Przetarg - działka zabudowana

Dąbrowa górnicza , Górki

Działka

595 190 zł

Treść ogłoszenia

Prezydent Miasta Dąbrowy Górniczej


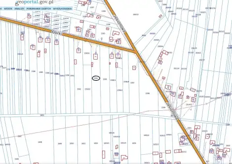
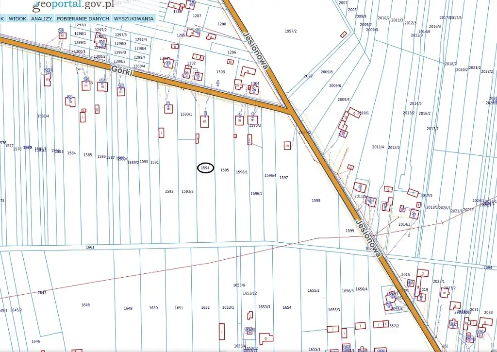
ogłasza, że w dniu 29.05.2025 r. o godz. 12:00 w Urzędzie Miejskim w Dąbrowie Górniczej przy ul. Granicznej 21, odbędzie się piąty przetarg ustny nieograniczony na sprzedaż nieruchomości zabudowanej stanowiącej własność Gminy Dąbrowa Górnicza położonej w Dąbrowie Górniczej przy ul. Górki 5, ozn. nr geod. 1594 o pow. 4520 m² (obręb Błędów). Księga wieczysta prowadzona jest dla nieruchomości składającej się wyłącznie z przedmiotowej działki (identyfikator 246501_1.0001.1594). Działy I-Sp, III i IV księgi wieczystej wolne są od wpisów.

Pierwszy przetarg ustny nieograniczony na sprzedaż przedmiotowej nieruchomości odbył się 4.12.2023 r., drugi 11.04.2024 r., trzeci 30.07.2024 r., a czwarty 21.01.2025 r.


Cena wywoławcza nieruchomości wynosi: 595.190,00 zł

Wadium wynosi: 119.038,00 zł


Sprzedaż nieruchomości na dzień ogłoszenia przetargu jest zwolniona z podatku VAT na podstawie ustawy z dnia 11.03.2004 r. o podatku od towarów i usług.

W przypadku zmiany przepisów o podatku od towarów i usług stawki zostaną dostosowane do obowiązujących w dacie sprzedaży nieruchomości.

Przedmiotowa nieruchomość zabudowana jest budynkiem mieszkalnym użytkowanym poprzednio jako placówka oświatowa (przedszkole, szkoła) oraz wynajmowanym pod działalność handlowo-usługową (lokal gastronomiczny).

Budynek wolnostojący, wybudowany w technologii tradycyjnej w latach 70/80-tych XX wieku, o pow. użytkowej 238,37 m², dwukondygnacyjny, bez podpiwniczenia, strych nieużytkowy. Dach czterospadowy, kryty papą. Elewacja otynkowana tynkiem cementowo-wapiennym tylko na poziomie parteru. Stolarka okienna drewniana i z PVC, stolarka drzwiowa drewniana. Tynki wewnątrz budynku tradycyjne, podłogi kryte lastriko, panelami. Schody zabiegowe, żelbetowe.

Stan techniczny budynku przeciętny – wymagający częściowego remontu.

Świadectwo charakterystyki energetycznej zostanie sporządzone przed zawarciem notarialnej umowy sprzedaży.

Nieruchomość ogrodzona, o kształcie regularnym zbliżonym do trapezu, wydłużonym. Na działce znajduje się także budynek gospodarczy wybudowany w latach 60-tych XX wieku, murowany, jednokondygnacyjny, kryty papą, stolarka okienna i drzwiowa drewniana, o pow. użytkowej 33,66 m². Stan techniczny budynku zły – wymagający generalnego remontu.

Nieruchomość uzbrojona i posiadająca dostęp do podstawowych urządzeń infrastruktury technicznej: sieci elektroenergetycznej, wodociągowej, gazowej oraz teletechnicznej. Dysponentom poszczególnych sieci przysługiwać będzie prawo nieodpłatnego i nieograniczonego dostępu do tych sieci w razie wystąpienia awarii lub prowadzenia prac remontowych. Według klasyfikacji użytków zawartej w ewidencji gruntów i budynków działka stanowi tereny mieszkaniowe (B) oraz łąki trwałe (ŁIV, ŁV).

Nieruchomość wolna jest od obciążeń i nie jest przedmiotem żadnych zobowiązań.

Osoby zainteresowane udziałem w przetargu zobowiązane są do obejrzenia budynku po uprzednim uzgodnieniu terminu z Miejskim Zarządem Budynków Mieszkalnych pod numerem tel. 32 260 86 52 lub 32 260 86 40.

Brak obowiązującego miejscowego planu zagospodarowania przestrzennego.

Zgodnie z II edycją „Studium uwarunkowań i kierunków zagospodarowania przestrzennego miasta Dąbrowa Górnicza” zatwierdzonego Uchwałą Nr XXIII/374/08 Rady Miejskiej w Dąbrowie Górniczej z dnia 30.01.2008 r., zmienionego Uchwałą Nr XXXIII/706/2017 Rady Miejskiej w Dąbrowie Górniczej z dnia 22.11.2017 r. oraz zmienionego Uchwałą Nr LIX/1018/2023 Rady Miejskiej w Dąbrowie Górniczej z dnia 06.09.2023 r., nieruchomość znajduje się na obszarze ozn. symb.: J28MN1 – tereny zabudowy mieszkaniowej jednorodzinne; J5ER – tereny rolniczej przestrzeni produkcyjnej wyłączone z zabudowy.

Szczegółowe warunki zagospodarowania przedmiotowej nieruchomości (w tym nakazy i zakazy) są zamieszczone w ustaleniach ww. II edycji „Studium …” wraz ze zmianami, z którymi należy zapoznać się w Wydziale Urbanistyki Urzędu Miejskiego w Dąbrowie Górniczej lub na stronie Biuletynu Informacji Publicznej: www.bip.dg.pl (zakładka: Spisy podmiotowe → Planowanie przestrzenne, zabytki → Dokumenty obowiązujące).

Przetarg zostanie przeprowadzony na podstawie ustawy z dnia 21 sierpnia 1997 r. o gospodarce nieruchomościami oraz przepisów Rozporządzenia Rady Ministrów z dnia 14 września 2004 r. w sprawie sposobu i trybu przeprowadzania przetargów oraz rokowań na zbycie nieruchomości.

Warunkiem uczestnictwa w przetargu jest wniesienie określonej w niniejszym ogłoszeniu kwoty wadium w pieniądzu na konto Urzędu Miejskiego w Dąbrowie Górniczej nr 57 1560 0013 2002 3620 7000 0049 w VeloBank S.A. (ze wskazaniem oznaczenia nieruchomości oraz uczestnika przetargu – w przypadku, gdy uczestnikiem jest inny podmiot niż dokonujący wpłaty), w terminie do dnia 21.05.2025 r. /za datę wniesienia wadium uważa się datę wpływu środków pieniężnych na rachunek Urzędu Miejskiego/.

Wadium zwraca się niezwłocznie (jednak nie później niż przed upływem 3 dni) po zamknięciu, odwołaniu, unieważnieniu lub zakończeniu przetargu wynikiem negatywnym. Wadium wniesione przez uczestnika, który przetarg wygra, zostanie zaliczone na poczet ceny nabycia nieruchomości.

Prezydent Miasta powiadomi osobę ustaloną jako nabywcę nieruchomości o miejscu i terminie zawarcia umowy sprzedaży w pisemnym zawiadomieniu, najpóźniej w ciągu 21 dni od dnia rozstrzygnięcia przetargu. W przypadku nieprzystąpienia nabywcy do zawarcia umowy notarialnej bez usprawiedliwienia tj. niestawienia się w miejscu i terminie wskazanym w zawiadomieniu czy braku wpłaty ceny sprzedaży nieruchomości w kwocie i terminie w nim ujętym (za dochowanie terminu wpłaty uważa się wpływ środków pieniężnych na konto Urzędu Miejskiego), Prezydent Miasta może odstąpić od zawarcia umowy, a wniesione wadium nie podlega zwrotowi.

Cena nabycia przedmiotowej nieruchomości będzie płatna przed podpisaniem umowy notarialnej, nie później niż 3 dni przed terminem zawarcia umowy notarialnej.

Nabycie nieruchomości przez cudzoziemców może nastąpić w przypadku uzyskania zezwolenia Ministra Spraw Wewnętrznych, jeżeli wymagają tego przepisy ustawy z dnia 24.03.1920 r. o nabywaniu nieruchomości przez cudzoziemców. Nabywca zobowiązany jest do ustalenia we własnym zakresie, czy nabycie nieruchomości będącej przedmiotem przetargu wymaga takiego zezwolenia i ponosi z tego tytułu prawną odpowiedzialność.

Prezydent Miasta zastrzega sobie prawo do:
- dokonania zmian w ogłoszeniu o przetargu, w tym zmiany terminu przetargu i terminu wpłaty wadium. Ewentualne zmiany będą wywieszone na tablicy ogłoszeń w Urzędzie Miejskim w Dąbrowie Górniczej, ul. Graniczna 21 i opublikowane na stronie internetowej Urzędu: www.dg.pl (zakładka: Aktualności / Nieruchomości) oraz Biuletynie Informacji Publicznej: www.bip.dg.pl (zakładka: Spisy podmiotowe / Zbycie nieruchomości) – najpóźniej na 7 dni przed terminem przetargu;
- odwołania przetargu z ważnych powodów, podając informację o odwołaniu przetargu do publicznej wiadomości;
- unieważnienia przetargu bez podania przyczyny.

Zastrzega się prawo do ogłoszenia przez Komisję Przetargową przerwy w przetargu celem np. zweryfikowania dodatkowych dokumentów bądź informacji dotyczących przedmiotu przetargu, które wyniknęły po jego otwarciu.

W przypadku odwołania bądź unieważnienia przetargu (w szczególności z przyczyn niezależnych od Prezydenta Miasta) koszty poniesione przez uczestników nie będą zwracane.

Osoby, które spóźnią się na otwarcie przetargu, tj. wejdą na salę po przeczytaniu listy osób dopuszczonych do przetargu, mogą nie zostać dopuszczone przez Komisję Przetargową do udziału w przetargu.

Osoby fizyczne biorące udział w przetargu winny mieć ze sobą dowód osobisty lub paszport, a podmioty prowadzące działalność gospodarczą dodatkowo - aktualny wypis ze stosownego rejestru.

Gmina Dąbrowa Górnicza nie ponosi odpowiedzialności za sieci przebiegające przez nieruchomości będące przedmiotem przetargów, a nieujawnione na istniejących mapach geodezyjnych i dokumentach.

Niezależnie od podanych powyżej informacji, nabywca odpowiada za samodzielne zapoznanie się ze stanem prawnym i faktycznym nieruchomości oraz jej aktualnym sposobem zagospodarowania, jej parametrami oraz możliwością zagospodarowania. Rozpoznanie wszelkich warunków faktycznych i prawnych niezbędnych do realizacji planowanej inwestycji, leży w całości po stronie nabywcy i stanowi obszar jego ryzyka.
Celem ewentualnego zbadania gruntu we własnym zakresie i na własny koszt należy zwrócić się do Wydziału Gospodarki Nieruchomościami Urzędu Miejskiego w Dąbrowie Górniczej o zgodę na wejście w teren.

Wszelkie koszty związane ze sprzedażą nieruchomości (w szczególności: notarialne, sądowe, geodezyjne, m.in. ewentualnego okazania granic/wskazania położenia punktów granicznych), usunięciem z terenu nieruchomości ewentualnych zanieczyszczeń (w tym przedmiotów pozostawionych w budynkach) i innych rzeczy kolidujących z inwestycją (w tym drzew i krzewów) czy dokonanie wyburzeń ponosi nabywca.

Z ewentualnym wnioskiem o wycinkę drzew i krzewów z terenu nieruchomości zobowiązany będzie wystąpić nabywca nieruchomości osobiście.

Sprzedaż nieruchomości nastąpi zgodnie z wypisem z rejestru gruntów oraz wyrysem z mapy ewidencyjnej. Nabywca zobowiązany będzie w notarialnej umowie sprzedaży złożyć oświadczenie, że nie będzie występował z roszczeniami z tytułu ewentualnej niezgodności w zakresie rodzaju użytków oraz ewentualnej różnicy w powierzchni sprzedawanej nieruchomości, jeżeli po jej sprzedaży, w wyniku pomiarów wykonanych przez uprawnionego geodetę, okaże się, że powierzchnia przedmiotowej nieruchomości jest inna, niż jej oznaczenie we wskazanych wyżej dokumentach.

Sprzedaż nieruchomości nastąpi zgodnie z wydanym przez Wydział Urbanistyki zaświadczeniem o jej przeznaczeniu w miejscowym planie zagospodarowania przestrzennego. Nabywca zobowiązany będzie w notarialnej umowie sprzedaży złożyć oświadczenie, że nie będzie występował z roszczeniami z tytułu ewentualnej niezgodności w zakresie przeznaczenia sprzedawanej nieruchomości w miejscowym planie zagospodarowania przestrzennego, jeżeli po jej sprzedaży, w wyniku prowadzonych w rejonie prac geodezyjnych, okaże się, że granice nieruchomości znajdują się również w obszarze terenu o innym, sąsiednim przeznaczeniu.


Przed otwarciem przetargu:

1. Uczestnik przetargu będzie zobowiązany do złożenia oświadczenia (druk oświadczenia otrzymają Państwo w dniu przetargu):

a. że zapoznał się z treścią pełnego ogłoszenia o przetargu, ze stanem faktycznym i prawnym nieruchomości oraz warunkami przetargu i przyjmuje te warunki bez zastrzeżeń,

b. że zapoznał się ze szczegółowymi warunkami zagospodarowania przedmiotowej nieruchomości (w tym nakazami i zakazami) określonymi w II edycji „Studium uwarunkowań i kierunków zagospodarowania przestrzennego miasta Dąbrowa Górnicza” obowiązującego dla tego terenu,

c. że przyjmuje do wiadomości, że sprzedaż nieruchomości następuje zgodnie z wypisem z rejestru gruntów oraz wyrysem z mapy ewidencyjnej i zobowiązuje się do złożenia w notarialnej umowie sprzedaży oświadczenia, że nie będzie występować z roszczeniami z tytułu ewentualnej niezgodności w zakresie rodzaju użytków oraz ewentualnej różnicy w powierzchni sprzedawanej nieruchomości, jeżeli po jej sprzedaży, w wyniku pomiarów wykonanych przez uprawnionego geodetę, okaże się, że powierzchnia przedmiotowej nieruchomości jest inna, niż jej oznaczenie we wskazanych wyżej dokumentach,

d. że przyjmuje do wiadomości, że sprzedaż nieruchomości następuje zgodnie z wydanym przez Wydział Urbanistyki zaświadczeniem o jej przeznaczeniu w miejscowym planie zagospodarowania przestrzennego i zobowiązuje się do złożenia w notarialnej umowie sprzedaży oświadczenia, że nie będzie występować z roszczeniami z tytułu ewentualnej niezgodności w zakresie przeznaczenia sprzedawanej nieruchomości w miejscowym planie zagospodarowania przestrzennego, jeżeli po jej sprzedaży, w wyniku prowadzonych w rejonie prac geodezyjnych, okaże się, że granice nieruchomości znajdują się również w obszarze terenu o innym, sąsiednim przeznaczeniu,

e. przyjmuje do wiadomości, że Gmina Dąbrowa Górnicza nie ponosi odpowiedzialności za sieci przebiegające przez w/w nieruchomość, nieujawnione na istniejących mapach geodezyjnych i dokumentach,

f. czy jest cudzoziemcem w rozumieniu ustawy z dnia 24.03.1920 r. o nabywaniu nieruchomości przez cudzoziemców,

g. że na podstawie art. 6 pkt 1 lit a RODO wyraża zgodę na przetwarzanie podanych danych w celu realizacji procedury sprzedaży przedmiotowej nieruchomości,

h. dokonał oględzin zabudowań usytuowanych na nieruchomości będącej przedmiotem przetargu i jest mu znany ich stan faktyczny, i z tego tytułu nie wnosi zastrzeżeń, i nie będzie w przyszłości zgłaszać roszczeń do sprzedającego.

Gdy uczestnikiem przetargu jest osoba pozostająca w związku małżeńskim, zobowiązana będzie złożyć oświadczenie:

2. co do obowiązującego w małżeństwie ustroju majątkowego,

3. określające majątek (wspólny, osobisty), do którego ma nastąpić nabycie nieruchomości.

Jeżeli uczestnik przetargu będący osobą fizyczną, pozostaje w związku małżeńskim, w którym obowiązuje ustrój wspólności majątkowej, wygrywając przetarg zobowiązany będzie do zawarcia notarialnej umowy sprzedaży wspólnie z małżonkiem/ą lub za jego/jej zgodą. W razie braku zgody współmałżonka/i na zawarcie umowy wpłacone wadium nie podlega zwrotowi.

W przypadku, gdy oświadczenie uczestnika przetargu będącego osobą fizyczną, pozostającego w związku małżeńskim, w którym obowiązuje ustrój wspólności majątkowej, o nabyciu nieruchomości do majątku osobistego, okaże się błędne i okoliczność ta wyjdzie na jaw po zamknięciu przetargu i podpisaniu protokołu, do zawarcia notarialnej umowy sprzedaży nie dojdzie, a wadium ulegnie przepadkowi.

Jeżeli uczestnikiem przetargu jest osoba fizyczna, pozostająca w związku małżeńskim, w którym obowiązuje ustrój rozdzielności majątkowej, powinna ona okazać komisji przetargowej wypis aktu notarialnego dokumentującego umowę majątkową małżeńską albo odpis orzeczenia sądowego ustanawiającego rozdzielność majątkową. Dokumenty winny być w oryginałach bądź kopii potwierdzonej za zgodność z oryginałem przez np. notariusza.

4. Uczestnik przetargu będzie zobowiązany do złożenia pisemnej informacji o numerze konta bankowego, na które należy dokonać zwrotu wadium.

5. Cudzoziemiec jest zobowiązany do przedłożenia dokumentów rejestrowych z kraju jego pochodzenia, wraz z uwierzytelnionym tłumaczeniem na język polski.

6. Przedstawiciele osób prawnych, spółek cywilnych, jednostek organizacyjnych, o których mowa w art. 331 §1 ustawy z dnia 23.04.1964 r. Kodeks cywilny, zobowiązani będą złożyć odpowiedni dokument, upoważniający ich do składania oświadczeń woli w imieniu tych osób /wspólników/, wymaganych do uczestnictwa w przetargu.

W przypadku, gdy uczestnika przetargu będzie reprezentował pełnomocnik, wymagane jest pełnomocnictwo notarialne, w zakresie wymaganym do uczestnictwa w przetargu.


Osoby zainteresowane udziałem w przetargu proszone są o uprzedni kontakt telefoniczny.


Szczegółowe informacje dotyczące przetargu można uzyskać telefonicznie pod numerem telefonu 322956833 lub 322956830 oraz w Wydziale Gospodarki Nieruchomościami Urzędu Miejskiego w Dąbrowie Górniczej, 41-300 Dąbrowa Górnicza, ulica Graniczna 21, II piętro, pokój 230 lub 201 – po uprzednim uzgodnieniu terminu pod ww. numerami telefonów.



W tut. Urzędzie obowiązuje Polityka Bezpieczeństwa Informacji wprowadzona Zarządzeniem Prezydenta Miasta Nr 2493.2018 z dnia 24.05.2018r. Szczegółowe informacje odnośnie ochrony danych osobowych, w tym wypełnienie przez Administratora Danych Osobowych obowiązku wynikającego z art. 13 rozporządzenia Parlamentu Europejskiego o ochronie danych osobowych z dnia 27 kwietnia 2016 roku (UE) 2016/679 (RODO) można znaleźć na stronie internetowej Biuletyn Informacji Publicznej – zakładka „Bezpieczeństwo danych osobowych”.




Kontakt:
Urząd Miejski w Dąbrowie Górniczej
tel: 322956833
[Email protected]


Ogłoszenie wysłane z programu dla biur nieruchomości ASARI CRM (asaricrm.com)



Lokalizacja
Dąbrowa górnicza
dzielnica Błędów
śląskie
Informacje
Numer oferty: 41816/3186/OGS
Kontakt
AMK Portal Sp. z o.o.
Urząd Miejski w Dąbrowie Górniczej
322956833

Podobne oferty

 Dąbrowa górnicza   Juliana Polcera

Przetarg

Dąbrowa górnicza, Juliana Polcera

Prezydent Miasta Dąbrowy Górniczej ogłasza, że w dniu 21.05.2024 r. w Urzędzie Miejskim w Dąbrowie Górniczej przy ul. Granicznej 21,...

m2
1 174 020 zł
 Dąbrowa górnicza   Myśliwska

Działka

Dąbrowa górnicza, Myśliwska

Prezydent Miasta Dąbrowy Górniczej wykonujący zadanie z zakresu administracji rządowej ogłasza, że w dniu 21.05.2024 r. w Urzędzie Miejskim w...

m2
210 000 zł
 Dąbrowa górnicza   Górna

Działka

Dąbrowa górnicza, Górna

Prezydent Miasta Dąbrowy Górniczej ogłasza, że w dniu 19.09.2024 r. w Urzędzie Miejskim w Dąbrowie Górniczej przy ul. Granicznej 21,...

m2
3 443 000 zł