Działka

Biskupiec

Działka

250 000 zł

Treść ogłoszenia

Wyciąg z ogłoszenia Burmistrza Biskupca (siedziba: 11-300 Biskupiec, ul. Aleja Niepodległości 2) o kolejnych przetargach ustnych nieograniczonych na sprzedaż niezabudowanych nieruchomości gruntowych, stanowiących własność Gminy Biskupiec, objętych granicami Warmińsko-Mazurskiej Specjalnej Strefy Ekonomicznej.


1. Oznaczenie nieruchomości wg księgi wieczystej i katastru nieruchomości, powierzchnia nieruchomości.

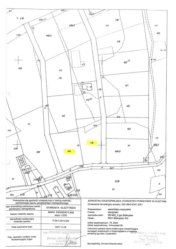
Nieruchomości położone w obrębie Biskupiec Kolonia, dla których prowadzona jest księga wieczysta nr OL1B/00018954/1, oznaczone numerami działek:

1. 414 o powierzchni 0,5069 ha

1. 415 o powierzchni 0,5598 ha


2. Forma zbycia

Sprzedaż


3. Przeznaczenie

Tereny zabudowy produkcyjnej i usługowej (oznaczone symbolem PU.02). Funkcja podstawowa: zabudowa produkcyjna baz, składów i magazynów. Jako przeznaczenie uzupełniające dopuszcza się: handel hurtowy, usługi administracyjne i biurowe, garaże i budynki obsługi, komunikację wewnętrzną. Nie dopuszcza się lokalizacji funkcji mieszkaniowej


3. Cena wywoławcza.

1. 250 000,00 zł

1. 250 000,00 zł

Ceny zawierają podatek VAT w wysokości 23%


4. Termin i miejsce przetargów

29 maja 2025 roku, godz. 11:00, budynek Urzędu Miejskiego w Biskupcu przy ul.Aleja Niepodległości 2 (sala konferencyjna, I piętro, pok.16).


5. Wysokość wadium

1. 50 000,00 zł

1. 50 000,00 zł


6. Miejsce wywieszenia i publikacji ogłoszenia o przetargu

Tablica ogłoszeń w siedzibie Urzędu Miejskiego w Biskupcu, strona internetowa Urzędu www.biskupiec.pl, Biuletyn Informacji Publicznej www.bip.biskupiec.pl oraz serwis www.monitorurzedowy.pl


7. Dane teleadresowe, pod którymi można uzyskać szczegółowe informacje dotyczące przetargu

Referat Gospodarki Gruntami Komunalnymi Urzędu: pok.32, tel.89 715 01 44





Pełny tekst ogłoszenia o przetargach


Burmistrz Biskupca

ogłasza

kolejne przetargi ustne nieograniczone

na sprzedaż niezabudowanych nieruchomości gruntowych, stanowiących własność Gminy Biskupiec, dla których Sąd Rejonowy w Biskupcu prowadzi księgę wieczystą nr OL1B/00018954/1, położonych w Kramarce (obręb 1 Biskupiec Kol.), na obrzeżach miasta Biskupiec, w pobliżu skrzyżowania dróg krajowych: nr 16 oraz nr 57, objętych granicami Warmińsko-Mazurskiej Specjalnej Strefy Ekonomicznej, oznaczonych numerami działek:



1) 414 o powierzchni 0,5069 ha (użytek, klasa: RV);

Cena wywoławcza 250 000,00 zł

Wadium 50 000,00 zł



2) 415 o powierzchni 0,5598 ha (użytek, klasa: RIVb-0,0503 ha, RV-0,4355 ha,
RVI-0,0740 ha);

Cena wywoławcza 250 000,00 zł

Wadium 50 000,00 zł



Cena wywoławcza nieruchomości zawiera podatek VAT w wysokości 23%. Cena nieruchomości uzyskana w wyniku przetargu jest płatna przed zawarciem umowy notarialnej. Osoba ustalona na nabywcę nieruchomości ponosi ponadto koszty notarialne i sądowe.



Ewentualne wznowienie granic nieruchomości na zlecenie i koszt nabywcy. Sprzedaż nieruchomości następuje według danych zawartych w ewidencji gruntów i budynków oraz w aktualnym stanie zagospodarowania (nieruchomości nie mają urządzonego zjazdu z drogi gminnej - uzyskanie stosownego zezwolenia na lokalizację zjazdu i budowa zjazdu leży w gestii nabywcy). W przypadku ewentualnego wznowienia granic, wykonanego na koszt i staraniem nabywcy, sprzedający nie ponosi odpowiedzialności za ewentualnie wynikłe różnice. Publiczne dane z zasobu geodezyjnego i kartograficznego, obejmującego powiat olsztyński (Geoportal Powiatu Olsztyńskiego), dostępne są pod adresem internetowym: https://powiatolsztynski.geoportal2.pl (według tych danych, przez fragment działki nr 414, przy granicy z działką nr 1/50 przebiega przewód telekomunikacyjny).



Sposób zagospodarowania – zgodnie z planem zagospodarowania przestrzennego.



W miejscowym planie zagospodarowania przestrzennego terenów zabudowy usługowej i produkcyjnej w obrębie Biskupiec Kolonia, gmina Biskupiec zatwierdzonym Uchwałą Nr XVI/123/08 Rady Miejskiej w Biskupcu z dnia 24 stycznia 2008 roku (Dz.Urz. Woj.War.-Maz. Nr 40 z dnia 11.03.2008 r., poz.853) nieruchomości znajdują się w terenie oznaczonym symbolem PU.02 i przeznaczonym na tereny zabudowy produkcyjnej i usługowej. Funkcja podstawowa: zabudowa produkcyjna, baz, składów i magazynów. Jako przeznaczenie uzupełniające dopuszcza się: handel hurtowy, usługi administracyjne i biurowe, garaże i budynki obsługi oraz komunikację wewnętrzną. Nie dopuszcza się lokalizacji funkcji mieszkaniowej. Na terenie objętym tym planem znajdują się stanowiska archeologiczne. Szczegółowe informacje dotyczące zapisów planu zagospodarowania przestrzennego oraz obiektów znajdujących się w gminnej ewidencji zabytków można uzyskać w Referacie Budownictwa i spraw lokalowych Urzędu, pod numerami telefonów: 897150115 i 897150138.



W księdze wieczystej nr OL1B/00018954/1, prowadzonej między innymi dla działek:
nr 414 i nr 415, jest wpisana służebność przesyłu, na czas nieoznaczony na rzecz Energa-Operator S.A. z siedzibą w Gdańsku, która nie jest na nich wykonywana (przedmiot wykonywania: działka nr 424, podzielona na działki: nr 424/1 i nr 424/2). Nieruchomości nie są przedmiotem innych obciążeń i zobowiązań na rzecz osób trzecich.



Sprzedający nie ponosi odpowiedzialności za złożone warunki geotechniczne gruntu.
Nabywca jest zobowiązany do udostępnienia nieruchomości osobom i jednostkom zobowiązanym do wykonania czynności związanych z eksploatacją i konserwacją sieci nadziemnych i podziemnych oraz urządzeń występujących na gruncie. W przypadku, gdy przebiegające sieci nadziemne i podziemne lub urządzenia występujące na terenie nieruchomości (ujawnione i nieujawnione na mapie) kolidują z realizacją zamierzonej inwestycji, nabywca będzie zobowiązany do ich przełożenia własnym kosztem i staraniem, w uzgodnieniu z jednostkami branżowymi i właścicielem sieci. Ponadto, nabywca przejmuje obowiązek usunięcia z nieruchomości ewentualnych użytkowników bezumownych.



Nieruchomości znajdują się w kompleksie działek objętych granicami WMSSE. Zarządzającemu Warmińsko-Mazurską Specjalną Strefą Ekonomiczną przysługuje prawo pierwokupu nieruchomości na podstawie art.8 ust.2 ustawy z dnia 20 października 1994 r.
o specjalnych strefach ekonomicznych.



Nabywca nieruchomości, znajdującej się na terenie specjalnej strefy ekonomicznej, nabytej od Gminy, może prowadzić na niej działalność na zasadach ogólnych. Otrzymanie zezwolenia podmiotu na prowadzenie działalności gospodarczej na terenie specjalnej strefy ekonomicznej jest niezbędne dla uzyskania możliwości korzystania z pomocy publicznej, udzielanej zgodnie z ustawą o specjalnych strefach ekonomicznych. Nabywca uzyska zezwolenie na prowadzenie działalności w specjalnej strefie ekonomicznej we własnym zakresie. Niewystąpienie bądź nieuzyskanie zezwolenia na prowadzenie działalności w specjalnej strefie ekonomicznej nie powoduje powstania żadnych roszczeń w stosunku do Gminy.



Przetargi odbędą się w dniu 29 maja 2025 roku o godz. 11:00 w Urzędzie Miejskim w Biskupcu przy ul. Aleja Niepodległości 2 (sala konferencyjna, I piętro, pok. 16).



W przetargach mogą brać udział osoby, które w terminie do dnia 23 maja 2025 roku, wpłacą na rachunek bankowy Urzędu Miejskiego w Biskupcu Nr 45 1020 3541 0000 5902 0260 8230 PKO Bank Polski S.A. wymagane wadium (w pieniądzu) – w odniesieniu do każdej nieruchomości oddzielnie. Wadium powinno być wniesione z takim wyprzedzeniem, aby środki pieniężne znalazły się na koncie Urzędu Miejskiego w Biskupcu najpóźniej w dniu 23 maja 2025 roku – pod rygorem uznania, że warunek wpłaty wadium nie został spełniony.



Uczestnicy przetargu są zobowiązani przedstawić, na żądanie komisji przetargowej:

- aktualny dokument potwierdzający tożsamość,

- aktualny odpis z właściwego rejestru, jeżeli uczestnikiem jest osoba prawna,

- oryginał potwierdzenia wniesienia wadium.



Pełnomocnicy uczestników przetargu winni okazać komisji przetargowej stosowne pełnomocnictwo, z podpisem mocodawcy poświadczonym notarialnie.



O wysokości postąpienia decydują uczestnicy przetargu, z tym, że postąpienie nie może wynosić mniej niż 1% ceny wywoławczej z zaokrągleniem w górę do pełnych dziesiątek złotych. Jeżeli żaden z uczestników przetargu nie zaoferuje postąpienia ponad cenę wywoławczą, wówczas przetarg zakończy się wynikiem negatywnym.



Uczestnikowi przetargu, który przetarg wygra, wpłacone wadium zostanie zaliczone na poczet ceny nabycia nieruchomości. Uczestnikom przetargu, którzy go nie wygrają, wadium zostanie zwrócone niezwłocznie po zamknięciu lub odwołaniu przetargu, jednak nie później niż przed upływem 3 dni od dnia, odpowiednio: odwołania przetargu, zamknięcia przetargu, unieważnienia lub zakończenia przetargu wynikiem negatywnym.



Nabywca nieruchomości zostanie zawiadomiony o terminie i miejscu zawarcia umowy warunkowej sprzedaży w ciągu 21 dni od dnia rozstrzygnięcia przetargu.



Jeżeli osoba ustalona jako nabywca nieruchomości nie przystąpi bez usprawiedliwienia do zawarcia umowy warunkowej, a następnie przenoszącej własność nieruchomości, w miejscu i terminie podanym w zawiadomieniu, organizator przetargu może odstąpić od zawarcia umowy, a wpłacone wadium nie podlega zwrotowi. W przypadku skorzystania przez zarządzającego WMSSE z prawa pierwokupu, wpłacone wadium będzie zwrócone.



W przypadku, gdy nabywcą nieruchomości ustalony zostanie cudzoziemiec w rozumieniu ustawy z dnia 24 marca 1920 r. o nabywaniu nieruchomości przez cudzoziemców, do zawarcia umowy notarialnej nabywca winien przedłożyć zezwolenie, jeżeli uzyskanie zezwolenia wynika z przepisów cytowanej wyżej ustawy. W przypadku nieuzyskania tego zezwolenia wpłacone wadium nie podlega zwrotowi.



Zastrzega się prawo odwołania przetargów z uzasadnionej przyczyny.



Przetargi przeprowadzone zostaną w oparciu o przepisy rozporządzenia Rady Ministrów z dnia 14 września 2004r. w sprawie sposobu i trybu przeprowadzania przetargów oraz rokowań na zbycie nieruchomości (j.t. Dz.U. z 2021 r., poz.2213). Terminy przeprowadzenia poprzednich przetargów: 25.04.2024 r., 27.06.2024 r., 26.09.2024 r. i 30.01.2025 r. Dodatkowe informacje w sprawie procedury przetargowej można uzyskać w Referacie Gospodarki Gruntami Komunalnymi Urzędu (pok.32, tel.897150144).





Kontakt:
Urząd Miasta Biskupiec
tel: 89 715 01 44
[Email protected]


Ogłoszenie wysłane z programu dla biur nieruchomości ASARI CRM (asaricrm.com)



Lokalizacja
Biskupiec
warmińsko-mazurskie
Informacje
Numer oferty: 41691/3186/OGS
Kontakt
AMK Portal Sp. z o.o.
Urząd Miasta Biskupiec
89 715 01 44

Podobne oferty

 Biskupiec   Złota

Działka

Biskupiec, Złota

Wyciąg z ogłoszenia Burmistrza Biskupca (siedziba: 11-300 Biskupiec, ul. Aleja Niepodległości 2) o kolejnym przetargu ustnym nieograniczonym na zbycie niezabudowanej...

m2
200 000 zł
 Biskupiec   Bolesława Chrobrego

Działka

Biskupiec, Bolesława Chrobrego

Wyciąg z ogłoszenia Burmistrza Biskupca (siedziba: 11-300 Biskupiec, ul. Aleja Niepodległości 2) o drugim ustnym nieograniczonym na zbycie niezabudowanej nieruchomości...

m2
380 000 zł
 Biskupiec

Działka

Biskupiec

Wyciąg z ogłoszenia Burmistrza Biskupca (siedziba: 11-300 Biskupiec, ul. Aleja Niepodległości 2) o kolejnym przetargu ustnym nieograniczonym na zbycie niezabudowanej...

m2
150 000 zł