanie zagospodarowania.

e) Przetarg przeprowadzony zostanie w trybie przewidzianym przepisami ustawy z dnia 21 sierpnia 1997 r. o gospodarce nieruchomościami (Dz.U. z 2024 r. poz. 1145 ze zm.) oraz rozporządzenia Rady Ministrów z dnia 14 września 2004 r. w sprawie sposobu i trybu przeprowadzania przetargów oraz rokowań na zbycie nieruchomości (Dz.U. z 2021 r., poz. 2213).

f) Przetarg będzie ważny bez względu na liczbę uczestników, jeżeli chociaż jeden uczestnik zaoferuje cenę wyższą od ceny wywoławczej, o co najmniej jedno postąpienie.

g) Nabycie nieruchomości przez cudzoziemca, w rozumieniu przepisów ustawy o nabywaniu nieruchomości przez cudzoziemców, może wymagać uzyskania zezwolenia ministra właściwego do spraw wewnętrznych i administracji. W przypadku nie uzyskania zezwolenia wpłacone wadium nie będzie podlegało zwrotowi.

h) Organizator przetargu zawiadomi osobę ustaloną jako Nabywca nieruchomości o miejscu i terminie zawarcia umowy sprzedaży, najpóźniej w terminie 21 dni od dnia rozstrzygnięcia przetargu.

i) Uczestnicy przetargu winni:

- legitymować się dowodem osobistym, a ponadto w przypadku prowadzenia działalności gospodarczej należy posiadać i przedłożyć komisji przetargowej:

· osoby fizyczne - zaświadczenie o wpisie w CEIDG (wydrukowane ze strony internetowej Centralnej Ewidencji i Informacji o Działalności Gospodarczej https://www.biznes.gov.pl/pl/wyszukiwarka-firm/),

· osoby prawne – wypis z właściwego rejestru, a w przypadku KRS - informację odpowiadającą odpisowi aktualnemu z Rejestru Przedsiębiorców (wydrukowaną ze strony internetowej Ministerstwa Sprawiedliwości https://ems.ms.gov.pl) oraz zgodę organów statutowych na nabycie nieru­chomości stanowiącej przedmiot przetargu,

- złożyć pisemne oświadczenie o zapoznaniu się z warunkami i przedmiotem przetargu oraz o przyjęciu ich bez zastrzeżeń,

- złożyć pisemne oświadczenie, że znany jest im stan prawny i stan zagospodarowania nieruchomości,

- złożyć pisemne oświadczenie o sposobie uczestnictwa w przetargu i sposobie nabycia wylicytowanej nieruchomości,

- złożyć pisemne oświadczenie o wyrażeniu zgody na przetwarzanie danych osobowych w celach związanych z nabyciem wylicytowanej nieruchomości.

j) W przypadku osób fizycznych, które przystępując do przetargu w ramach spółki cywilnej, działają również na rzecz nieuczestniczących w przetargu wspólników, winna zostać przedstawiona zgoda wspólników na nabycie nieruchomości lub umowa spółki uprawniająca wspólnika/wspólników uczestniczących w przetargu do nabywania nieruchomości bez zgody pozostałych wspólników.

k) W przypadku działania poprzez pełnomocnika, pełnomocnik winien ponadto przedłożyć komisji przetargowej oryginał pełnomocnictwa sporządzonego w formie aktu notarialnego lub pełnomocnictwa z notarialnie poświadczonym podpisem.

l) W przypadku nabywania nieruchomości przez małżonków do wspólności ustawowej, na przetargu winni stawić się oboje małżonkowie lub jeden z małżonków wraz z oryginałem szczegółowego pełnomocnictwa, sporządzonego w formie aktu notarialnego lub pełnomocnictwa z notarialnie poświadczonym podpisem albo ich pełnomocnik wraz z oryginałami szczegółowych pełnomocnictw obydwojga z małżonków, sporządzonymi w formie aktów notarialnych lub pełnomocnictw z notarialnie poświadczonymi podpisami.

m) Wszelkie koszty, w tym w szczególności opłaty notarialne i sądowe, związane ze spisaniem umowy sprzedaży ponosi Nabywca.


13. Zastrzeżenia: Prezydent Miasta Elbląg może odwołać ogłoszony przetarg jedynie z ważnych powodów, niezwłocznie podając informację o odwołaniu przetargu do publicznej wiadomości z podaniem przyczyny odwołania przetargu.



Kontakt:
Urząd Miasta Elbląg
tel: 55 239-31-41
[Email protected]


Ogłoszenie wysłane z programu dla biur nieruchomości ASARI CRM (asaricrm.com)



Lokalizacja
Elbląg
warmińsko-mazurskie
Informacje
Powierzchnia: 39 m2
Numer oferty: 2614/3186/OLS
Kontakt
AMK Portal Sp. z o.o.
Urząd Miasta Elbląg
55 239-31-41

Podobne oferty

Lokal

Elbląg, Browarna

PREZYDENT MIASTA ELBLĄG ogłasza drugi ustny przetarg nieograniczony na sprzedaż nieruchomości lokalowej, stanowiącej własność Gminy Miasta Elbląg (strona internetowa -...

51 m2
160 000 zł
3 137 zł/m2

Lokal

Elbląg, al. Odrodzenia

PREZYDENT MIASTA ELBLĄG ogłasza pierwszy ustny przetarg nieograniczony na sprzedaż nieruchomości lokalowej, stanowiącej własność Gminy Miasta Elbląg (strona internetowa -...

57 m2
144 000 zł
2 526 zł/m2
 Elbląg   Browarna

Lokal

Elbląg, Browarna

PREZYDENT MIASTA ELBLĄG ogłasza piąty ustny przetarg nieograniczony na sprzedaż nieruchomości lokalowej, stanowiącej własność Gminy Miasta Elbląg (strona internetowa -...

51 m2
120 000 zł
2 353 zł/m2